Hookstown - Petition to Vacate East End Cemetery, Greene County Court of Quarter Sessions, No. 7, March 1961

Petition to Vacate East End Cemetery (25 pages): See WEB LINKS to DOWNLOAD PDF document file.
Petition to Vacate East End Cemetery (25 pages)

See WEB LINKS to DOWNLOAD PDF document file.

Name/Title

Hookstown - Petition to Vacate East End Cemetery, Greene County Court of Quarter Sessions, No. 7, March 1961

Entry/Object ID

2016.3.17

Scope and Content

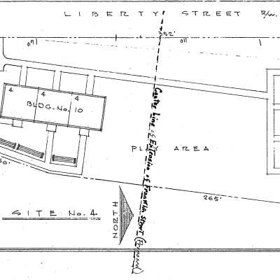
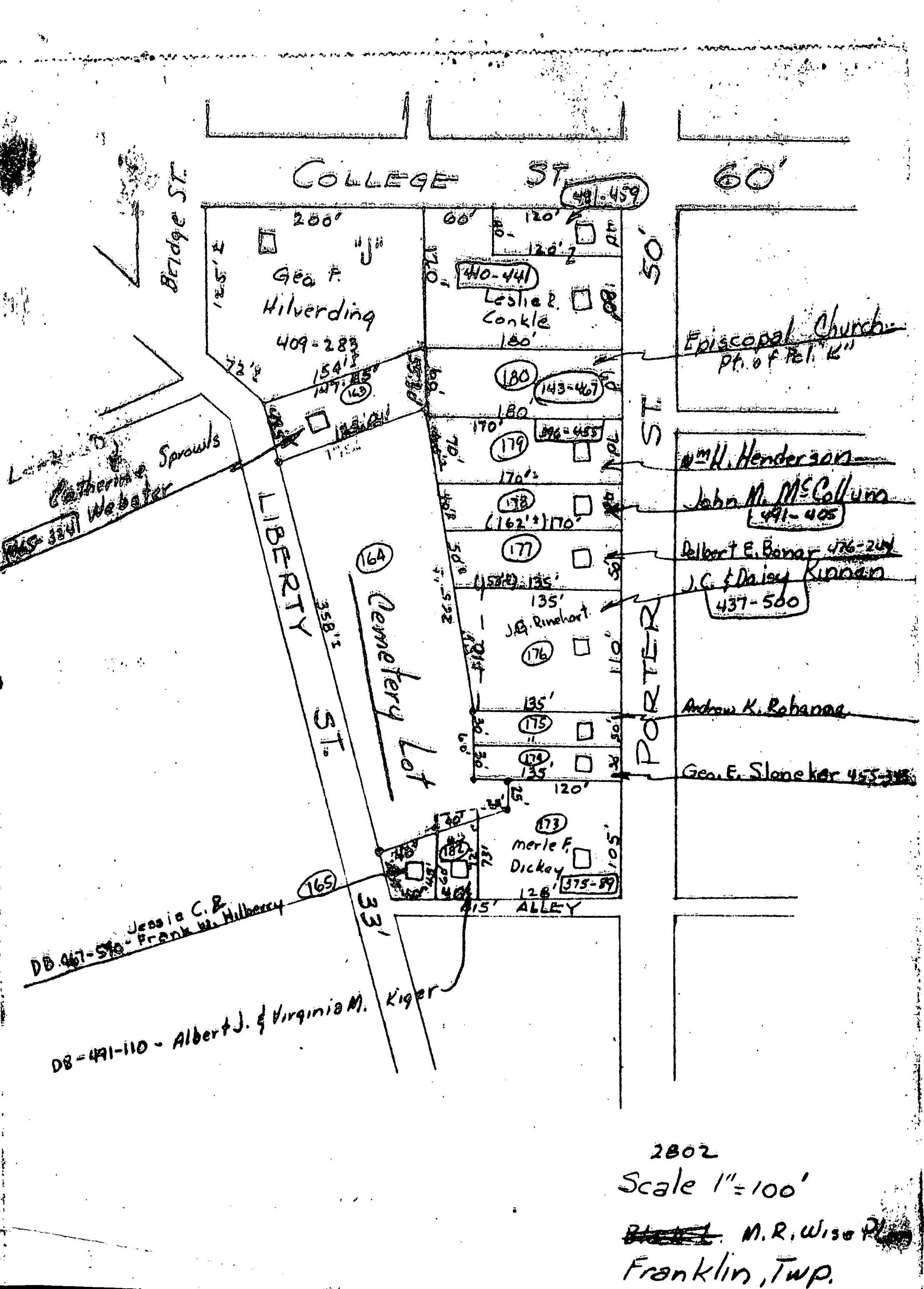
Petition to Vacate East End Cemetery, Greene County Court of Quarter Sessions, No. 7, March 1961 Term of Court, Clerk of Court's Office, Courthouse, Waynesburg, Pennsylvania. ABOUT THIS CEMETERY: The old Methodist Church Cemetery was also known as the East End Cemetery or Hookstown Cemetery, this graveyard was located between Liberty and Porter Streets in Waynesburg. The cemetery was abandoned in the early 1960s; the site is now occupied by a housing project. A memorial to those known to have been buried in the Methodist Church Cemetery stands in Section P, Lot 99 of Green Mount Cemetery in Waynesburg. Some families removed bodies of relatives from the Methodist Church Cemetery before its abandonment. Often those removed were taken to Greene County Memorial Park Cemetery in Morgan Township, Greene County, Pennsylvania. HENNEN RECORDS CROSS-REFERENCE: Forty years after the WPA, local genealogist Dorothy Hennen personally visited every Greene County, Pennsylvania, cemetery that she could locate. Her 12 volume series, published in the 1970s, is cross-referenced here to provide a resource for further information regarding location descriptions and lists of burials. These books are available at the Cornerstone Genealogical Society in Waynesburg, Pennsylvania. Dorothy T. Hennen, compiler, Cemetery Records of Greene County, Pennsylvania, 12 volumes (Waynesburg, Pennsylvania: Cornerstone Genealogical Society, 1975), 5: 282. Hennen references tombstone data recorded prior to the cemetery's abandonment, but she does not mention the person who made the list or the specific date that it was created.

