Hewitt - Jefferson Township - Greene County - Pennsylvania - WPA Cemetery Plat

Hewitt - Jefferson Township - Greene County - Pennsylvania - WPA Cemetery Plat: See WEB LINKS to DOWNLOAD PDF document file.
Hewitt - Jefferson Township - Greene County - Pennsylvania - WPA Cemetery Plat

See WEB LINKS to DOWNLOAD PDF document file.

Name/Title

Hewitt - Jefferson Township - Greene County - Pennsylvania - WPA Cemetery Plat

Entry/Object ID

2016.3.62

Scope and Content

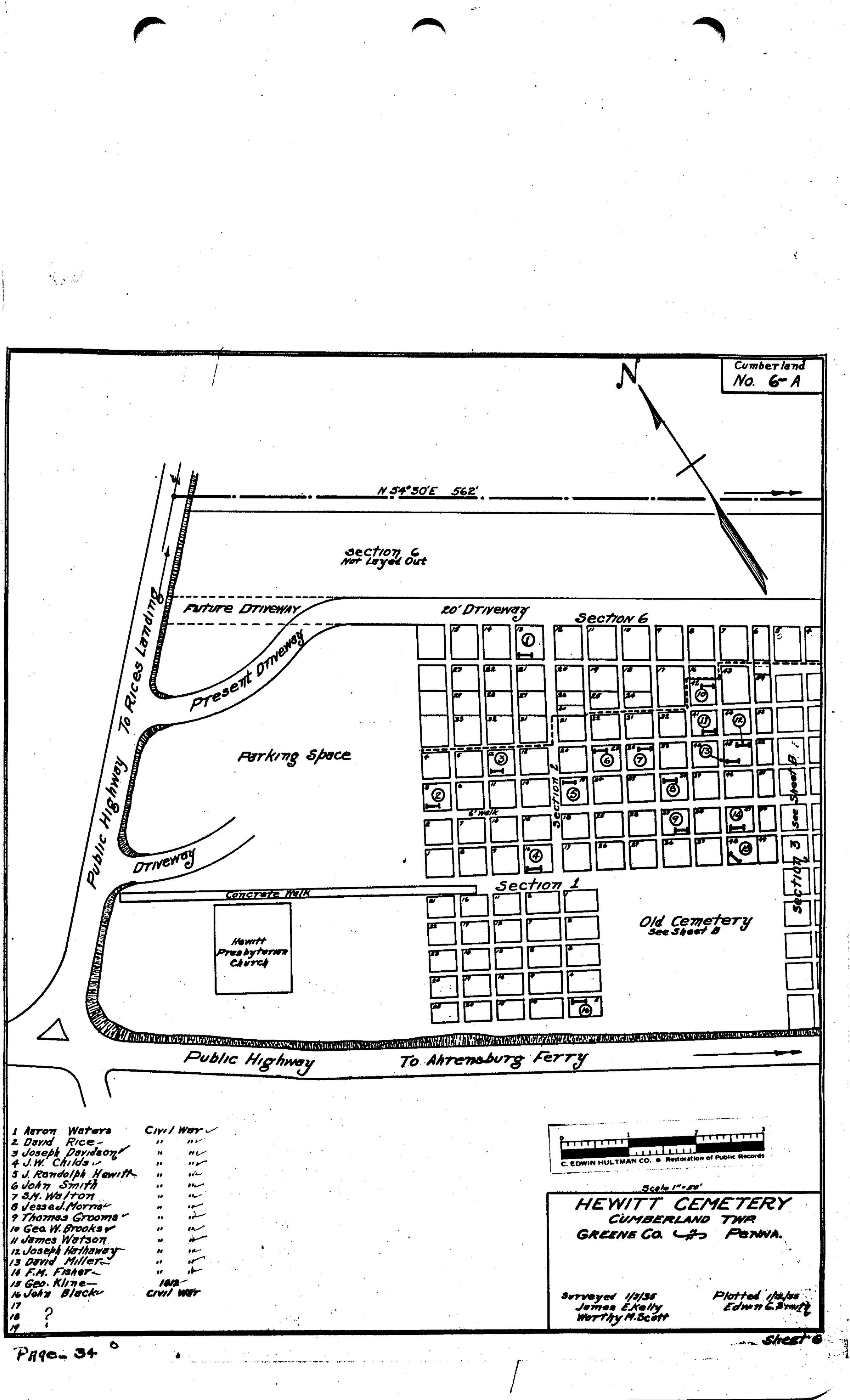
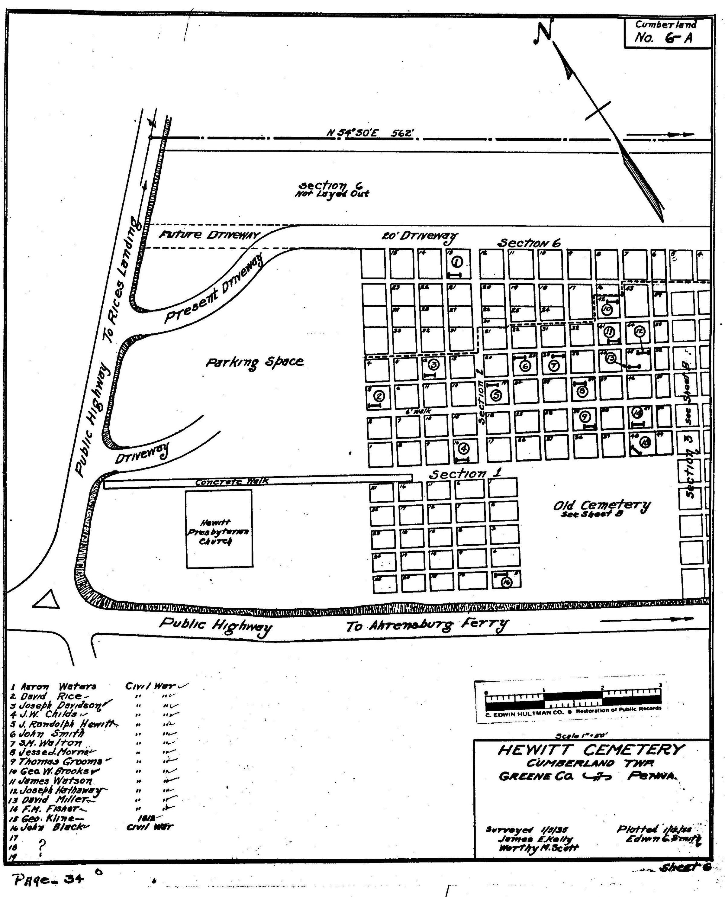
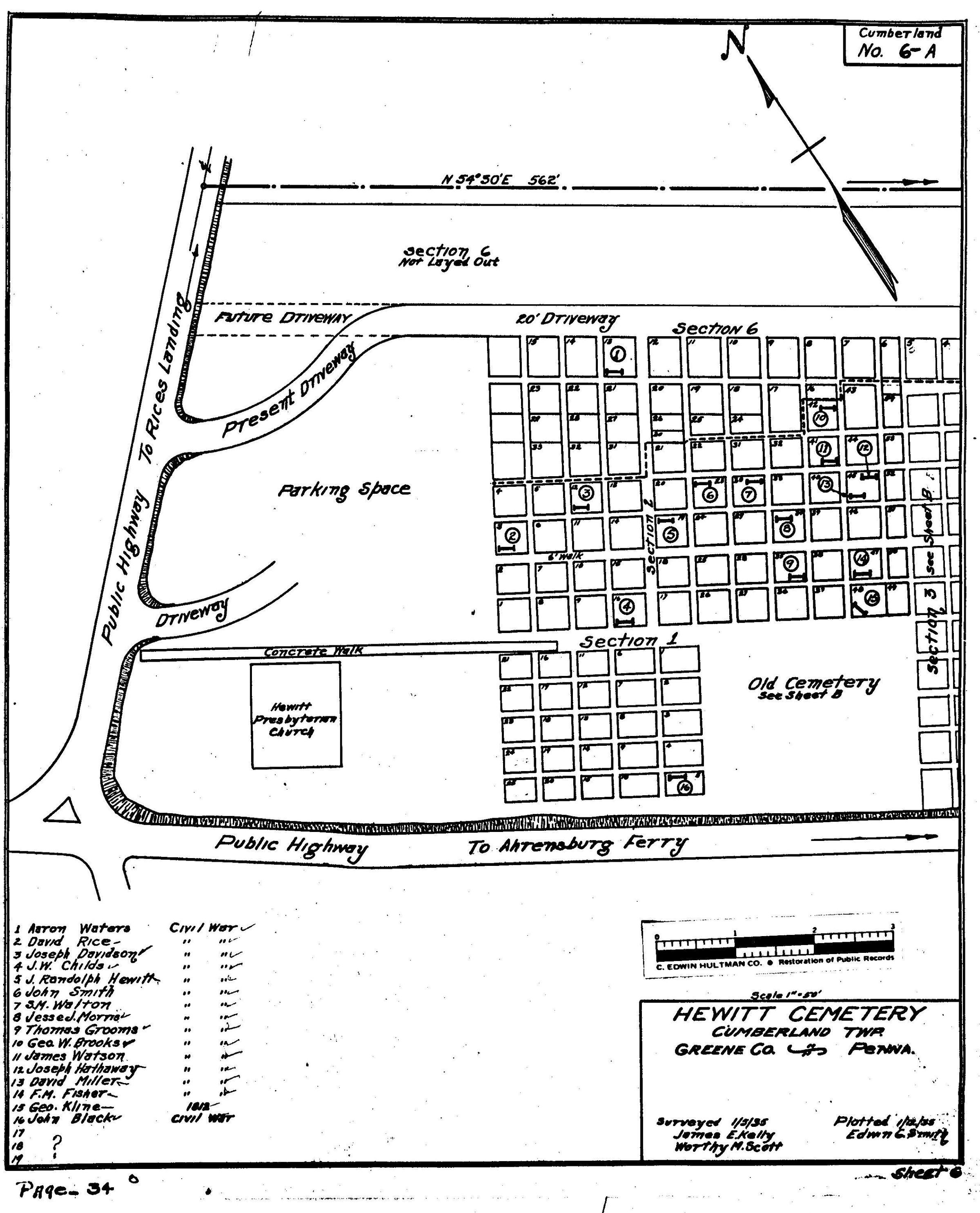
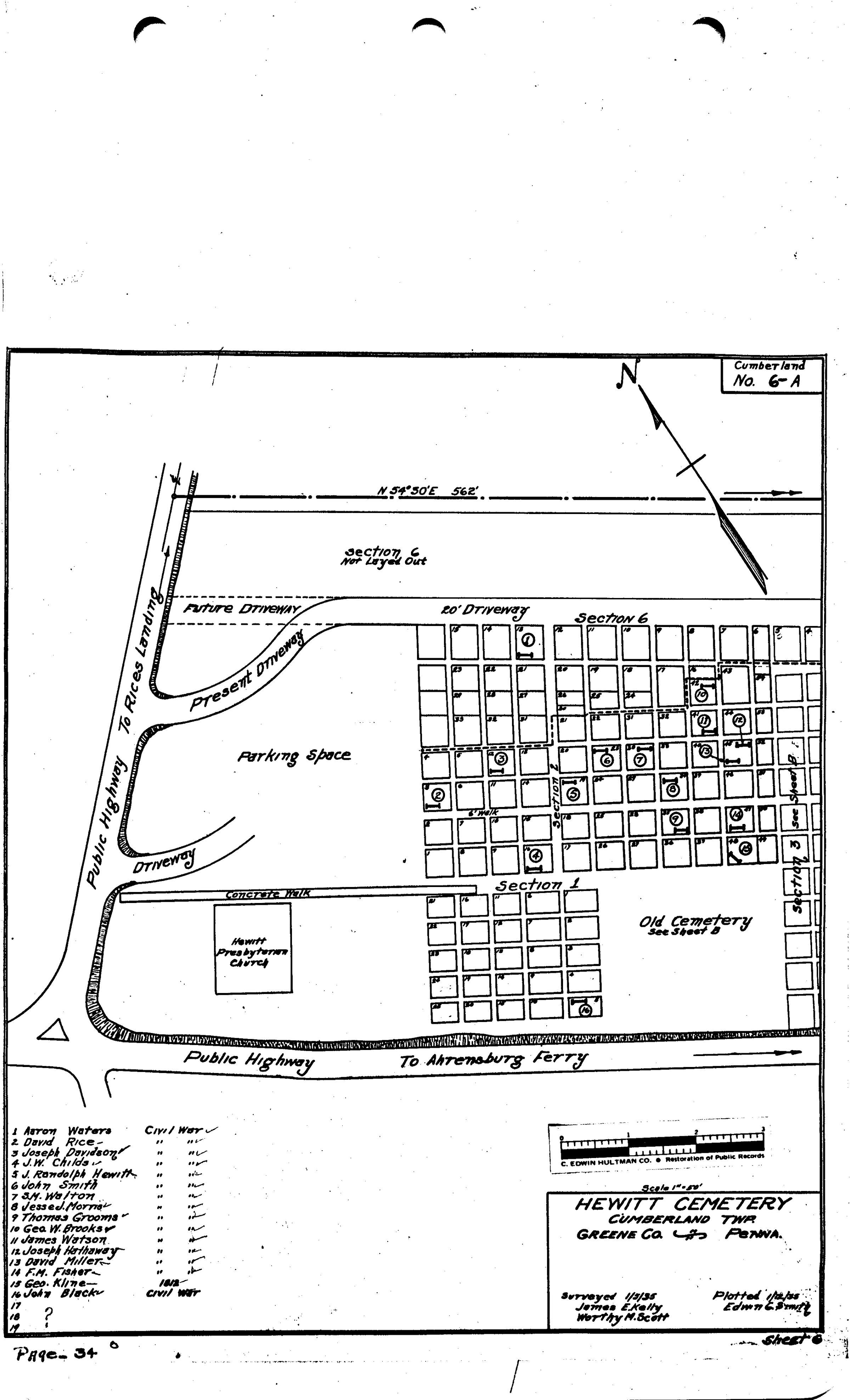
ABOUT THIS CEMETERY: The Hewitt Cemetery is located in Rices Landing. The church was formerly associated with the Cumberland Presbyterian Church. PROVENANCE OF PLAT MAP: During the 1930s, the Works Progress Administration (renamed in 1939 as the Work Projects Administration) provided jobs by employing individuals to locate and map area cemeteries. As a part of these surveys, workers also listed veterans buried at