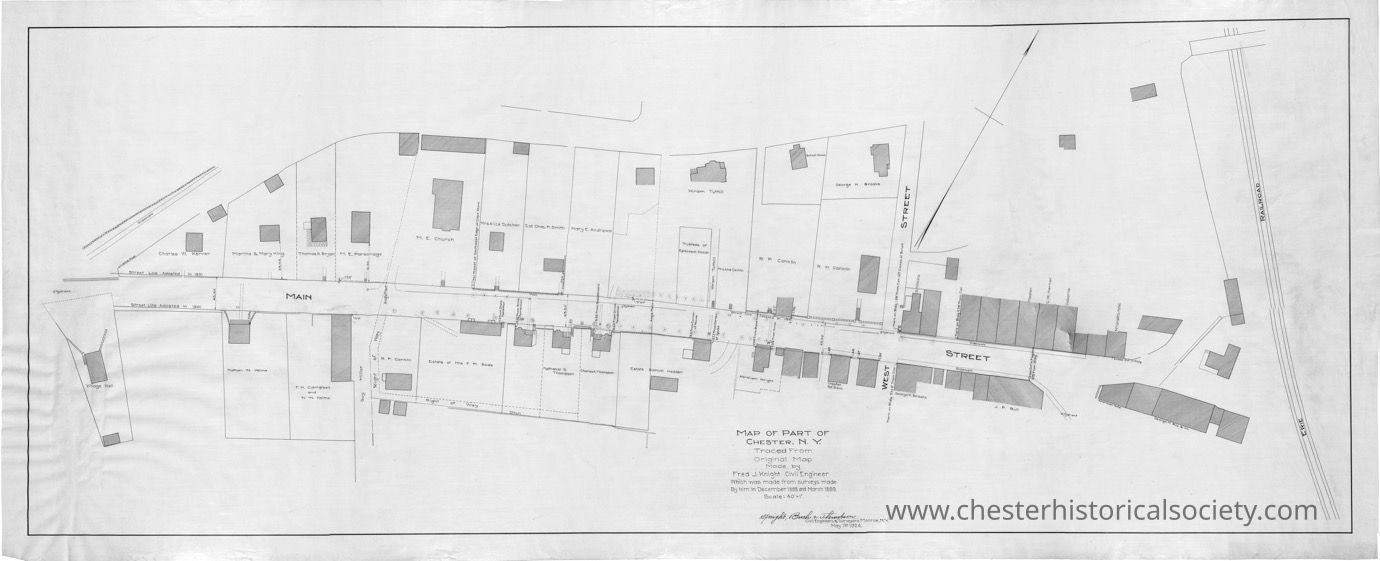
Map of Part of Chester, N.Y.

1924 Map of the Downtown Part of Chester, N.Y.: This 1924 map depicts the downtown part of Chester, New York, showing streets, structures, and property labels.
1924 Map of the Downtown Part of Chester, N.Y.

This 1924 map depicts the downtown part of Chester, New York, showing streets, structures, and property labels.

Name/Title

Map of Part of Chester, N.Y.

Entry/Object ID

chs-016881

Description

A scan of a 1924 map that depicts the downtown part of Chester, New York, showing streets, structures, and property labels. James Nelson, Town of Monroe Historian retains the original #819.

Category

Chester Views

Acquisition

Notes

3/11/2019 Reproduced from James Nelson, Town of Monroe Historian.

Map Details

Maker or Creator

Knight, Fred J.

Scale

40' - 1"

Area or Region

* Untyped Area or Region

Chester (Village) - Orange County - New York

Publisher

Fred J. Knight

Date Published

May 1, 1924

Transcription

Transcription

Sidewalk Hydrant Village Hall George H. Brooks School House Hiram Tuthill Mrs. Alice Dutcher Est. Chas. P. Smith Mary E. Andrews Trustees of Episcopal Church M. E. Church R. P. Conklin R. P. Conklin Mrs. Alice Conkin Charles W. Kerner Martha & Mary King Thomas H. Bryan Street Line Adopted in 1901 Street Line Adopted in 1901 Main Street F. H. Campbell M. W. Helme Samuel Hadden Abraham Wright Estate of Mrs. F. M. Bodle Charles A. Thompson Right of Way Right of Way Ditch Chester Nat. Bank West Street George H. Brooks S. Wilkins Masten C. W. Kerner Osborne McGrath Hotel J. P. Bull American House Geo. M. Roe & Co. Erie Railroad Map Of Part Of Chester, N. Y Traced From Original Map Made by Fred J. Knight Civil Engineer Which was made from surveys made by him in December 1895 and March 1899. Scale: 40'-1' Knight, Bush & Thompson Civil Engineers & Surveyors, Monroe, N.Y. May 1 1924.

Transcriber

Clifton Patrick

Dimensions

Height

54.3 cm

Width

135 cm

General Notes

Note Type

Cataloging Note

Note

James Nelson, Town of Monroe Historian retains original #819

Create Date

October 22, 2024

Update Date

February 17, 2026