110 Garnet Avenue 1986 Real Estate Appraisal

1- Letter: An appraiser letter stating the value of the property by their estimation.
1- Letter

An appraiser letter stating the value of the property by their estimation.

Name/Title

110 Garnet Avenue 1986 Real Estate Appraisal

Entry/Object ID

2014.036.004

Scope and Content

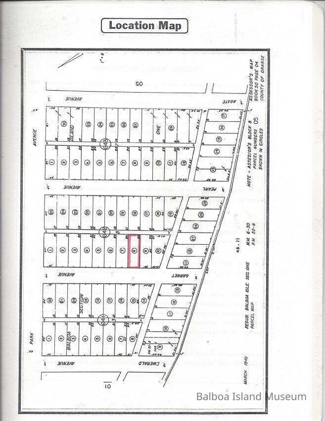
Real estate appraisal report of home at 110 Garnet Avenue in 1986. Property appraised at $270,000. The data supporting the appraisal conclusion is included in the report, including photographs of comparable properties, information regarding dimensions and features, and general neighborhood information. Appraisal by Paul Mahaffey under James E. Willard & Associates.

Context

This report presents a detailed image of 110 Garnet as it was in 1986.

Lexicon

Nomenclature 4.0

Nomenclature Primary Object Term

Appraisal

Nomenclature Sub-Class

Financial Records

Nomenclature Class

Documentary Objects

Nomenclature Category

Category 08: Communication Objects

Search Terms

James E. Willard & Associates, Garnet Avenue, 110, Onyx Avenue, 202, Garnet Avenue, 209, Topaz Avenue, 205

Archive Details

Creator

Paul Mahaffey, James E. Willard & Associates, James E. Willard

Date(s) of Creation

1986 - Aug 8, 1986

Date(s) Material Assembled

Aug 8, 1986

Primary Language

English

Maintenance

Maintenance History

Date

Jun 28, 2014

Relationships

Related Person or Organization

Person or Organization

Hannah E. Flynn

Person or Organization

Russell J. Flynn

Create Date

June 28, 2014

Update Date

July 28, 2022