each cemetery. The Clerk of Courts Office at the Greene County Courthouse in Waynesburg, Pennsylvania, holds one set of the plat maps copied from the originals created during this project. In 2019, these maps were subsequently scanned and researched for the Greene Connections: Greene County, Pennsylvania Archives Project. VETERANS LISTED IN WPA SURVEY: Page 34 1. Aaron Waters - Civil War 2. David Rice - Civil War 3. Joseph Davidson - Civil War 4. J. W. Childs - Civil War 5. J. Randolph Hewitt - Civil War 6. John Smith - Civil War 7. S. M. Walton - Civil War 8. Jesse J. Morris - Civil War 9. Thomas Grooms - Civil War 10. Geo. W. Brooks - Civil War 11. James Watson - Civil War 12. Joseph Hathaway - Civil War 13. David Miller - Civil War 14. F. M. Fisher - Civil War 15. Geo. Kline - 1812 16. John Black - Civil War 17. ? 18. ? 19. ? Page 35 1. James Kelly - Rev. War 2. William Kelly - Rev. War 3. Thomas Crago - 1812 4. Samuel S. Kelly - Civil War 5. Eli Hewitt - Civil War 6. P. M. Syphers - Civil War 7. John G. Areford - World War 8. John Metz - Civil War 9. Joseph D. Flenniken - Civil War 10. W. H. McClelland - Civil War 11. Eli Dukate - Civil War 12. Jas. Malone - Civil War 13. William Anderson - Civil War 14. Robert T. Heatley - World War 15. Clark Denny - Civil War 16. Ellis B. Johnson - Civil War 17. William C. Johnson - Civil War 18. Wm. H. Martin - Civil War 19. Alpheus Cunningham - Civil War 20. John Lesso - World War 21. Wm. Crago - 1812 22. ? HENNEN RECORDS CROSS-REFERENCE: Forty years after the WPA, local genealogist Dorothy Hennen personally visited every Greene County, Pennsylvania, cemetery that she could locate. Her 12-volume series, published in the 1970s, is cross-referenced here to provide a resource for further information regarding location descriptions and lists of burials. These books are available at the Cornerstone Genealogical Society in Waynesburg, Pennsylvania. Dorothy T. Hennen, compiler, Cemetery Records of Greene County, Pennsylvania, 12 volumes (Waynesburg, Pennsylvania: Cornerstone Genealogical Society, 1975-1979), 9: 575, Hewitt Cemetery.

