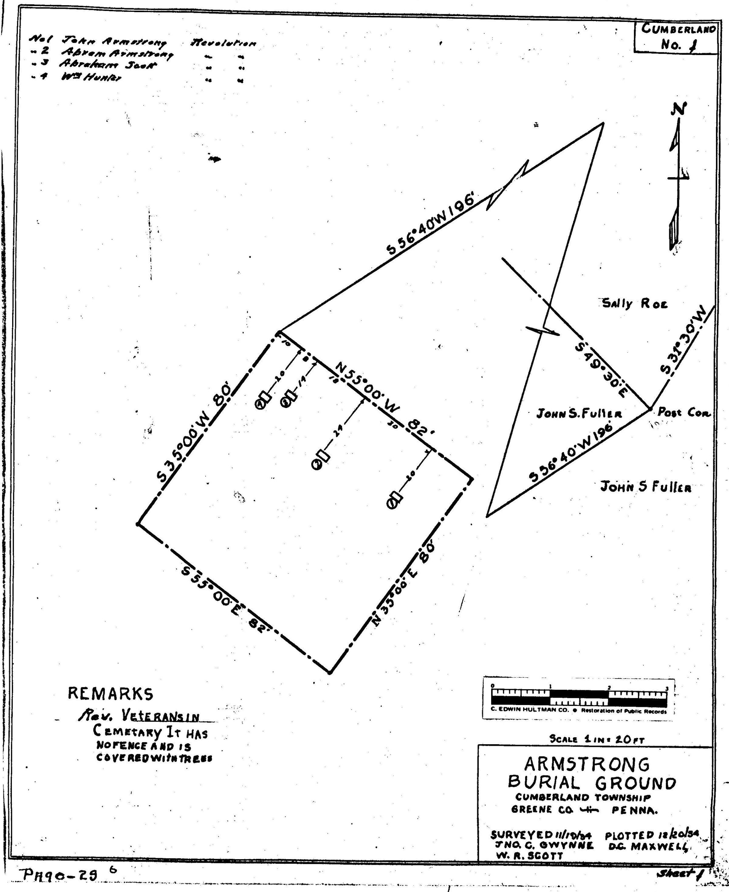
Armstrong - Cumberland Township - Greene County - Pennsylvania - WPA Cemetery Plat

Armstrong Cemetery: Origformat: Print-Photographic
Armstrong Cemetery

Origformat: Print-Photographic

Name/Title

Armstrong - Cumberland Township - Greene County - Pennsylvania - WPA Cemetery Plat

Entry/Object ID

2016.3.18

Scope and Content

ABOUT THIS CEMETERY: In 1934, the surveyors remarked that the Armstrong Cemetery had no fence and was covered with trees. In 1975, when the Hennens recorded the cemetery, they observed that only one stone was still standing and most others were badly broken. PROVENANCE OF PLAT MAP: During the 1930s, the Works Progress Administration (renamed in 1939 as the Work Projects Administration) provided jobs by employing individuals to locate and map area cemeteries. As a part of these surveys, workers also listed veterans buried at each cemetery. The Clerk of Courts Office at the Greene County Courthouse in Waynesburg, Pennsylvania, holds one set of the plat maps copied from the originals created during this project. In 2019, these maps were subsequently scanned and researched for the Greene Connections: Greene County, Pennsylvania Archives Project. VETERANS LISTED IN WPA SURVEY: 1. John Armstrong - Revolution 2. Abraham Armstrong - Revolution 3. Abraham Scott - Revolution 4. Wm. Hunter - Revolution HENNEN RECORDS CROSS-REFERENCE: Forty years after the WPA, local genealogist Dorothy Hennen personally visited every Greene County, Pennsylvania, cemetery that she could locate. Her 12 volume series, published in the 1970s, is cross-referenced here to provide a resource for further information regarding location descriptions and lists of burials. These books are available at the Cornerstone Genealogical Society in Waynesburg, Pennsylvania. Dorothy T. Hennen, compiler, Cemetery Records of Greene County, Pennsylvania, 12 volumes (Waynesburg, Pennsylvania: Cornerstone Genealogical Society, 1975-1979), 3: 132. Hennen also references an undated list shared by Howard Leckey.

Collection

Cemetery Plat (WPA) Collection

Lexicon

Search Terms

Armstrong Cemetery (Cumberland Township), Armstrong family, Cemetery, Cemetery Plat (WPA), Cumberland Township, Hunter family, Map, Scott family

Archive Details

Date(s) of Creation

Dec 20, 1934

Relationships

Related Person or Organization

Person or Organization

Scott, Abraham [1756-1845]

Related Places

Place

* Untyped Place

Pennsylvania / Greene County / Cumberland Township / Armstrong Cemetery

Provenance

Provenance Detail

Cemetery Plat (WPA) Collection - Cumberland Township

Notes

Source Citation: WPA Cemetery Plat - Pennsylvania - Greene County - Cumberland Township - Armstrong Cemetery (1934), item no. 2016.3.18, Cemetery Plat (WPA) Collection, surveyed by Works Projects Administration, copy on file at the Clerk of Courts Office, Greene County Courthouse, Greene Connections Archives Project (www.GreeneConnections.com).