Name/Title
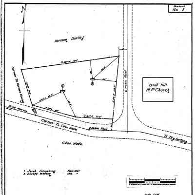
Bald Hill - Dunkard Township - Greene County - Pennsylvania - WPA Cemetery PlatEntry/Object ID
2016.3.314Scope and Content
ABOUT THIS CEMETERY:
Bald Hill Cemetery is located in Dunkard Township, Greene County, Pennsylvania.
PROVENANCE OF PLAT MAP:
During the 1930s, the Works Progress Administration (renamed in 1939 as the Work Projects Administration) provided jobs by employing individuals to locate and map area cemeteries. As a part of these surveys, workers also listed veterans buried at each cemetery. The Clerk of Courts Office at the Greene County Courthouse in Waynesburg, Pennsylvania, holds one set of the plat maps copied from the originals created during this project. In 2019, these maps were subsequently scanned and researched for the Greene Connections: Greene County, Pennsylvania Archives Project.
VETERANS LISTED IN WPA SURVEY:
1. Jacob Stoneking - Revolutionary War
2. Joseph Watson - War of 1812
HENNEN RECORDS CROSS-REFERENCE:
Forty years after the WPA, local genealogist Dorothy Hennen personally visited every Greene County, Pennsylvania, cemetery that she could locate. Her 12-volume series, published in the 1970s, is cross-referenced here to provide a resource for further information regarding location descriptions and lists of burials. These books are available at the Cornerstone Genealogical Society in Waynesburg, Pennsylvania.
Dorothy T. Hennen, compiler, Cemetery Records of Greene County, Pennsylvania, 12 volumes (Waynesburg, Pennsylvania: Cornerstone Genealogical Society, 1975-1979), 4: 199, Bald Hill Cemetery.Collection
Cemetery Plat (WPA) CollectionLexicon
Search Terms
Cemeteries--Maps, Dunkard (Greene County, Pa. : Township)--CemeteriesRelationships
Related Places
Place
Township
Dunkard TownshipCounty
Greene CountyState/Province
PennsylvaniaCountry
United StatesContinent
North AmericaProvenance
Provenance Detail
Cemetery Plat (WPA) Collection - Dunkard TownshipNotes
Source Citation: WPA Cemetery Plat - Pennsylvania - Greene County - Dunkard Township - Bald Hill Cemetery (1934); item no. 2016.3.314, Cemetery Plat (WPA) Collection, surveyed by Works Projects Administration, copy on file at the Clerk of Courts Office, Greene County Courthouse; Greene Connections Archives Project (GreeneConnections.com).