Sunset Gardens Map

Name/Title

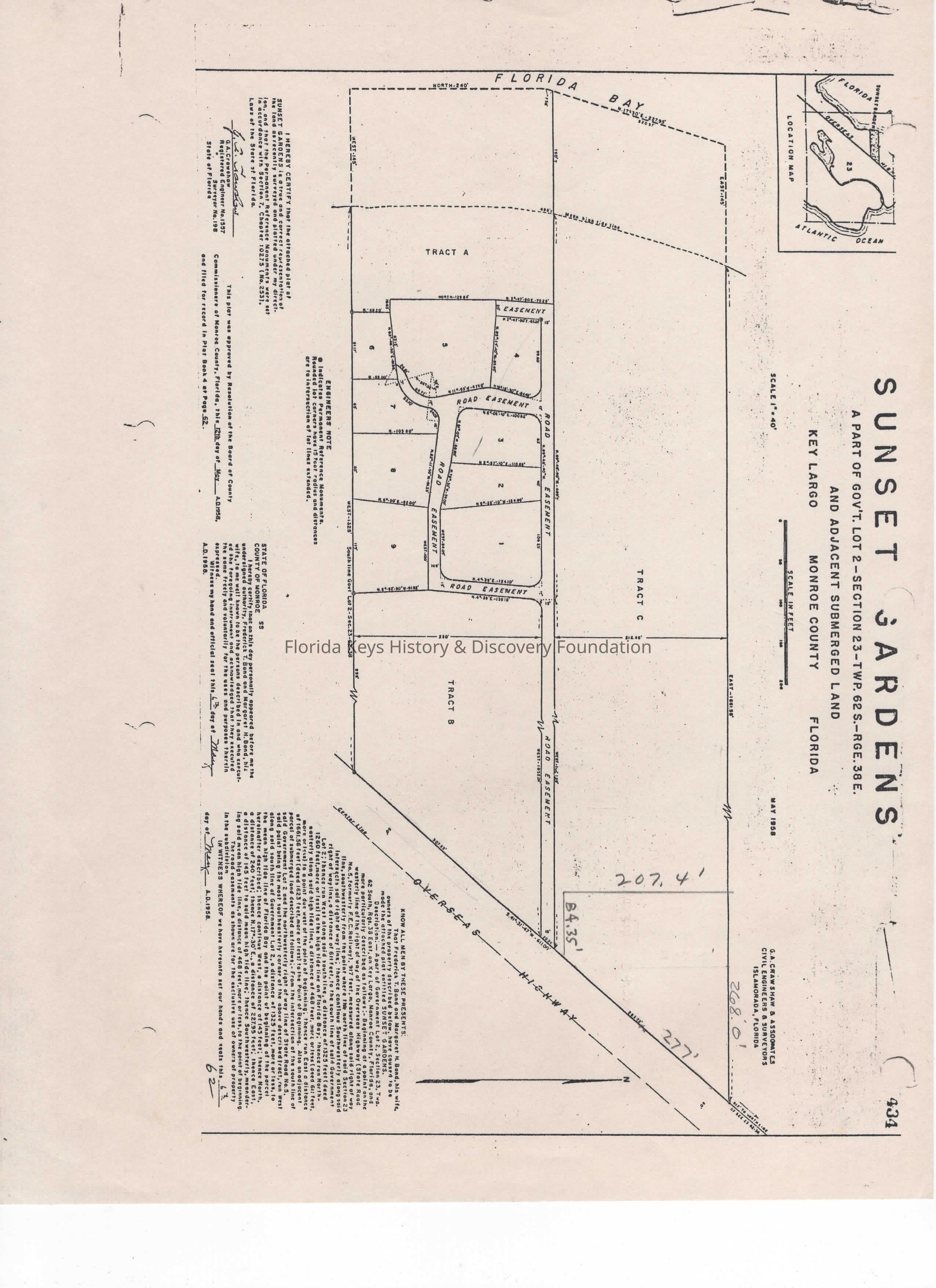
Sunset Gardens Map

Entry/Object ID

2022.602.0119

Tags

Sunset Gardens, GCUK, Upper Keys Garden Club, 1990s, Map

Context

This is a map of the Sunset Gardens an ongoing project of the GCUK

Collection

Garden Club of the Upper Keys

Cataloged By

Alexandra Sarette

Created By

sarettealexandra@gmail.com

Create Date

August 4, 2023

Updated By

sarettealexandra@gmail.com

Update Date

August 4, 2023