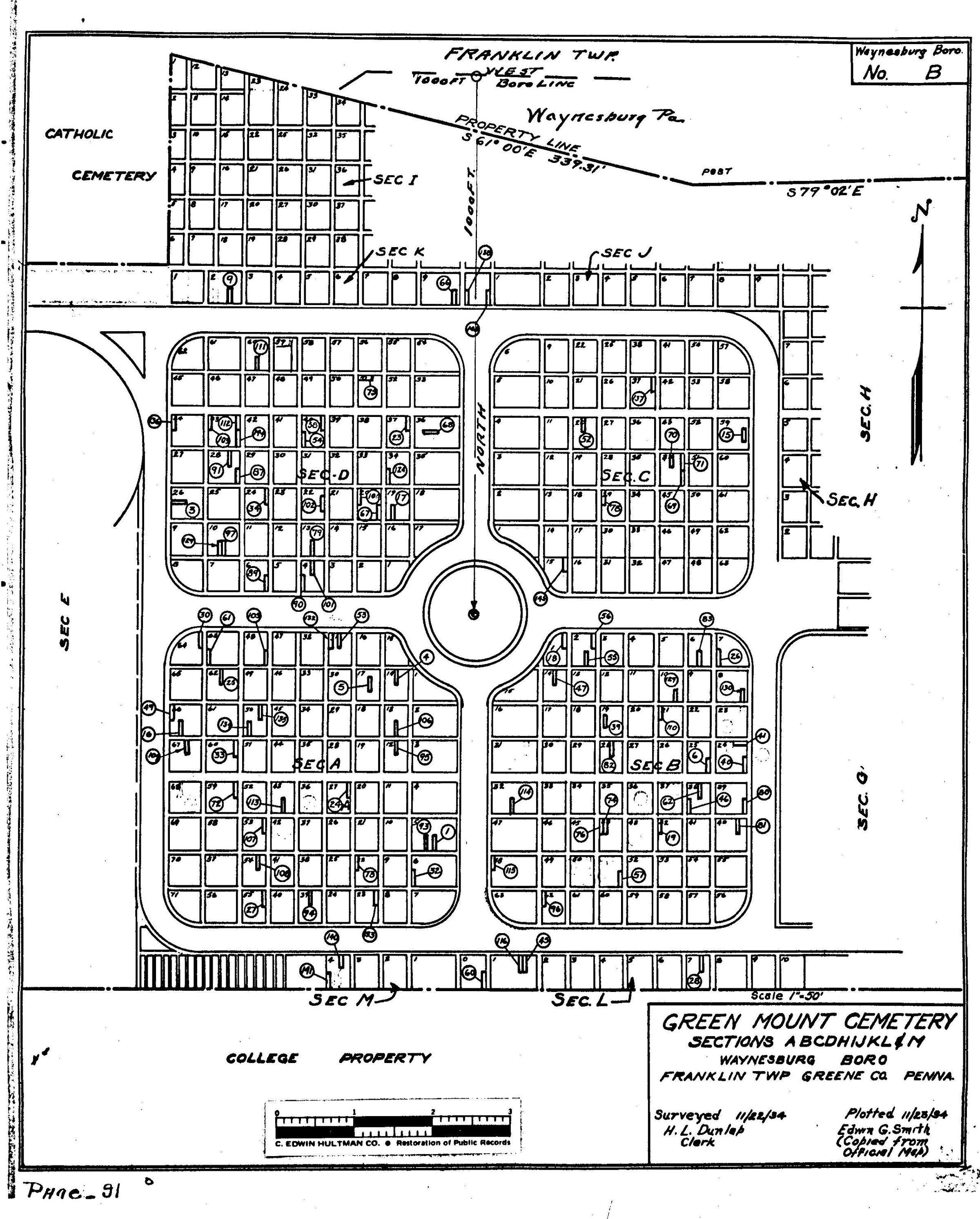
Green Mount - Waynesburg - Greene County - Pennsylvania - WPA Cemetery Plat

Green Mount Cemetery Survey (4 pages): See WEB LINKS to DOWNLOAD PDF document file.
Green Mount Cemetery Survey (4 pages)

See WEB LINKS to DOWNLOAD PDF document file.

