Bosworth-Strope - Aleppo Township - Greene County - Pennsylvania - WPA Cemetery Plat

Bosford Cemetery: Origformat: Print-Photographic
Bosford Cemetery

Origformat: Print-Photographic

Name/Title

Bosworth-Strope - Aleppo Township - Greene County - Pennsylvania - WPA Cemetery Plat

Entry/Object ID

2016.3.12

Scope and Content

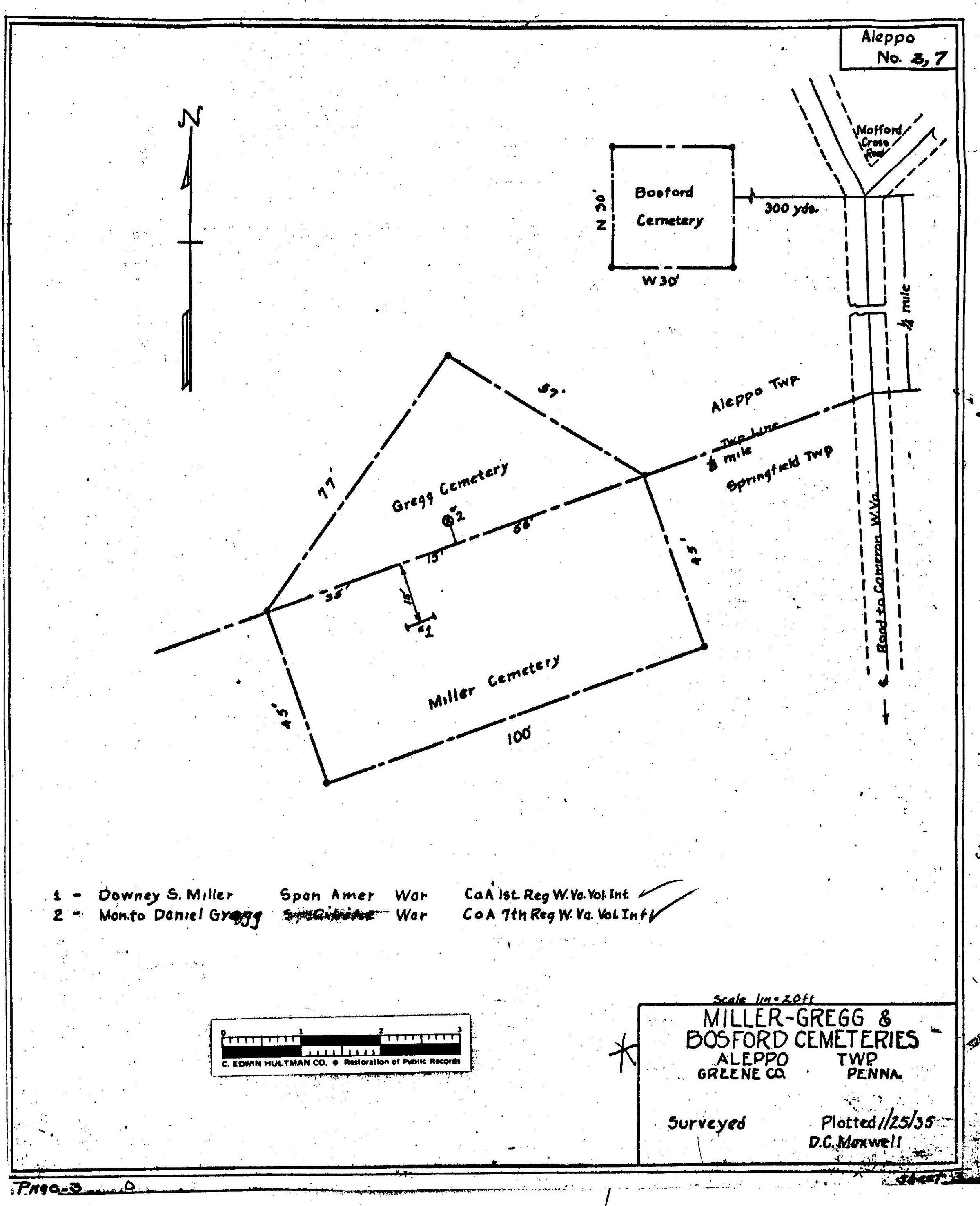
ABOUT THIS CEMETERY: The Bosworth-Strope Cemetery is located at Morford, Aleppo Township, Greene County, Pennsylvania. PROVENANCE OF PLAT MAP: During the 1930s, the Works Progress Administration (renamed in 1939 as the Work Projects Administration) provided jobs by employing individuals to locate and map area cemeteries. As a part of these surveys, workers also listed veterans buried at each cemetery. The Clerk of Courts Office at the Greene County Courthouse in Waynesburg, Pennsylvania, holds one set of the plat maps copied from the originals created during this project. In 2019, these maps were subsequently scanned and researched for the Greene Connections: Greene County, Pennsylvania Archives Project. VETERANS LISTED IN WPA SURVEY: None listed. HENNEN RECORDS CROSS-REFERENCE: Forty years after the WPA, local genealogist Dorothy Hennen personally visited every Greene County, Pennsylvania, cemetery that she could locate. Her 12 volume series, published in the 1970s, is cross-referenced here to provide a resource for further information regarding location descriptions and lists of burials. These books are available at the Cornerstone Genealogical Society in Waynesburg, Pennsylvania. Dorothy T. Hennen, compiler, Cemetery Records of Greene County, Pennsylvania, 12 volumes (Waynesburg, Pennsylvania: Cornerstone Genealogical Society, 1975-1979), 1: 5, Bosworth-Strope Cemetery.

Collection

Cemetery Plat (WPA) Collection

Lexicon

Search Terms

Aleppo (Greene County, Pa. : Township)--Cemeteries--Bosworth-Strope Cemetery, Cemeteries--Maps

Archive Details

Date(s) of Creation

Jan 25, 1935

Provenance

Provenance Detail

Cemetery Plat (WPA) Collection - Aleppo Township

Notes

Source Citation: WPA Cemetery Plat - Pennsylvania - Greene County - Aleppo Township - Bosworth-Strope Cemetery (1935), item no. 2016.3.12, Cemetery Plat (WPA) Collection, surveyed by Works Projects Administration, copy on file at the Clerk of Courts Office, Greene County Courthouse, Greene Connections Archives Project (www.GreeneConnections.com).