2019 Site Survey for Renovation

2 page pdf

2 page pdf

Name/Title

2019 Site Survey for Renovation

Entry/Object ID

Architectural Plans 2019

Scope and Content

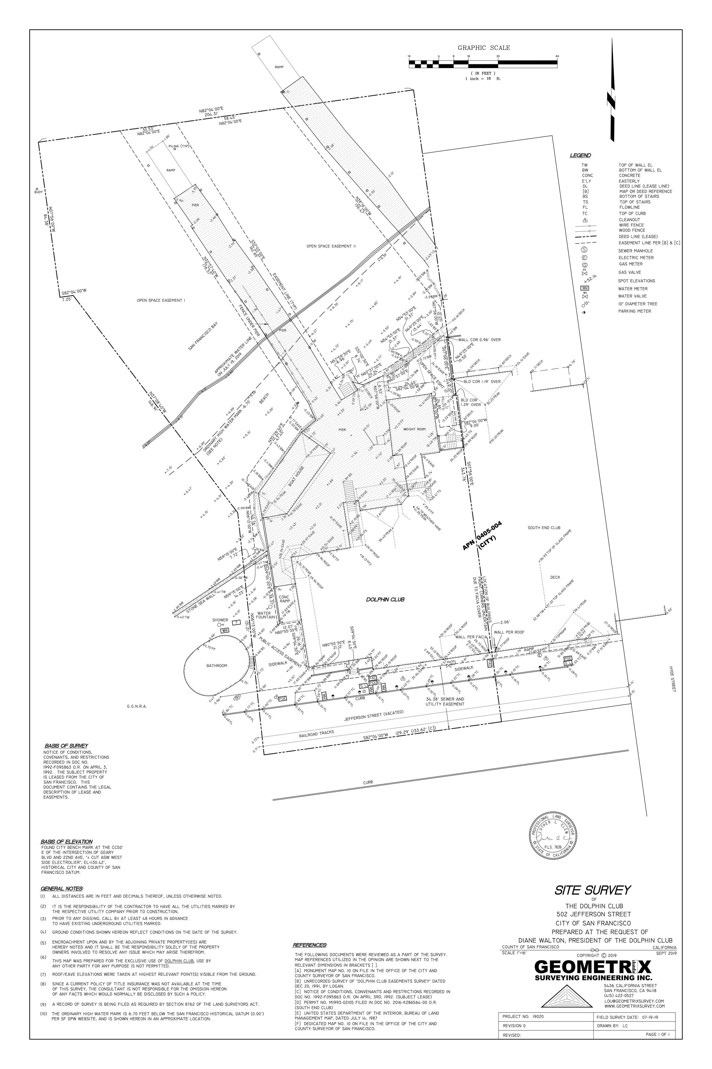
Two page pdf consisting of one page site survey by Geometrix of Dolphin Club lease area, and includes 1991 Easements survey as second page for reference. Dated July 19, 2019. See entry for 1991 Easements Survey. Note table of all Reference documents used in preparation of this survey. Done as part of preparations for Renovation of Dolphin Club buildings.

Archive Items Details

Description

2020 March Lee Hammack said: The purpose of the survey in the near term is so that the renovation drawings can be developed accurately, longer term it will be needed for other projects. For example, it can be used any time there is question that requires determination of exact Dolphin Club lease area.

Date(s) of Creation

July 19, 2019

Notes

Geometrix Surveying Engineers, San Francisco CA; survey date 7/19/19

Location

Location

Building

Lee Hammack's files

Notes

1.3 MB pdf stored in Archives digital folders.