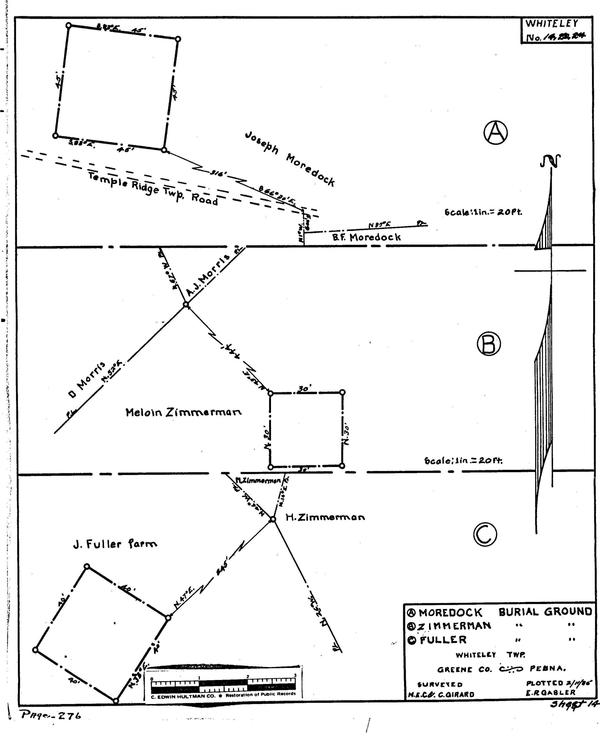
Joseph Moredock Farm - Whiteley Township - Greene County - Pennsylvania - WPA Cemetery Plat

Joseph Moredock Farm - Whiteley Township - Greene County - Pennsylvania - WPA Cemetery Plat: See WEB LINKS to DOWNLOAD high-resolution image.
Joseph Moredock Farm - Whiteley Township - Greene County - Pennsylvania - WPA Cemetery Plat

See WEB LINKS to DOWNLOAD high-resolution image.

Name/Title

Joseph Moredock Farm - Whiteley Township - Greene County - Pennsylvania - WPA Cemetery Plat

Entry/Object ID

2016.3.115

Scope and Content

ABOUT THIS CEMETERY: The Joseph Moredock Farm Cemetery is located in Whiteley Township, Greene County, Pennsylvania. PROVENANCE OF PLAT MAP: During the 1930s, the Works Progress Administration (renamed in 1939 as the Work Projects Administration) provided jobs by employing individuals to locate and map area cemeteries. As a part of these surveys, workers also listed veterans buried at each cemetery. The Clerk of Courts Office at the Greene County Courthouse in Waynesburg, Pennsylvania, holds one set of the plat maps copied from the originals created during this project. In 2019, these maps were subsequently scanned and researched for the Greene Connections: Greene County, Pennsylvania Archives Project. VETERANS LISTED IN WPA SURVEY: None. HENNEN RECORDS CROSS-REFERENCE: Forty years after the WPA, local genealogist Dorothy Hennen personally visited every Greene County, Pennsylvania, cemetery that she could locate. Her 12-volume series, published in the 1970s, is cross-referenced here to provide a resource for further information regarding location descriptions and lists of burials. These books are available at the Cornerstone Genealogical Society in Waynesburg, Pennsylvania. Dorothy T. Hennen, compiler, Cemetery Records of Greene County, Pennsylvania, 12 volumes (Waynesburg, Pennsylvania: Cornerstone Genealogical Society, 1975-1979), 12: 805, index of Whiteley Township cemeteries. This cemetery is not listed, indicating it was either not located by Hennen in the 1970s or is listed under another name.

Collection

Cemetery Plat (WPA) Collection

Lexicon

Search Terms

Cemeteries--Maps, Whiteley (Greene County, Pa. : Township)--Cemeteries

Archive Details

Date(s) of Creation

1935

Provenance

Provenance Detail

Cemetery Plat (WPA) Collection - Whiteley Township

Notes

SOURCE CITATION: WPA Cemetery Plat - Pennsylvania - Greene County - Whiteley Township - Joseph Moredock Farm Cemetery (1935), item no. 2016.3.115, Cemetery Plat (WPA) Collection, surveyed by Works Projects Administration, copy on file at the Clerk of Courts Office, Greene County Courthouse, Greene Connections Archives Project (www.GreeneConnections.com).