Elizabeth Everly Farm - Dunkard Township - Greene County - Pennsylvania - WPA Cemetery Plat

Elizabeth Everly Farm - Dunkard Township - Greene County - Pennsylvania - WPA Cemetery Plat: See WEB LINKS to DOWNLOAD high-resolution image.
Elizabeth Everly Farm - Dunkard Township - Greene County - Pennsylvania - WPA Cemetery Plat

See WEB LINKS to DOWNLOAD high-resolution image.

Name/Title

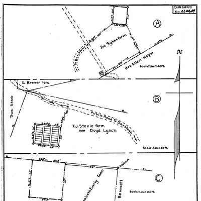
Elizabeth Everly Farm - Dunkard Township - Greene County - Pennsylvania - WPA Cemetery Plat

Entry/Object ID

2016.3.326

Scope and Content

ABOUT THIS CEMETERY: Everly Cemetery is located in Dunkard Township, Greene County, Pennsylvania. PROVENANCE OF PLAT MAP: During the 1930s, the Works Progress Administration (renamed in 1939 as the Work Projects Administration) provided jobs by employing individuals to locate and map area cemeteries. As a part of these surveys, workers also listed veterans buried at each cemetery. The Clerk of Courts Office at the Greene County Courthouse in Waynesburg, Pennsylvania, holds one set of the plat maps copied from the originals created during this project. In 2019, these maps were subsequently scanned and researched for the Greene Connections: Greene County, Pennsylvania Archives Project. VETERANS LISTED IN WPA SURVEY: None. HENNEN RECORDS CROSS-REFERENCE: Forty years after the WPA, local genealogist Dorothy Hennen personally visited every Greene County, Pennsylvania, cemetery that she could locate. Her 12 volume series, published in the 1970s, is cross-referenced here to provide a resource for further information regarding location descriptions and lists of burials. These books are available at the Cornerstone Genealogical Society in Waynesburg, Pennsylvania. The following references may or may not be a match to this cemetery: Dorothy T. Hennen, compiler, Cemetery Records of Greene County, Pennsylvania, 12 volumes (Waynesburg, Pennsylvania: Cornerstone Genealogical Society, 1975-1979), 4: 205, Everly Cemetery I or 4: 206, Everly Cemetery III.

Collection

Cemetery Plat (WPA) Collection

Lexicon

Search Terms

Cemeteries--Maps, Dunkard (Greene County, Pa. : Township)--Cemeteries

Archive Details

Date(s) of Creation

1934

Relationships

Related Places

Place

Township

Dunkard Township

County

Greene County

State/Province

Pennsylvania

Country

United States

Continent

North America

Provenance

Provenance Detail

Cemetery Plat (WPA) Collection - Dunkard Township

Notes

SOURCE CITATION: WPA Cemetery Plat - Pennsylvania - Greene County - Dunkard Township - Elizabeth Everly Farm Cemetery (1934); item no. 2016.3.326, Cemetery Plat (WPA) Collection, surveyed by Works Projects Administration, copy on file at the Clerk of Courts Office, Greene County Courthouse; Greene Connections Archives Project (GreeneConnections.com).