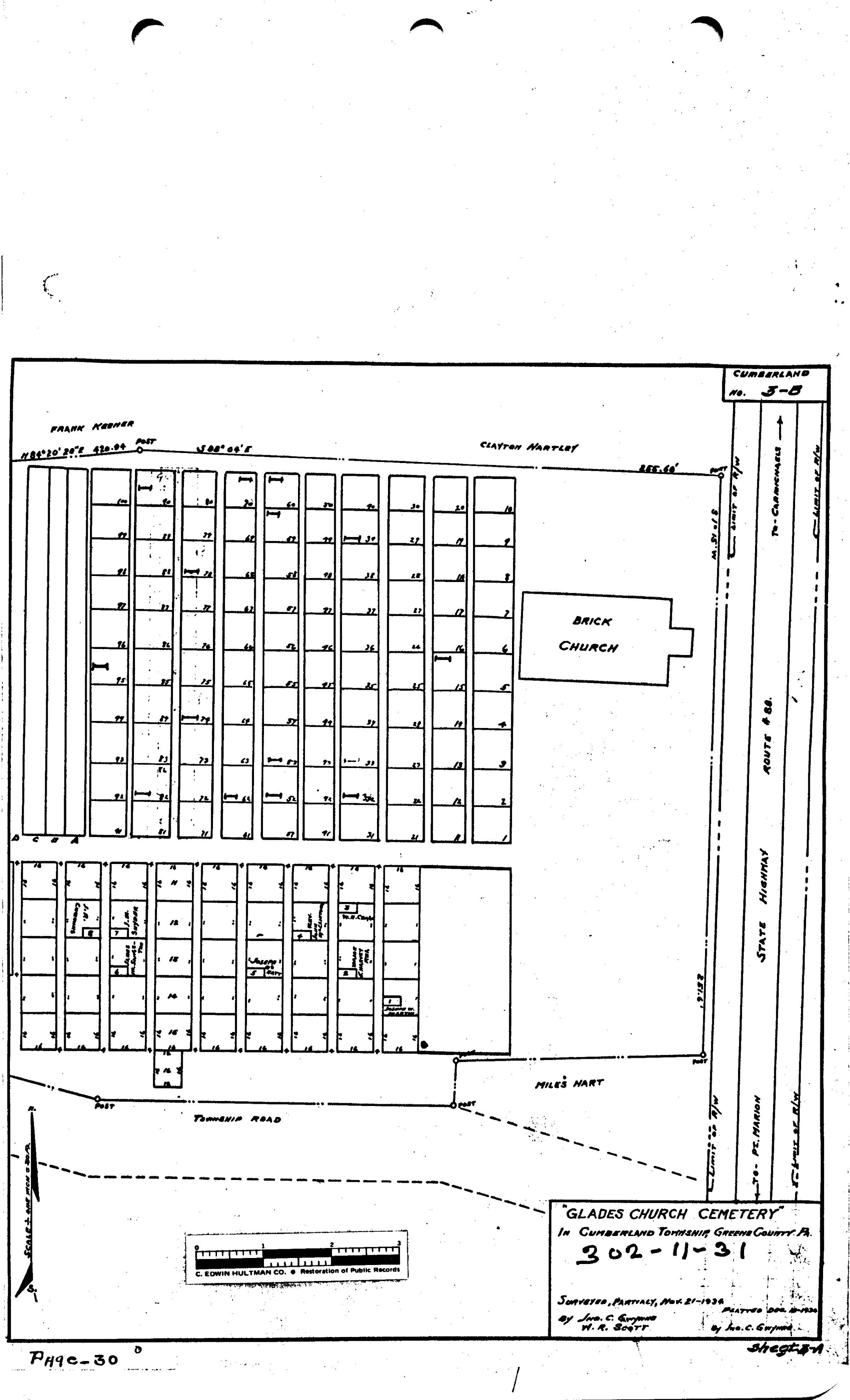
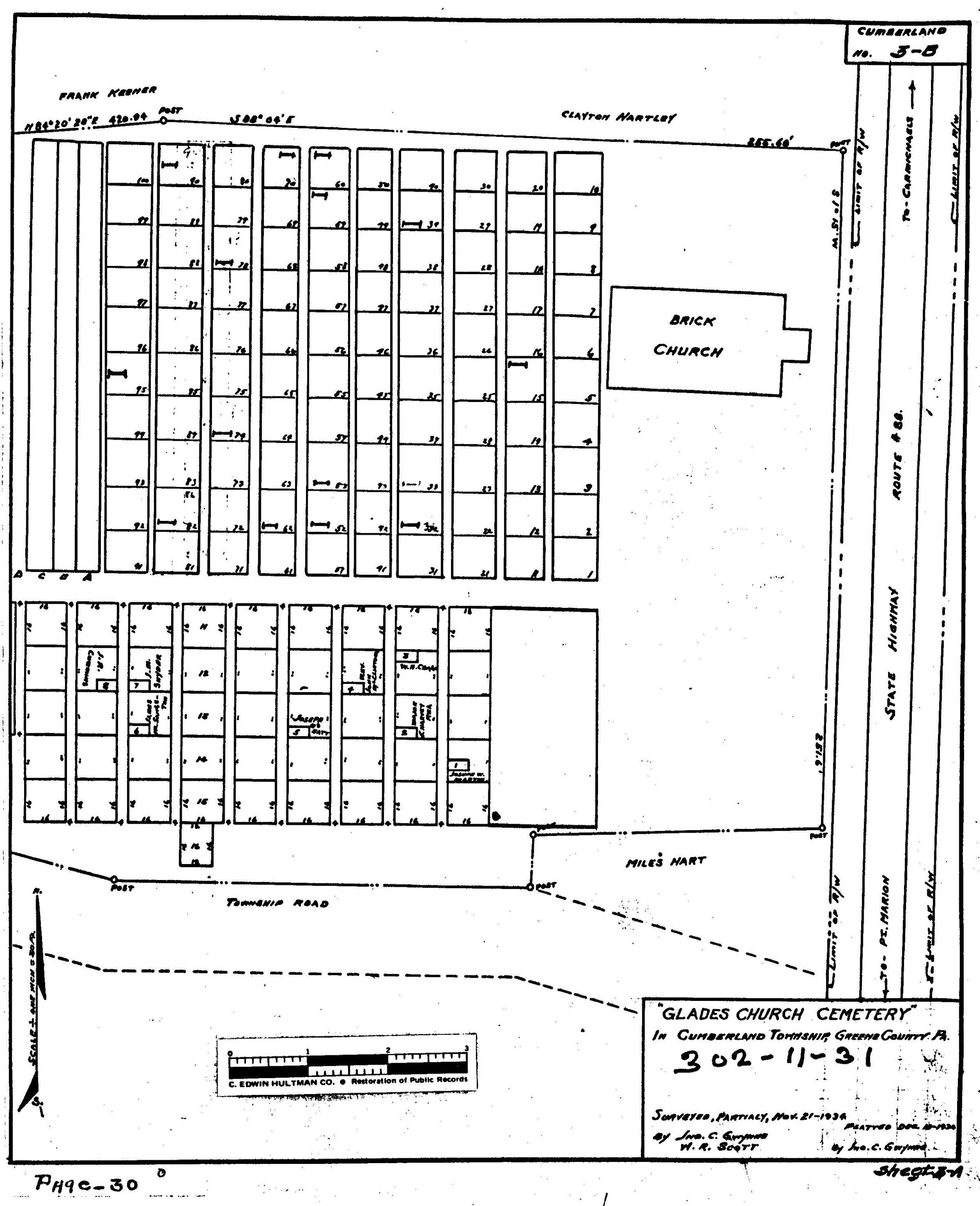
Glades - Cumberland Township - Greene County - Pennsylvania - WPA Cemetery Plat

