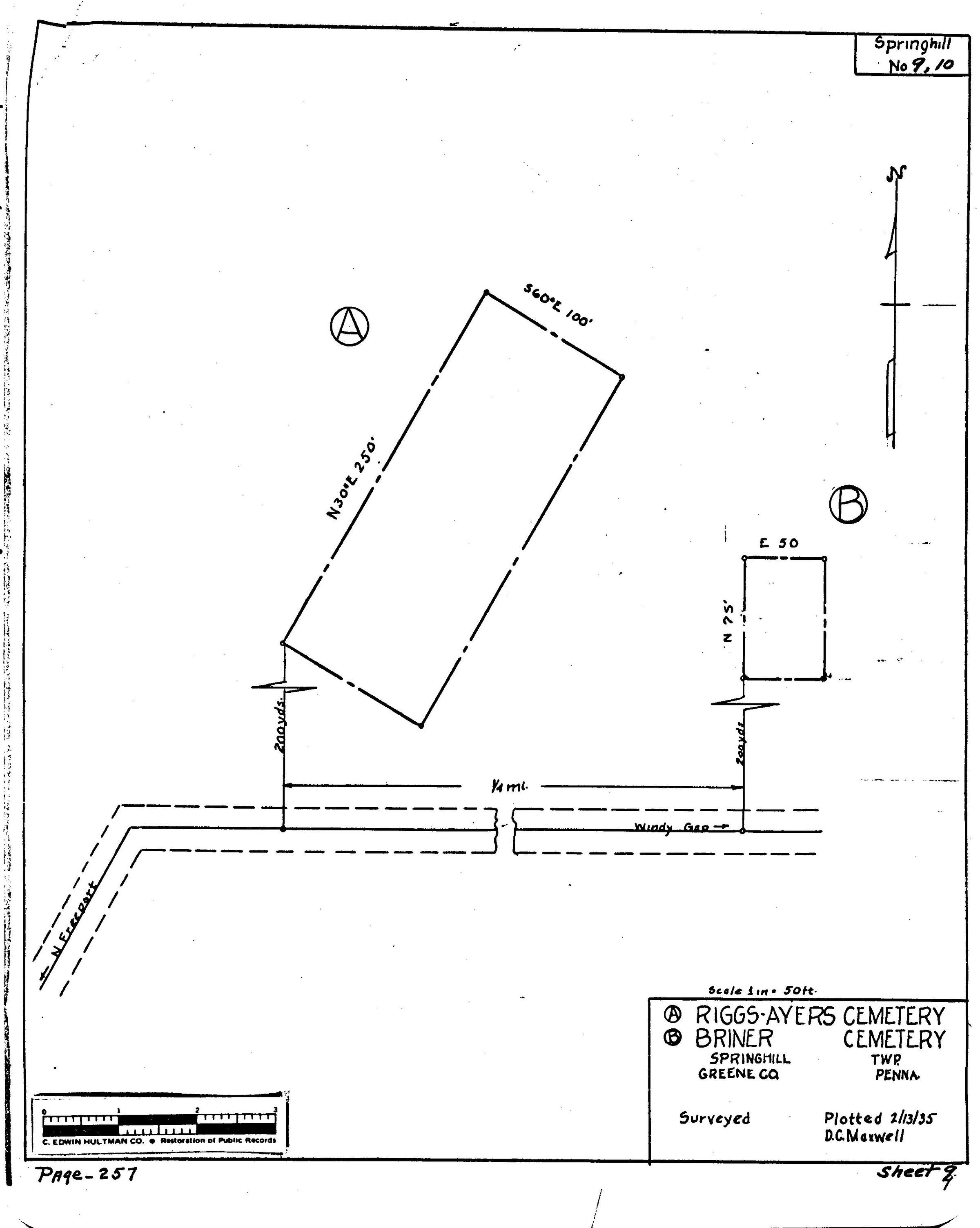
Riggs-Ayers - Springhill Township - Greene County - Pennsylvania - WPA Cemetery Plat

Riggs-Ayers - Springhill Township - Greene County - Pennsylvania - WPA Cemetery Plat: See WEB LINKS to DOWNLOAD high-resolution image.
Riggs-Ayers - Springhill Township - Greene County - Pennsylvania - WPA Cemetery Plat

See WEB LINKS to DOWNLOAD high-resolution image.

Name/Title

Riggs-Ayers - Springhill Township - Greene County - Pennsylvania - WPA Cemetery Plat

Entry/Object ID

2016.3.234

Scope and Content

ABOUT THIS CEMETERY: Whereas the WPA Surveyor combined the two graveyards into one cemetery plat, Dorothy Hennen listed Riggs Cemetery #1 and Ayers Cemetery as two separate burial grounds, although she provided the same location information for each. According to Hennen's description written in 1967, Riggs Cemetery #1 and Ayers Cemetery are both located on "Wagonrun Road, off Fish Creek, about one mile from the compressor station" in Springhill Township, Greene County, Pennsylvania. PROVENANCE OF PLAT MAP: During the 1930s, the Works Progress Administration (renamed in 1939 as the Work Projects Administration) provided jobs by employing individuals to locate and map area cemeteries. As a part of these surveys, workers also listed veterans buried at each cemetery. The Clerk of Courts Office at the Greene County Courthouse in Waynesburg, Pennsylvania, holds one set of the plat maps copied from the originals created during this project. In 2019, these maps were subsequently scanned and researched for the Greene Connections: Greene County, Pennsylvania Archives Project. VETERANS LISTED IN WPA SURVEY: None. HENNEN RECORDS CROSS-REFERENCE: Forty years after the WPA, local genealogist Dorothy Hennen personally visited every Greene County, Pennsylvania, cemetery that she could locate. Her 12-volume series, published in the 1970s, is cross-referenced here to provide a resource for further information regarding location descriptions and lists of burials. These books are available at the Cornerstone Genealogical Society in Waynesburg, Pennsylvania. Dorothy T. Hennen, compiler, Cemetery Records of Greene County, Pennsylvania, 12 volumes (Waynesburg, Pennsylvania: Cornerstone Genealogical Society, 1975), 6: 325, Ayers Cemetery, and 362, Riggs Cemetery #1.

Collection

Cemetery Plat (WPA) Collection

Lexicon

Search Terms

Ayers family, Cemeteries--Maps, Springhill (Greene County, Pa. : Township)--Cemeteries, Riggs family

Archive Details

Date(s) of Creation

1935

Provenance

Provenance Detail

Cemetery Plat (WPA) Collection - Springhill Township

Acquisition Method

Digital

Acquisition Date

2019

Notes

SOURCE CITATION: WPA Cemetery Plat - Pennsylvania - Greene County - Springhill Township - Riggs-Ayers Cemetery (1935), item no. 2016.3.234, Cemetery Plat (WPA) Collection, surveyed by Works Projects Administration, copy on file at the Clerk of Courts Office, Greene County Courthouse, Greene Connections Archives Project (GreeneConnections.com).