Name/Title

Green Mount - Waynesburg - Greene County - Pennsylvania - WPA Cemetery Plat

Entry/Object ID

2016.3.4

Scope and Content

ABOUT THIS CEMETERY: Green Mount Cemetery was established by an Act of the General Assembly of the Commonwealth of Pennsylvania on the 15th day of April 1853. Two years later in 1855, surveying was complete for the original property and lots were made available for purchase. Once established, Green Mount Cemetery fast became Waynesburg's primary burial ground. Two town cemeteries (Commons and Methodist) and several small family cemeteries that were in existence prior to Green Mount's creation were eventually removed to Green Mount as their properties were reclaimed for modern development, ultimately, making Green Mount the most common burial ground for our Waynesburg ancestors. PROVENANCE OF PLAT MAP: During the 1930s, the Works Progress Administration (renamed in 1939 as the Work Projects Administration) provided jobs by employing individuals to locate and map area cemeteries. As a part of these surveys, workers also listed veterans buried at each cemetery. The Clerk of Courts Office at the Greene County Courthouse in Waynesburg, Pennsylvania, holds one set of the plat maps copied from the originals created during this project. In 2019, these maps were subsuequently scanned and researched for the Greene Connections: Greene County, Pennsylvania Archives Project. VETERANS LISTED IN WPA SURVEY: Transcribed by virtual volunteers through the Greene Connections Archives crowdsourcing project, 2020. 1. Adams, Richard Civil B A 5 2. Allum, Jas. P. Civil A F 38 3. Berryhill, Chas. Civil B D 26 4. Beeler, Hugh Civil B A 14 5. Beeler, Joshua Civil B A 17 6. Brown, Wm. A. Civil B B 25 7. Buchanan, David Civil C G 27 8. Baker, Hiram Civil C G 4 9. Bruce, Andrew Civil B Col 2 10. Baker, Lewis A. Civil B Col (blank) 11. Brown, A. B. Civil B L (blank) 12. Black, Lindsay Civil A F (blank) 13. Byers, John H. Civil A F (blank) 14. Bayne, Chas W. Civil C P 6 15. Buchanan, Bert World B C 59 16. Bayard, Sealey S. Civil B A 66 17. Bower, Chas. E Civil B D 19 18. Carson, John H. Civil B B 1 19. Cooke, Joseph Civil B B 42 20. Crago, Thos. S. Sp. Amer. C G 28 21. Campbell, Benj. F Civil C P 25 22. Chapman, Joseph Civil C P 25 23. Cree, Alexander Civil B D 37 24. Cary, Harold T World A N 31 [24*] Cosgray, James P. Civil B A 27 25. Davis, David L. Civil B A 62 26. Downey, John I. Civil B B 7 27. Donley, Joseph Civil B A 55 28. Denny, George L. Civil B L 7 29. Denny, Dr. B. W. Civil A E 6 30. Elms, George Civil B A 64 31. Engle, Solomon Civil C G 79 32. Frazier, Alex. Civil B A 6 33. Frye, Wm. Jr. Sp. Amer. B A 60 34. Fordyce, John G. Civil B D 24 35. Ganiear, John H. Civil A F 9 36. Grim, Samuel Civil A E 11 37. Garrison, Thompson Civil C P 12 38. Galbraith, Dr. J. C. World C G 14 39. Hartzell, Elias Civil B B 19 40. Hedge, Chas. T. Civil B B 24 41. Hedge, Samuel Civil B B 24 42. Hickman, Floyd World C G 38 43. Hundertmark, Jno. Sp. Amer. A E 17 44. Hill, T. Benton Civil A N 28 45. Hall, Edward Civil B L 1 46. Hays, John W. Civil B D 38 47. Hays, William Civil B B 14 48. Huffman, Milton Civil A E 7 49. Howard, Rev. Jas. M. Civil B A 66 50. Johnson, Sam Civil C P 25 51. Johnson, J. Kirby Sp. Amer. C P 25 52. John, E. Y. Civil B C 20 53. Johns, Albert M. Civil B A 31 54. Kent, John M. Civil B D 40 55. Keigley, George Civil B B 2 56. Keigley, Newton Civil B B 2 57. Kent, James 1812 B B 51 58. Kent, Thomas J. Civil B D 40 59. Love, Benjamin T. Civil C P 25 60. Lincoln, Andrew J. Civil B L 0 61. Lindsay, Chas. B. Civil B A 63 