Jones Tract, 1908

1908 Jones Tract , reservation

1908 Jones Tract , reservation

Name/Title

Jones Tract, 1908

Entry/Object ID

1978.043.007

Description

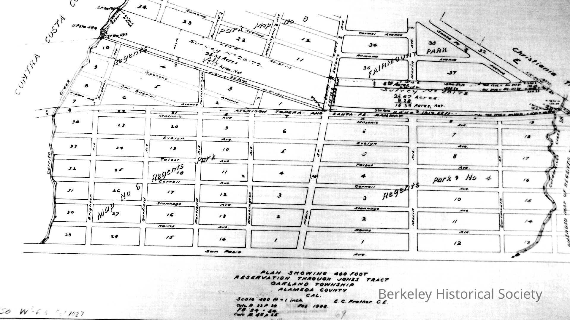
Blocks between Cordonices and Cerrito Creeks, from San Pablo Avenue east to Ramona Avenue. Feb. 1908. Plan showing 400 foot reservation though Jones Tract, Oakland Township, Alameda County. E.C. Prather, C.E.

Lexicon

Nomenclature 4.0

Nomenclature Secondary Object Term

Map

Nomenclature Primary Object Term

Cartograph

Nomenclature Sub-Class

Graphic Documents

Nomenclature Class

Documentary Objects

Nomenclature Category

Category 08: Communication Objects

Search Terms

Jones Tract, Real property

Map Details

Maker or Creator

Prather, E. C.

Date Published

1908

Dimensions

Dimension Notes

13 1/4 x 21"

Location

Other

Drawer FB-1, Folder 1a

Provenance

Notes

L.L. Stein