HUB
Collections
Classifications
About
App
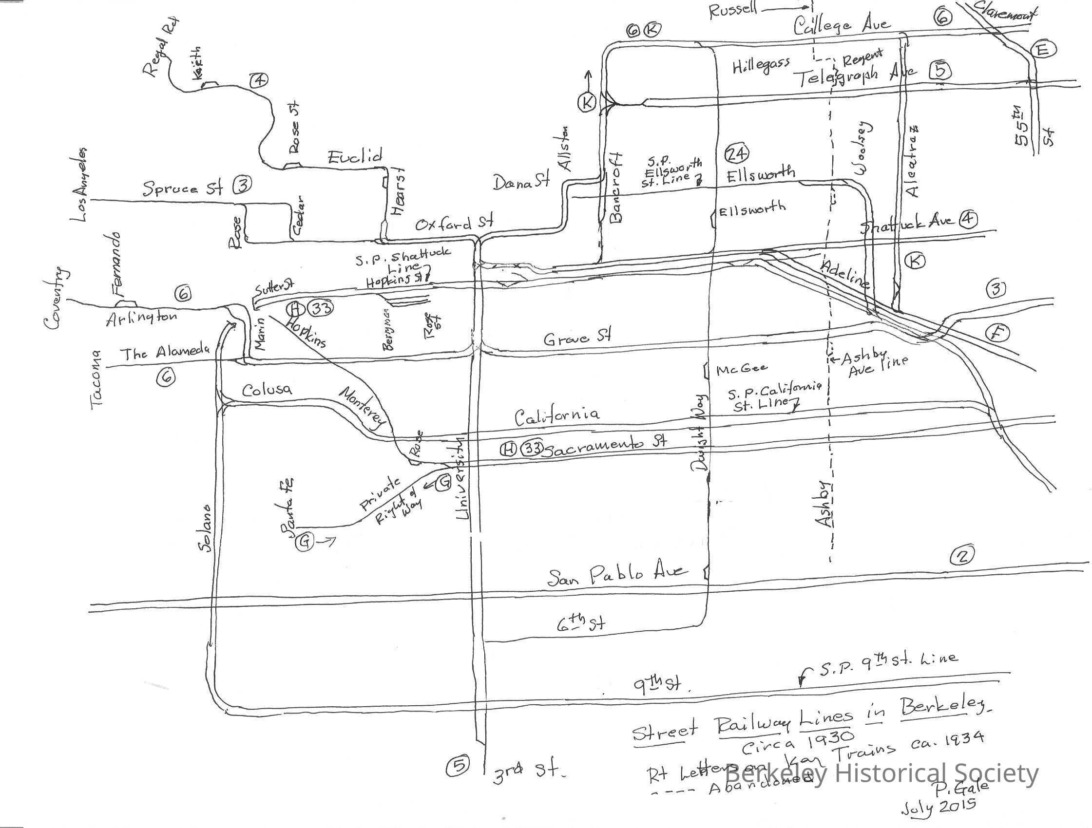
Street Railway Lines in Berkeley, circa 1930
Map
-
Berkeley Historical Society & Museum
1930 Railways
Name/Title
Street Railway Lines in Berkeley, circa 1930
Entry/Object ID
1978.043.273
Description
Hand drawn map by Phil Gale, July 2015, of all rail lines in Berkeley about 1930, with route numbers from 1934.
Lexicon
Nomenclature 4.0
Nomenclature Secondary Object Term
Map
Nomenclature Primary Object Term
Cartograph
Nomenclature Sub-Class
Graphic Documents
Nomenclature Class
Documentary Objects
Nomenclature Category
Category 08: Communication Objects
Search Terms
Key Trains,,
Transit abandoned,
Local transit--California--Berkeley
Map Details
Date Published
1930
Location
Other
Drawer FB-5a, Folder 5ab