62. Ledwith, Richard 1812 B (B/D?) 38 63. McNay, J. R. Civil C G 15 64. Manning, Ben A. World C G 22 65. Morris, Joh P. Civil C P 25 66. Manley, Wilkinson Civil Col. 9 (blank) 67. McClelland, C. S. Civil B D 20 68. Montgomery, Samuel Civil B D 36 69. Minor, Edward H. Civil B C 44 70. Minor, Collin Civil B C 44 71. Minor, Wm. T. Civil B C 44 72. Morris, Milton Sp. Amer. B A 59 73. McGlumphy, Harvey A. Civil B A 22 74. O`Conner, Michael Civil B (B/D?) 44 75. Ogden, William Civil B D 51 76. Purman, N. N. Civil B B 44 77. Porter, John I. World A N 27 78. Porter, Sam A. Civil B C 29 79. Phillips, Wm. Civil B D 13 80. Phelan, Jno. R. Navy B (B/D?) 39 81. Rinehart, Jno. H. Civil B B 40 82. [Rinehart], Wm. S. Civil B B 28 83. Redmond, David E. Civil B B 6 84. Reese, David Civil C G 80 85. Rush, John A. Civil C P 25 86. Rinehart, Johiel I. Civil A F 1 87. Rinehart, Frank Civil B D 28 88. [Rinehart], Thomas Civil B D (blank) 89. [Rinehart], H. A. Civil B D 6 90. [Rinehart], Morgan Civil B D 4 91. [Rinehart], James B. Civil B D 28 92. [Rinehart], Frank Sp. Amer. B E 30 93. Ragan, Z. C. Civil B A 5 94. Ross, J. B. Civil B A 39 95. [Ross], T. W. Civil B A 12 96. Stoy, W. H. Civil B B 62 97. Smalley, A. C. Civil B D 10 98. Sayers, Robt. A. Civil C G 10 99. Stephens, Walter C. Sp. Amer. C G 32 100. Snyder, Phillip Civil C P 25 101. Shields, John C. Civil B D 4 102. Snyder, Joseph Civil B D 22 103. Summersgill, Robt. Civil B D 43 104. Stillwell, Milton Civil B D 20 105. Sayers, Henry C. Civil B A 48 106. Smith, Wm. P. Civil B A 13 107. Stewart, Andrew Civil B A 53 108. Spicer, Jno. Civil B A 54 109. Sayers, James E. Civil B A 67 110. Strosnider, Floyd World B D 21 111. Sayers, Thos. W. Civil B D 60 112. Teagarden, Isaac Civil B D 43 113. Weaver, E. F. Civil B A 43 114. Woods, James A. Civil B B 32 115. Waddell, Stephen D. Civil B B 48 116. Ward, Ray World B L 1 117. Wallace, Thos. B. Civil A F 37 118. [Wallace], Francis A. Civil A F 33 119. [Wallace], Benjamin F. Civil A F 30 120. Workman, John Civil (blank) Col (blank) 121. Wiley, John M. Sp. Amer. A F 33 122. Yoders, Russell K. World C G 6 123. Yeager, Thomas Civil A N 32 124. Zollars, Richard S. Civil B D 34 125. Zahniser, Norman M. World C P 7 126. Creel, James F. World A E 9 127. Moore, Francis B. World C P 14 128. Samuel Luse World C G 85 129. J. W. R. Smalley Civil B D 10 130. Stephen Hatfield Rev. B B 8 131.Spencer B. Millikin Civil C P 25 132. Benj. F. Herrington Civil B A 31 133. John F. Flowers, Jr. Civil B A 23 (Striked Through) 134. J. R. McNay Civil B A 24 134. N. W. Carter Civil B A 50 135. O. W. Carter World B A 50 136. John H. Syphers Civil B D 44 137. Norval P. Hoge Civil B C 57 138. John W. Payne World (blank) Col 560 139. Arthur A. Campbell Civil C P (blank) 140. Manassas Shaw Civil A M [64?] 141. Thomas Ellis Civil A M [67?] 142. John B. Gordon World C G 12 143. Paul Dokmonovich World (blank) Col. [571?] 144. J. P. Teagarden Sp. Amer. B D [48?] 145. Isaac Stewart 1812 B C 15 HENNEN RECORDS CROSS-REFERENCE: Forty years after the WPA, local genealogist Dorothy Hennen personally visited every Greene County, Pennsylvania, cemetery that she could locate. Her 12 volume series, published in the 1970s, is cross-referenced here to provide a resource for further information regarding location descriptions and lists of burials. These books are available at the Cornerstone Genealogical Society in Waynesburg, Pennsylvania. Dorothy T. Hennen, compiler, Cemetery Records of Greene County, Pennsylvania, 12 volumes (Waynesburg, Pennsylvania: Cornerstone Genealogical Society, 1975-1979), 5: 280.

