Orndoff Farm - Center Township - Greene County - Pennsylvania - WPA Cemetery Plat

Orndoff - Center Township - Greene County - Pennsylvania - WPA Cemetery Plat

Orndoff - Center Township - Greene County - Pennsylvania - WPA Cemetery Plat

Name/Title

Orndoff Farm - Center Township - Greene County - Pennsylvania - WPA Cemetery Plat

Entry/Object ID

2016.3.34

Scope and Content

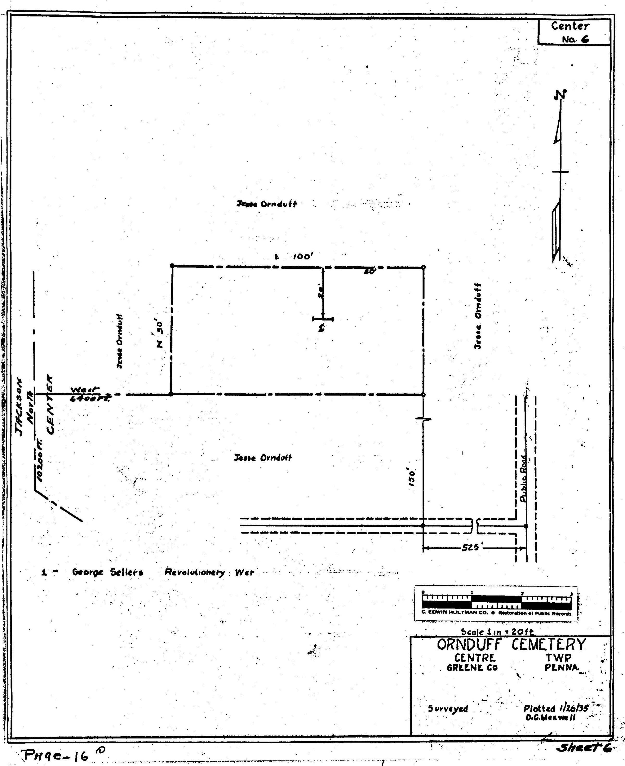
ABOUT THIS CEMETERY: Orndoff Farm Cemetery is located on Hargus Creek in Center Township, Greene County, Pennsylvania. At the time of the WPA survey (1935), the cemetery was noted as being on the Jesse Orndoff farm. PROVENANCE OF PLAT MAP: During the 1930s, the Works Progress Administration (renamed in 1939 as the Work Projects Administration) provided jobs by employing individuals to locate and map area cemeteries. As a part of these surveys, workers also listed veterans buried at each cemetery. The Clerk of Courts Office at the Greene County Courthouse in Waynesburg, Pennsylvania, holds one set of the plat maps copied from the originals created during this project. In 2019, these maps were subsequently scanned and researched for the Greene Connections: Greene County, Pennsylvania Archives Project. VETERANS LISTED IN WPA SURVEY: 1. George Sellers - Revolutionary War HENNEN RECORDS CROSS-REFERENCE: Forty years after the WPA, local genealogist Dorothy Hennen personally visited every Greene County, Pennsylvania, cemetery that she could locate. Her 12 volume series, published in the 1970s, is cross-referenced here to provide a resource for further information regarding location descriptions and lists of burials. These books are available at the Cornerstone Genealogical Society in Waynesburg, Pennsylvania. Dorothy T. Hennen, compiler, Cemetery Records of Greene County, Pennsylvania, 12 volumes (Waynesburg, Pennsylvania: Cornerstone Genealogical Society, 1975-1979), 2: 62, index of Center Township cemeteries and 2:78, Orndoff Cemetery. Hennen lists one Orndoff Cemetery on Hargus Creek, which she visited in 1960. The WPA maps list two Orndoff Cemeteries in this area. Further research is required to determine, which of the two cemeteries is the one Hennen found and recorded.

Collection

Cemetery Plat (WPA) Collection

Lexicon

Search Terms

American Revolution (1775-1783), Center (Greene County, Pa. : Township)--Cemeteries--Orndoff Farm Cemetery, Cemeteries--Maps, Orndoff family, Sellers family

Archive Details

Date(s) of Creation

Jan 26, 1935

Provenance

Provenance Detail

Cemetery Plat (WPA) Collection - Center Township

Notes

Source Citation: WPA Cemetery Plat - Pennsylvania - Greene County - Center Township - Orndoff Farm Cemetery (1935), item no. 2016.3.34, Cemetery Plat (WPA) Collection, surveyed by Works Projects Administration, copy on file at the Clerk of Courts Office, Greene County Courthouse, Greene Connections Archives Project (www.GreeneConnections.com).