Revised map of the Valley Road Tract

Valley Road Tract

Valley Road Tract

Name/Title

Revised map of the Valley Road Tract

Entry/Object ID

1978.043.234

Description

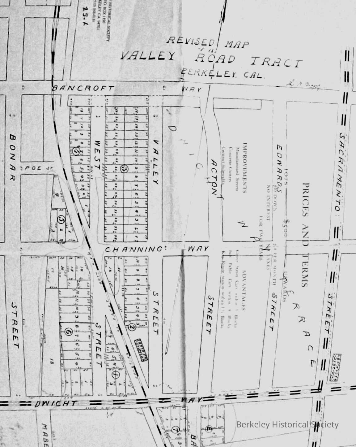
Revised Map, of the Valley Road Tract. Thos. N. Badger, engineer. Francis Ferrier, general agent, and other notations in red. To east Dwight Way Tract. Santa Fe Railroad Station, Dwight/Valley Street. Key Route Station Dwight/ Sacramento

Lexicon

Nomenclature 4.0

Nomenclature Secondary Object Term

Map

Nomenclature Primary Object Term

Cartograph

Nomenclature Sub-Class

Graphic Documents

Nomenclature Class

Documentary Objects

Nomenclature Category

Category 08: Communication Objects

Search Terms

Valley Road Tract, Key Route, Santa Fe, Real Property

Dimensions

Dimension Notes

17'" X 20"

Location

Other

Drawer FB-1, Folder 1a

Provenance

Notes

L.L. Stein