Collection

Cemetery Plat (WPA) Collection

Lexicon

Search Terms

Cemeteries--Maps, Franklin (Greene County, Pa. : Township)--Cemeteries, Waynesburg (Pa.)--Cemeteries--Green Mount Cemetery, Waynesburg (Pa.)--Streets--Morris Street

Archive Items Details

Date(s) of Creation

Nov 23, 1934

Relationships

Related Person or Organization

Person or Organization

Allum, James Parker [1842-1917]

Person or Organization

Beeler, Hugh [1834c-1909]

Person or Organization

Buchanan, Albert (a/k/a Bert) [1892-1918]

Person or Organization

Buchanan, David [1844-1933]

Person or Organization

Carey, Harold Thomas [1896-1918]

Person or Organization

Cooke, Joseph [1811-1890]

Person or Organization

Crago, Thomas Spencer [1866-1925]

Person or Organization

Ganiear, John Hayes [1847-1925]

Person or Organization

Hays, John William [1838c-1892]

Person or Organization

Hays, William [1812-1887]

Person or Organization

Manley, Wilkinson [1844-1921]

Person or Organization

Martin, Edward [1879-1967]

Person or Organization

Minor, Collin W. [1844c-1883]

Person or Organization

Phelan, John Rogers [1846-1870]

Person or Organization

Teagarden, John Parker [1845-1911]

Person or Organization

Wallace, Francis A. [1840-1916]

Person or Organization

Wallace, Thomas Crabbe [1844-1928]

Person or Organization

Woods, James A. [1839-1868]

Related Places

Place

Location

Pennsylvania / Greene County / Waynesburg / Green Mount Cemetery

Provenance

Provenance Detail

Cemetery Plat (WPA) Collection - Franklin Township

Notes

SOURCE CITATION: WPA Cemetery Plat - Pennsylvania - Greene County - Franklin Township - Green Mount Cemetery (1934), item no. 2016.3.4, Cemetery Plat (WPA) Collection, surveyed by Works Projects Administration, copy on file at the Clerk of Courts Office, Greene County Courthouse, Greene Connections Archives Project (GreeneConnections.com).