Name/Title
Huffman - Morris Township - Greene County - Pennsylvania - WPA Cemetery PlatEntry/Object ID
2016.3.169Scope and Content
ABOUT THIS CEMETERY:
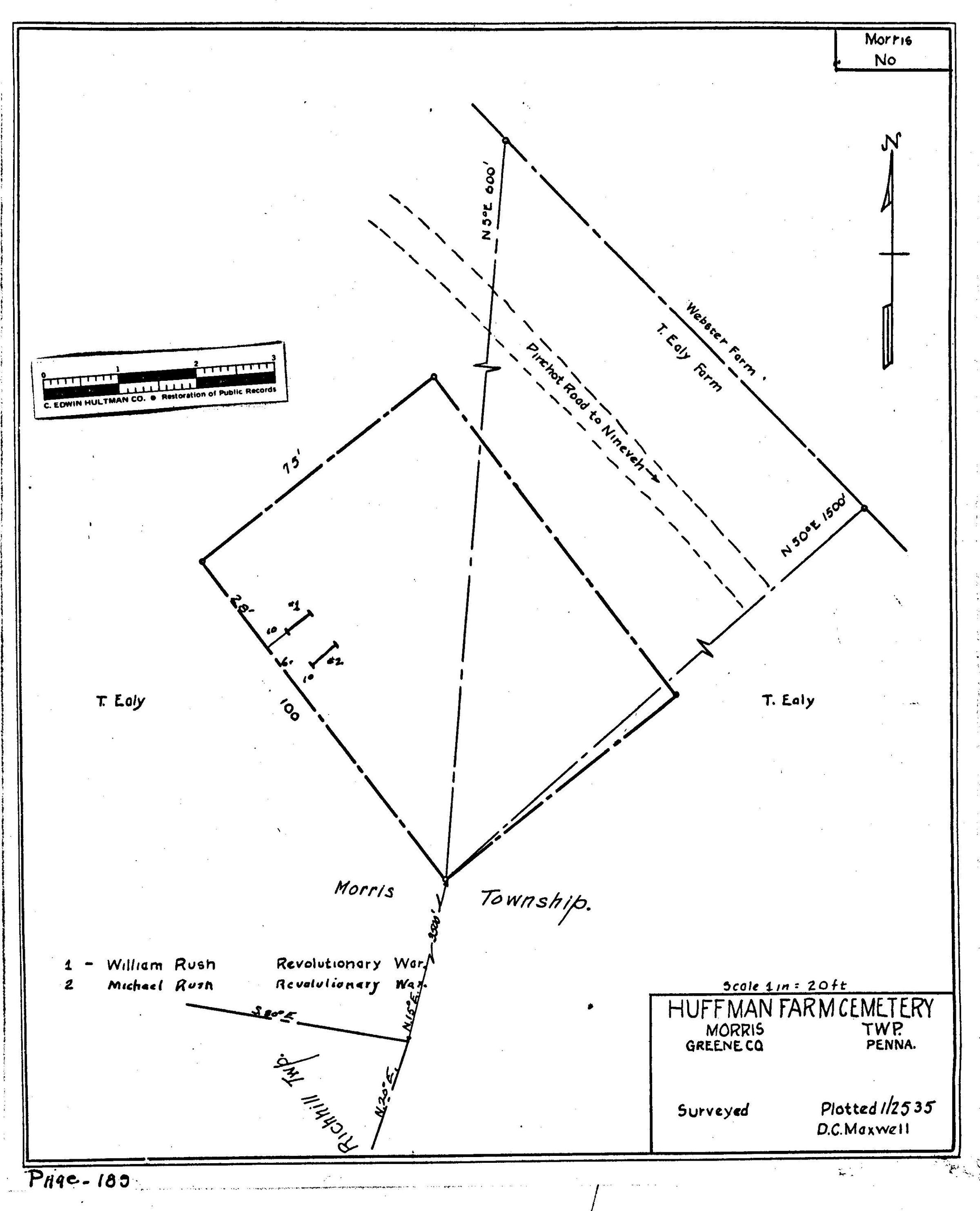
Huffman Cemetery is located in Morris Township, Greene County, Pennsylvania.
PROVENANCE OF PLAT MAP:
During the 1930s, the Works Progress Administration (renamed in 1939 as the Work Projects Administration) provided jobs by employing individuals to locate and map area cemeteries. As a part of these surveys, workers also listed veterans buried at each cemetery. The Clerk of Courts Office at the Greene County Courthouse in Waynesburg, Pennsylvania, holds one set of the plat maps copied from the originals created during this project. In 2019, these maps were subsequently scanned and researched for the Greene Connections: Greene County, Pennsylvania Archives Project.
VETERANS LISTED IN WPA SURVEY:
1. William Rush - Revolutionary War
2. Michael Rush - Revolutionary War
HENNEN RECORDS CROSS-REFERENCE:
Forty years after the WPA, local genealogist Dorothy Hennen personally visited every Greene County, Pennsylvania, cemetery that she could locate. Her 12-volume series, published in the 1970s, is cross-referenced here to provide a resource for further information regarding location descriptions and lists of burials. These books are available at the Cornerstone Genealogical Society in Waynesburg, Pennsylvania.
Dorothy T. Hennen, compiler, Cemetery Records of Greene County, Pennsylvania, 12 volumes (Waynesburg, Pennsylvania: Cornerstone Genealogical Society, 1975), 5: 262, index of Morris Township cemeteries. This cemetery is not listed, indicating it was either not located by Hennen in the 1970s or is listed under another name.Collection
Cemetery Plat (WPA) CollectionLexicon
Search Terms
Cemeteries--Maps, Morris (Greene County, Pa. : Township)--Cemeteries--Huffman Cemetery, Rush family, Veterans--American Revolution (1775-1783)Provenance
Provenance Detail
Cemetery Plat (WPA) Collection - Morris TownshipNotes
SOURCE CITATION: WPA Cemetery Plat - Pennsylvania - Greene County - Morris Township - Huffman Cemetery (1935), item no. 2016.3.169, Cemetery Plat (WPA) Collection, surveyed by Works Projects Administration, copy on file at the Clerk of Courts Office, Greene County Courthouse, Greene Connections Archives Project (www.GreeneConnections.com).