Collection

Cemetery Plat (WPA) Collection

Lexicon

Search Terms

Cemeteries--Maps, Jefferson (Greene County, Pa. : Township)--Cemeteries, Rices Landing (Pa.)--Cemeteries--Hewitt Cemetery, Rices Landing (Pa.)--Church buildings--Hewitt Presbyterian Church

Archive Details

Date(s) of Creation

Jan 5, 1935

Relationships

Related Person or Organization

Person or Organization

Areford, John Goslin [1889-1919]

Person or Organization

Heatley, Robert Taylor [1894-1918]

Person or Organization

Kelley, William [1759c-1841]

Person or Organization

Watson, James [1835-1908]

Related Places

Place

Town

Rices Landing

Township

Jefferson Township

County

Greene County

State/Province

Pennsylvania

Country

United States

Continent

North America

Provenance

Provenance Detail

Cemetery Plat (WPA) Collection - Jefferson Township

Notes

Source Citation: WPA Cemetery Plat - Pennsylvania - Greene County - Cumberland (sic Jefferson) Township - Hewitt Cemetery (1935); item no. 2016.3.62, Cemetery Plat (WPA) Collection, surveyed by Works Projects Administration, copy on file at the Clerk of Courts Office, Greene County Courthouse; Greene Connections Archives Project (GreeneConnections.com).