Bowler - Center Township - Greene County - Pennsylvania - WPA Cemetery Plat

Bowler - Center Township - Greene County - Pennsylvania - WPA Cemetery Plat

Bowler - Center Township - Greene County - Pennsylvania - WPA Cemetery Plat

Name/Title

Bowler - Center Township - Greene County - Pennsylvania - WPA Cemetery Plat

Entry/Object ID

2016.3.29

Scope and Content

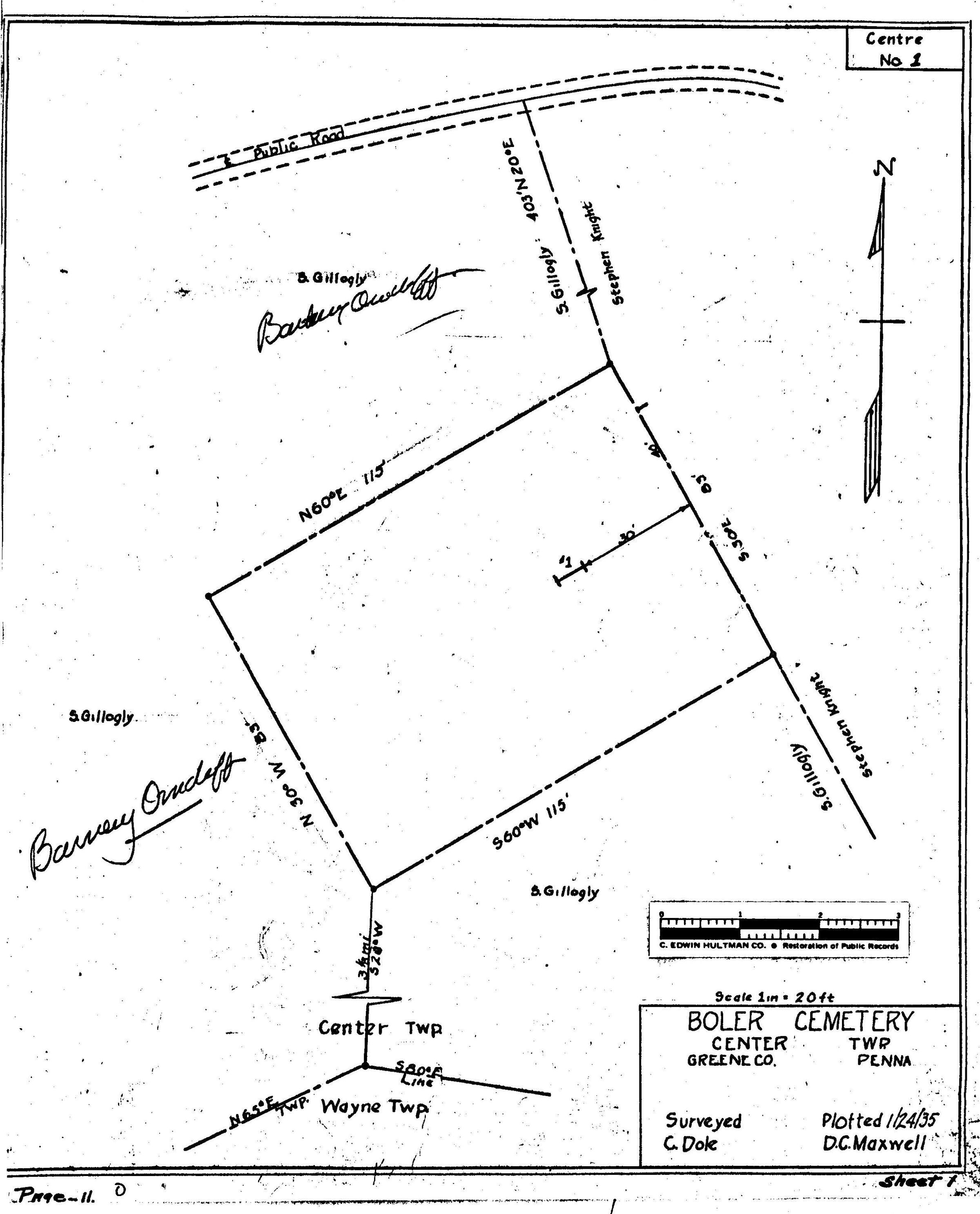
ABOUT THIS CEMETERY: "....and first I direct that my body be decently intered [sic] in the buring [sic] Ground in my Orchard...." - Greene County, Pennsylvania, Will Book, 2: 225, estate file no. 1184, John Bowler Will and Estate; Office of the Register & Recorder, Greene County Courthouse, Waynesburg. John Bowler signed his Will 26 March 1841 and it was proven 28 August 1845. Bowler Cemetery is located about two miles southeast of Rogersville along a road that used to be called "Bowler Ridge." To reach the cemetery you must walk through the field and climb the hill. PROVENANCE OF PLAT MAP: During the 1930s, the Works Progress Administration (renamed in 1939 as the Work Projects Administration) provided jobs by employing individuals to locate and map area cemeteries. As a part of these surveys, workers also listed veterans buried at each cemetery. The Clerk of Courts Office at the Greene County Courthouse in Waynesburg, Pennsylvania, holds one set of the plat maps copied from the originals created during this project. In 2019, these maps were subsequently scanned and researched for the Greene Connections: Greene County, Pennsylvania Archives Project. VETERANS LISTED IN WPA SURVEY: None. HENNEN RECORDS CROSS-REFERENCE: Forty years after the WPA, local genealogist Dorothy Hennen personally visited every Greene County, Pennsylvania, cemetery that she could locate. Her 12 volume series, published in the 1970s, is cross-referenced here to provide a resource for further information regarding location descriptions and lists of burials. These books are available at the Cornerstone Genealogical Society in Waynesburg, Pennsylvania. Dorothy T. Hennen, compiler, Cemetery Records of Greene County, Pennsylvania, 12 volumes (Waynesburg, Pennsylvania: Cornerstone Genealogical Society, 1975-1979), 2: 63.

Collection

Cemetery Plat (WPA) Collection

Lexicon

Search Terms

Bowler family, Cemeteries--Maps, Center (Greene County, Pa. : Township)--Cemeteries--Bowler Cemetery, Clark family, Knight family, Thompson family

Archive Details

Date(s) of Creation

Jan 24, 1935

Relationships

Related Person or Organization

Person or Organization

Bowler, Henry [1818-1904]

Person or Organization

Bowler, John [-1845]

Person or Organization

Bowler, Margaret (a/k/a Peggy) [1806-1892]

Related Places

Place

* Untyped Place

Pennsylvania / Greene County / Center Township / Bowler Cemetery

Provenance

Provenance Detail

Cemetery Plat (WPA) Collection - Center Township

Notes

Source Citation: WPA Cemetery Plat - Pennsylvania - Greene County - Center Township - Bowler Cemetery (1935); item no. 2016.3.29, Cemetery Plat (WPA) Collection, surveyed by Works Projects Administration, copy on file at the Clerk of Courts Office, Greene County Courthouse; Greene Connections Archives Project (GreeneConnections.com).