Higgins - Jackson Township - Greene County - Pennsylvania - WPA Cemetery Plat

Higgins - Jackson Township - Greene County - Pennsylvania - WPA Cemetery Plat: See WEB LINKS to DOWNLOAD high-resolution image.
Higgins - Jackson Township - Greene County - Pennsylvania - WPA Cemetery Plat

See WEB LINKS to DOWNLOAD high-resolution image.

Name/Title

Higgins - Jackson Township - Greene County - Pennsylvania - WPA Cemetery Plat

Entry/Object ID

2016.3.188

Scope and Content

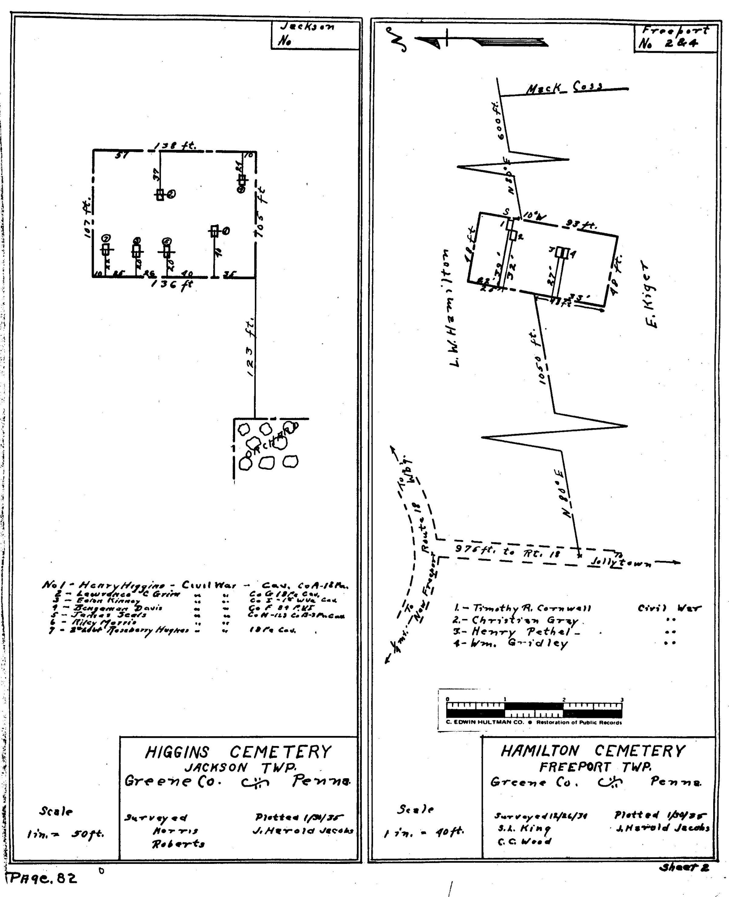
ABOUT THIS CEMETERY: Higgins Cemetery is located off Holbrook-Bristoria Road, about 2.5 miles south of Holbrook, in Jackson Township, Greene County, Pennsylvania. PROVENANCE OF PLAT MAP: During the 1930s, the Works Progress Administration (renamed in 1939 as the Work Projects Administration) provided jobs by employing individuals to locate and map area cemeteries. As a part of these surveys, workers also listed veterans buried at each cemetery. The Clerk of Courts Office at the Greene County Courthouse in Waynesburg, Pennsylvania, holds one set of the plat maps copied from the originals created during this project. In 2019, these maps were subsequently scanned and researched for the Greene Connections: Greene County, Pennsylvania Archives Project. VETERANS LISTED IN WPA SURVEY: 1. Henry Higgins - Civil War - Co. A 18th Pa. Cav. 2. Lawrence C. Grim - Civil War - Co. G 18th Pa. Cav. 3. Eaton Kinney - Civil War - Co. I 1st WV Cav. 4. Benjamin Davis - Civil War - Co. F 8[5]th Pa. Vol. Inf. 5. James Seals - Civil War - Co. H 123rd and Co. B 3rd Pa. Cav. 6. Riley Morris - Civil War 7. 2nd Lieut. Roseberry Hughes - Civil War - 18th Pa. Cav. HENNEN RECORDS CROSS-REFERENCE: Forty years after the WPA, local genealogist Dorothy Hennen personally visited every Greene County, Pennsylvania, cemetery that she could locate. Her 12-volume series, published in the 1970s, is cross-referenced here to provide a resource for further information regarding location descriptions and lists of burials. These books are available at the Cornerstone Genealogical Society in Waynesburg, Pennsylvania. Dorothy T. Hennen, compiler, Cemetery Records of Greene County, Pennsylvania, 12 volumes (Waynesburg, Pennsylvania: Cornerstone Genealogical Society, 1975), 6: 333, Higgins Cemetery.

Collection

Cemetery Plat (WPA) Collection

Lexicon

Search Terms

Cemeteries--Maps, Davis family, Grim family, Higgins family, Hughes family, Jackson (Greene County, Pa. : Township)--Cemeteries--Higgins Cemetery, Kinney family, Morris family, Seals family

Archive Details

Date(s) of Creation

Jan 30, 1935

Provenance

Provenance Detail

Cemetery Plat (WPA) Collection - Jackson Township

Acquisition Method

Digital

Acquisition Date

2019

Notes

SOURCE CITATION: WPA Cemetery Plat - Pennsylvania - Greene County - Jackson Township - Higgins Cemetery (1935), item no. 2016.3.188, Cemetery Plat (WPA) Collection, surveyed by Works Projects Administration, copy on file at the Clerk of Courts Office, Greene County Courthouse, Greene Connections Archives Project (GreeneConnections.com).