1994 Shower Locker Room Expansion Phase 1

17 page pdf to download

17 page pdf to download

Name/Title

1994 Shower Locker Room Expansion Phase 1

Entry/Object ID

Architectural Plans 1994

Scope and Content

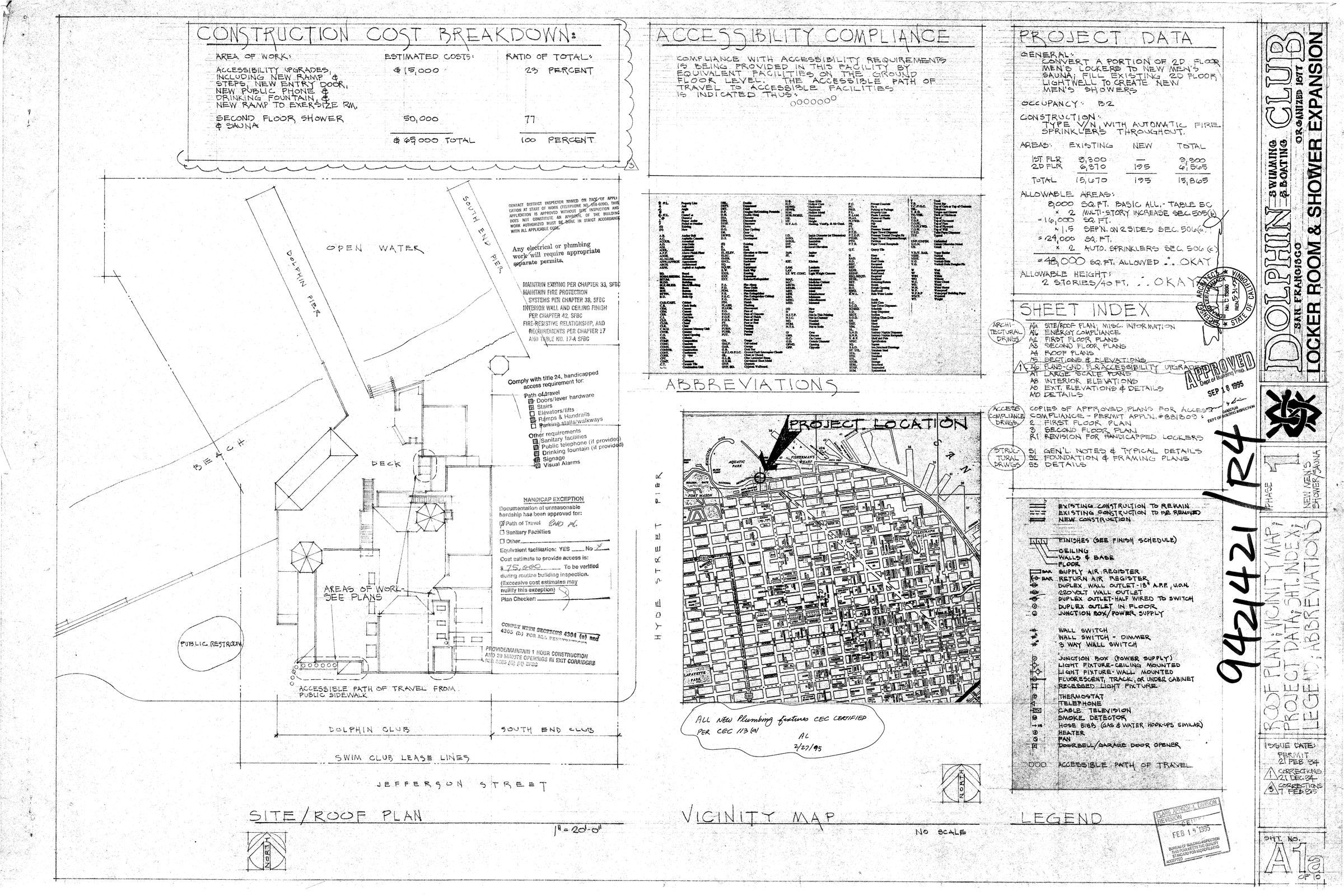
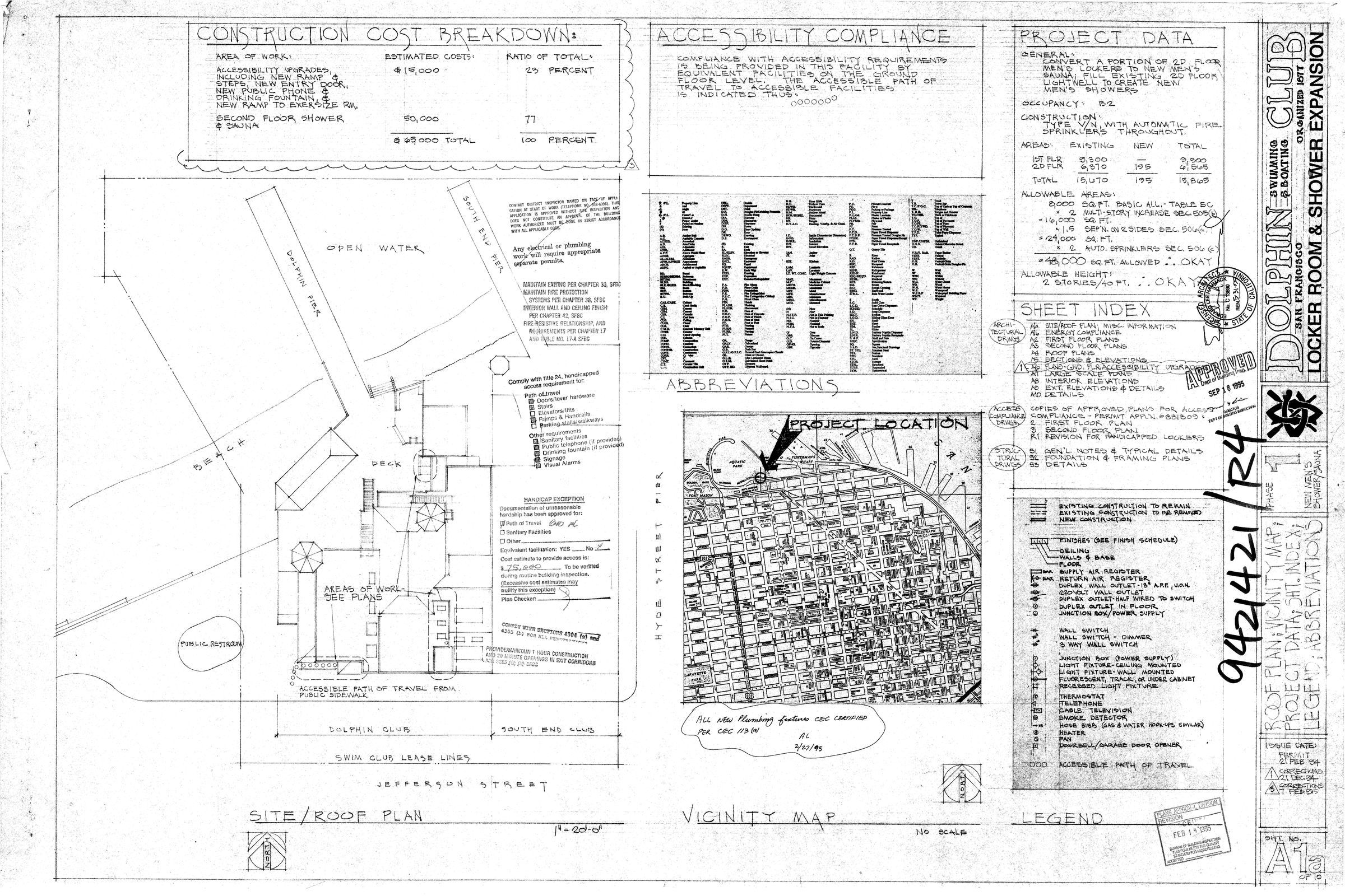
17 pages of plans and information for Phase 1 of 1994 locker room and shower expansion. Includes approved permit drawings, dated Feb. 21, 1994, application no. 9421421; architectural drawings by Lee Hammack, structural drawings by Ralph Tessier. Scope included construction of new mens shower and sauna in the area of the light well between the main boathouse building and the men's white locker rooms. Also included ground floor restroom and other access compliance remodel projects. Constructed by Dolphin member and contractor Conrad von Blankenberg.

Archive Details

Date(s) of Creation

February 21, 1994

Location

Building

Lee Hammack's files