HUB
Collections
Classifications
About
App
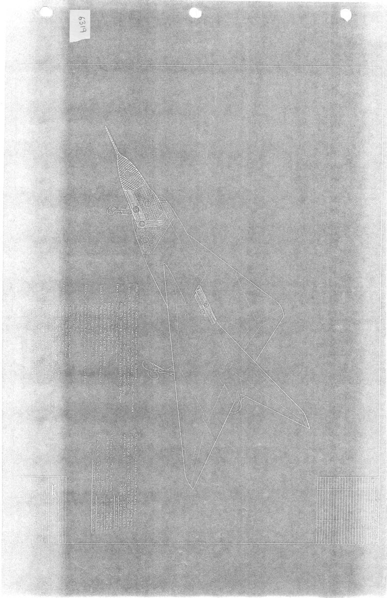
ASTRA 1 No 4 & No 5 A/C drawing 7-4200-PE-48
Archive
-
AVRO Museum
Name/Title
ASTRA 1 No 4 & No 5 A/C drawing 7-4200-PE-48
Entry/Object ID
6319
Category
Blueprint
Web Links and URLs
Research Tips & Terms of Use
General Notes
Note
Pages: 1 Publisher: A.V. Roe Canada Limited - Aircraft Tool Design