The County Seat Historical Map of Marble Hill

Name/Title

The County Seat Historical Map of Marble Hill

Description

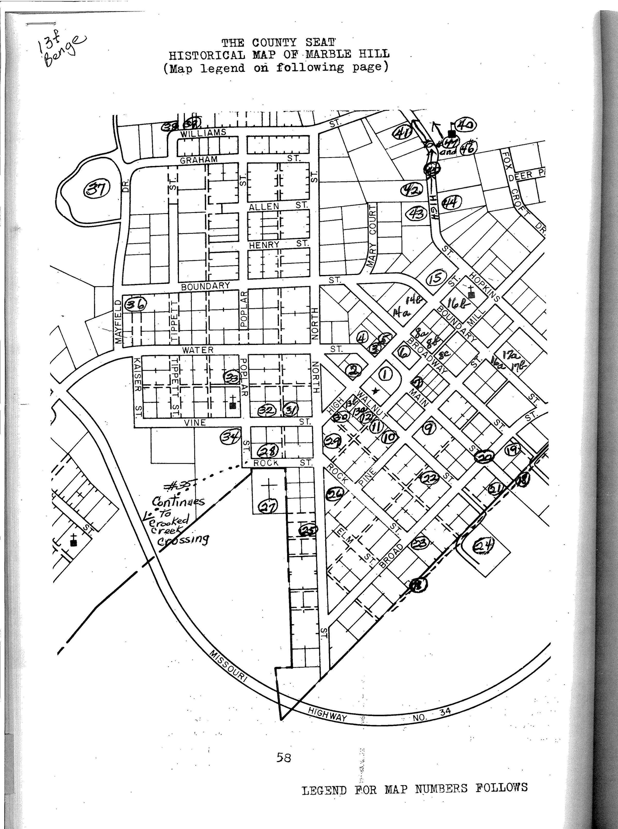
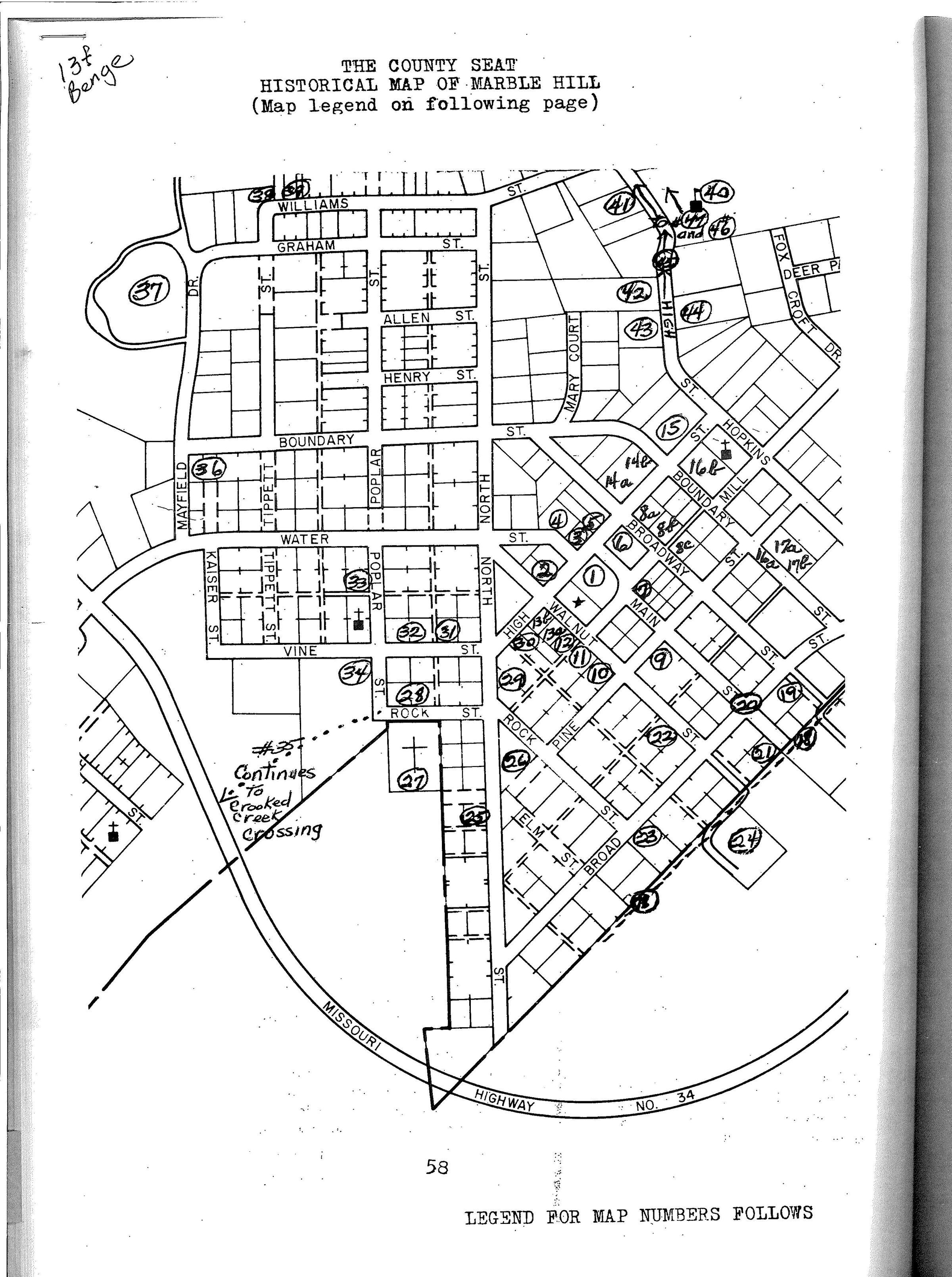
This is a map of the town of Marble Hill showing important historical sites indicated by numbers. Of particular significance to the Trail of Tears is #18 the Old Military Trail (Benge Route) and the sites along it built prior to 1839.

Acquisition

Accession

BCL-TOT-B-00033

Source (if not Accessioned)

Echo Vol 3 1980, pages 58-60. Bollinger County Historical Society.