Collection

Greene County Courthouse Collection

Lexicon

Search Terms

Adamson family, Bradford family, Cemeteries--Maps, Cemeteries--Tombstones, Clark family, Condit family, Copenhaver family, Devall family, Donahoo family, Dunston family, Flick family, Franklin (Greene County, Pa. : Township)--Cemeteries, Fry family, Garner family, Graham family, Gregg family, Grimes family, Hair family, Hays family, Hickman family, Hook family, Hughes family, Jewell family, Kent family, Mitchell family, Muckle family, Odenbaugh family, Parker family, Pipes family, Pope family, Porter Street, Rinehart family, Seals family, Shaw family, Slater family, Smalley family, Stanley family, Tuttle family, Watson family, Waynesburg (Pa.)--Cemeteries--East End Cemetery, Waynesburg (Pa.)--Cemeteries--Green Mount Cemetery, Waynesburg (Pa.)--Cemeteries--Hookstown Cemetery, Waynesburg (Pa.)--Cemeteries--Methodist Church Cemetery, Waynesburg (Pa.)--Streets--Liberty Street, Woods family

Archive Items Details

Date(s) of Creation

Dec 21, 1960

Relationships

Related Person or Organization

Person or Organization

Kent, Thomas [1747-1835]

Person or Organization

Ralston, Ann [1759-1835]

Person or Organization

Slater, Thomas [1739-1815]

Related Places

Place

Location

Pennsylvania / Greene County / Waynesburg / Hookstown Cemetery

Place

Location

Pennsylvania / Greene County / Waynesburg / Green Mount Cemetery

Provenance

Provenance Detail

Clerk of Courts Series - Greene County Courthouse Collection

Acquisition Method

Digital

Notes

Source Citation: Petition to Vacate East End Cemetery, Greene County Court of Quarter Sessions, No. 7, March 1961 Term of Court, Clerk of Court's Office, Courthouse, Waynesburg, Pennsylvania, item no. 2016.3.17, Greene County Courthouse Collection, Greene Connections Archives Project (www.GreeneConnections.com).