McVay - Aleppo Township - Greene County - Pennsylvania - WPA Cemetery Plat

McVay Cemetery: Origformat: Print-Photographic
McVay Cemetery

Origformat: Print-Photographic

Name/Title

McVay - Aleppo Township - Greene County - Pennsylvania - WPA Cemetery Plat

Entry/Object ID

2016.3.10

Scope and Content

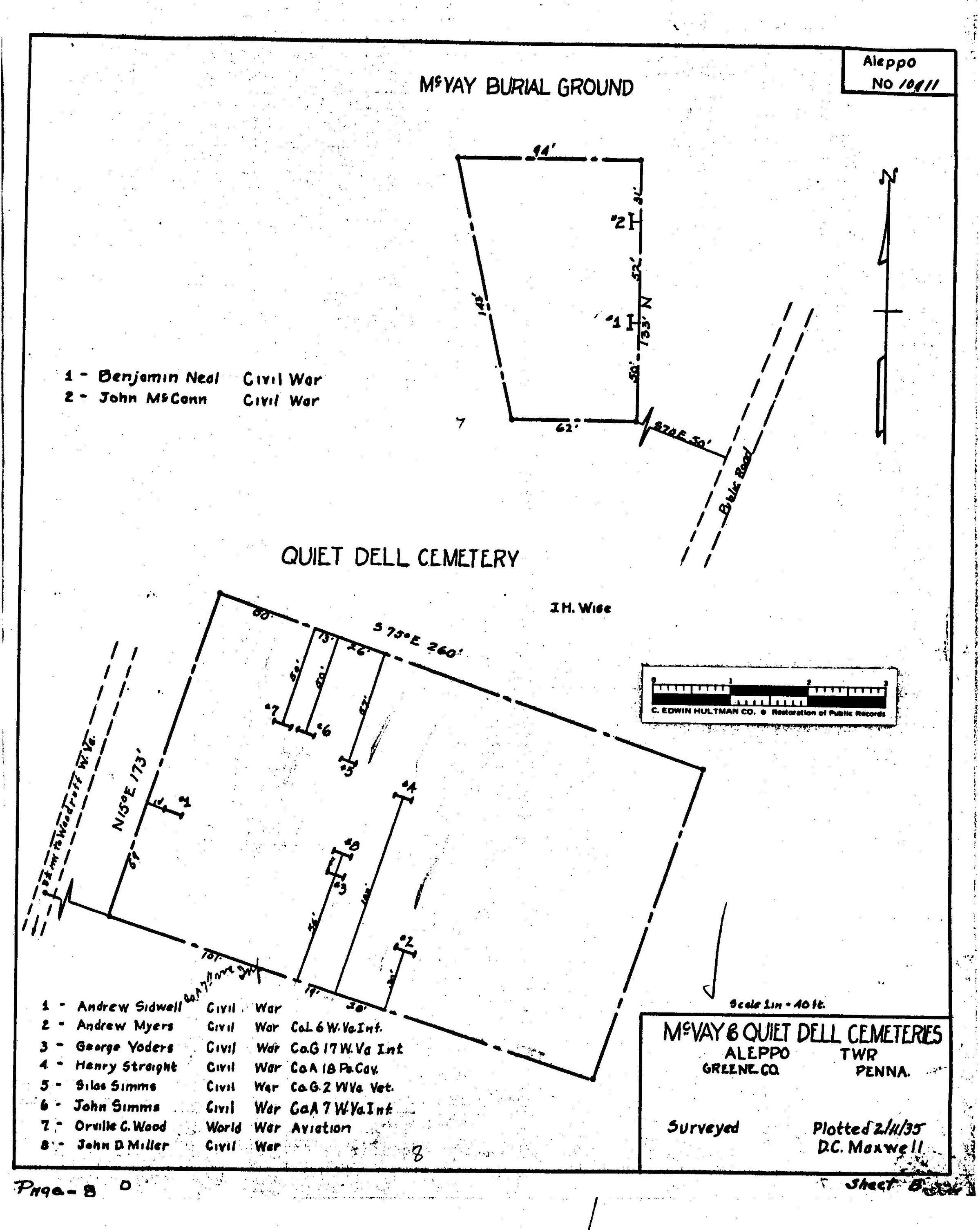
ABOUT THIS CEMETERY: McVay Cemetery is located on the south side of Blacks Creek Road, just west of Long Run Road in Aleppo Township, Greene County, Pennsylvania. In 2011, the McVay Cemetery was reorganized as a non-profit organization. PROVENANCE OF PLAT MAP: During the 1930s, the Works Progress Administration (renamed in 1939 as the Work Projects Administration) provided jobs by employing individuals to locate and map area cemeteries. As a part of these surveys, workers also listed veterans buried at each cemetery. The Clerk of Courts Office at the Greene County Courthouse in Waynesburg, Pennsylvania, holds one set of the plat maps copied from the originals created during this project. In 2019, these maps were subsuequently scanned and researched for the Greene Connections: Greene County, Pennsylvania Archives Project. VETERANS LISTED IN WPA SURVEY: 1. John McCann - Civil War 2. Benjamin Neal - Civil War HENNEN RECORDS CROSS-REFERENCE: Forty years after the WPA, local genealogist Dorothy Hennen personally visited every Greene County, Pennsylvania, cemetery that she could locate. Her 12 volume series, published in the 1970s, is cross-referenced here to provide a resource for further information regarding location descriptions and lists of burials. These books are available at the Cornerstone Genealogical Society in Waynesburg, Pennsylvania. Dorothy T. Hennen, compiler, Cemetery Records of Greene County, Pennsylvania, 12 volumes (Waynesburg, Pennsylvania: Cornerstone Genealogical Society, 1975), 1: 27. Hennen references tombstone data recorded by Patty Houston in McVay Cemetery on 20 April 1952.

Collection

Cemetery Plat (WPA) Collection

Lexicon

Search Terms

Aleppo (Greene County, Pa. : Township)--Cemeteries--McVay Cemetery, Cemeteries--Maps, McCann family, McVay family, Neal family

Archive Details

Date(s) of Creation

Feb 11, 1935

Relationships

Related Person or Organization

Person or Organization

Neal, Benjamin [1837c-1901]

Person or Organization

McCann, John [1831-1897]

Related Places

Place

* Untyped Place

Pennsylvania / Greene County / Aleppo Township / McVay Cemetery

Provenance

Provenance Detail

Cemetery Plat (WPA) Collection - Aleppo Township

Notes

Source Citation: WPA Cemetery Plat - Pennsylvania - Greene County - Aleppo Township - McVay Cemetery (1935), item no. 2016.3.10, Cemetery Plat (WPA) Collection, surveyed by Works Projects Administration, copy on file at the Clerk of Courts Office, Greene County Courthouse, Greene Connections Archives Project (www.GreeneConnections.com).