Glades (2 pages): See WEB LINKS to DOWNLOAD PDF document file.
Glades (2 pages)

See WEB LINKS to DOWNLOAD PDF document file.

Name/Title

Glades - Cumberland Township - Greene County - Pennsylvania - WPA Cemetery Plat

Entry/Object ID

2016.3.53

Scope and Content

ABOUT THIS CEMETERY: The Glades Cemetery is located southeast of Carmichaels in Greene County, Pennsylvania. The church building was formerly associated with the New Providence Presbyterian Church. PROVENANCE OF PLAT MAP: During the 1930s, the Works Progress Administration (renamed in 1939 as the Work Projects Administration) provided jobs by employing individuals to locate and map area cemeteries. As a part of these surveys, workers also listed veterans buried at each cemetery. The Clerk of Courts Office at the Greene County Courthouse in Waynesburg, Pennsylvania, holds one set of the plat maps copied from the originals created during this project. In 2019, these maps were subsequently scanned and researched for the Greene Connections: Greene County, Pennsylvania Archives Project. VETERANS LISTED IN WPA SURVEY: Transcribed by Linda (Widdup) Moon, 2019. Free Burial Ground - Reamer - Civil Free Burial Ground - John Reamer - Civil Free Burial Ground - Jesse Altman - Civil Old Section D 25 - Henry Jamison - Civil Old Section D 21 - John Jamison - Civil Old Section E 67 - James Veech - Revolution Old Section F 57 - Capt John Harper - Civil Old Section F 73 - Hugh Barclay - Revolution Old Section G 86 - Hon. John Flenniken - Revolution Old Section H 47 - Elias Flannagan - Revolution Old Section K 89 - Morrison - Revolution Old Section V 40 - Henry Cumley - Civil - Co G 18 Pa Cav Old Section V 49 - Washington - Civil - Co. F 8 WVa Inf 2. Major J Havery Rea - Civil - Co. F 1st Pa Cav 3. Wm. H. Crago - Civil - Co. D 22 Pa Cav 5. Joseph McNalt - Civil - Co. F 61 Pa Inf 6. James M Sangston - Civil - Co A 7th WVa Reg 7. T. Madison Snyder - Civil - Co. C 61 Pa Vol 8. J Reese Cummins - Civil - Co. E 1st Pa Cav. 9. John Ireland - Civil - Co. K 17 Ky Cav. Lot 15 - Capt. James L. Sharpnack - World War Lot 32 - Capt Francis Clark - Civil - Co.13 22 Pa Cav Lot 39 - James Jacobs - Civil - Co. D 37 Pa Inf Lot 52 - Luther McMinn - Civil - Co I 63 Pa Inf. Lot 59 - John Hunter - Civil - Co. K 2 Pa H.M. Lot 60 - Wm. H. McClelland - Civil Lot 62 - Wm. Barnhart - Civil - Co A 168 Pa Reg. Vol. Lot 70 - Geo. W. McClelland - Civil - Co F 1st Pa Reg Cav Lot 74 - Israel Barclay - Civil - 159 Pa Militia Lot 78 - Noah M Hartley - Civil - Co A 168 Pa Inf Lot 82 - Henry H Houston - Civil - Co A 22 Pa Cav Lot 90 - James Hudson - Civil - Co A 168 Pa V.I. Lot 95 - James W Mundell - Civil - Co A 22 Vol Lot 101 - Hugh Stephenson - Revolution War Wm. H. Cummings - Lot 53 - Civil HENNEN RECORDS CROSS-REFERENCE: Forty years after the WPA, local genealogist Dorothy Hennen personally visited every Greene County, Pennsylvania, cemetery that she could locate. Her 12 volume series, published in the 1970s, is cross-referenced here to provide a resource for further information regarding location descriptions and lists of burials. These books are available at the Cornerstone Genealogical Society in Waynesburg, Pennsylvania. Dorothy T. Hennen, compiler, Cemetery Records of Greene County, Pennsylvania, 12 volumes (Waynesburg, Pennsylvania: Cornerstone Genealogical Society, 1975-1979), 3: 133.

Collection

Cemetery Plat (WPA) Collection

Lexicon

Search Terms

Cemeteries--Maps, Cumberland (Greene County, Pa. : Township)--Cemeteries--Glades Cemetery

Archive Details

Date(s) of Creation

Nov 21, 1934

Provenance

Provenance Detail

Cemetery Plat (WPA) Collection - Cumberland Township

Notes

Source Citation: WPA Cemetery Plat - Pennsylvania - Greene County - Cumberland Township - Glades Cemetery (1934), item no. 2016.3.53, Cemetery Plat (WPA) Collection, surveyed by Works Projects Administration, copy on file at the Clerk of Courts Office, Greene County Courthouse, Greene Connections Archives Project (www.GreeneConnections.com).