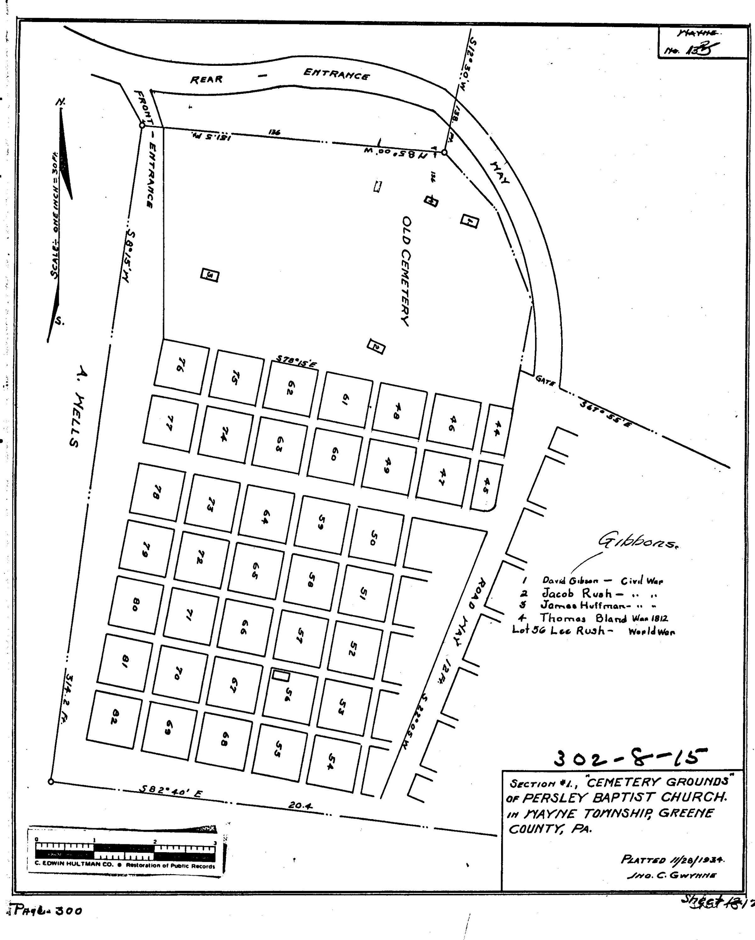
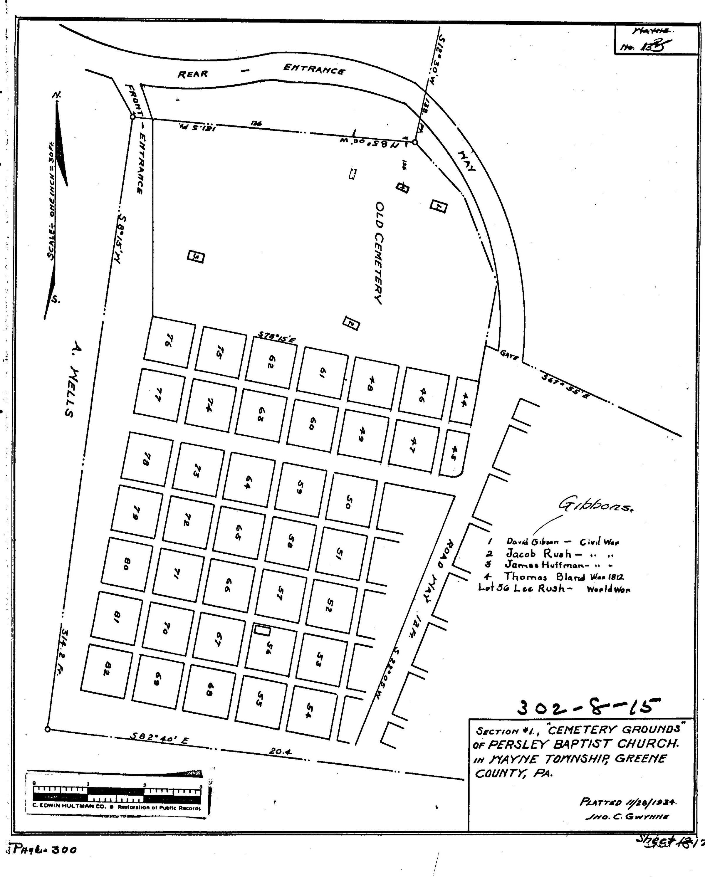
Pursley Baptist Church - Wayne Township - Greene County - Pennsylvania - WPA Cemetery Plat

Pursley Baptist Church - Wayne Township - Greene County - Pennsylvania - WPA Cemetery Plat: See WEB LINKS to DOWNLOAD high-resolution image.
Pursley Baptist Church - Wayne Township - Greene County - Pennsylvania - WPA Cemetery Plat

See WEB LINKS to DOWNLOAD high-resolution image.

Name/Title

Pursley Baptist Church - Wayne Township - Greene County - Pennsylvania - WPA Cemetery Plat

Entry/Object ID

2016.3.290

Scope and Content

ABOUT THIS CEMETERY: Pursley Baptist Church Cemetery is located in Wayne Township, Greene County, Pennsylvania. PROVENANCE OF PLAT MAP: During the 1930s, the Works Progress Administration (renamed in 1939 as the Work Projects Administration) provided jobs by employing individuals to locate and map area cemeteries. As a part of these surveys, workers also listed veterans buried at each cemetery. The Clerk of Courts Office at the Greene County Courthouse in Waynesburg, Pennsylvania, holds one set of the plat maps copied from the originals created during this project. In 2019, these maps were subsequently scanned and researched for the Greene Connections: Greene County, Pennsylvania Archives Project. VETERANS LISTED IN WPA SURVEY: 1. David Gibbons - Civil War 2. Jacob Rush - Civil War 3. James Huffman - Civil War 4. Thomas Bland - War of 1812 5. Lee Rush - World War HENNEN RECORDS CROSS-REFERENCE: Forty years after the WPA, local genealogist Dorothy Hennen personally visited every Greene County, Pennsylvania, cemetery that she could locate. Her 12 volume series, published in the 1970s, is cross-referenced here to provide a resource for further information regarding location descriptions and lists of burials. These books are available at the Cornerstone Genealogical Society in Waynesburg, Pennsylvania. Dorothy T. Hennen, compiler, Cemetery Records of Greene County, Pennsylvania, 12 volumes (Waynesburg, Pennsylvania: Cornerstone Genealogical Society, 1975-1979), 7: 460, Pursley Baptist Church Cemetery.

Collection

Cemetery Plat (WPA) Collection

Lexicon

Search Terms

Bland family, Cemeteries--Maps, Gibbons family, Huffman family, Rush family, Wayne (Greene County, Pa. : Township)--Cemeteries

Archive Details

Date(s) of Creation

1934

Relationships

Related Person or Organization

Person or Organization

Rush, Lee [1886-1918]

Related Places

Place

Township

Wayne Township

County

Greene County

State/Province

Pennsylvania

Country

United States

Continent

North America

Provenance

Provenance Detail

Cemetery Plat (WPA) Collection - Wayne Township

Notes

SOURCE CITATION: WPA Cemetery Plat - Pennsylvania - Greene County - Wayne Township - Pursley Baptist Church Cemetery (1935); item no. 2016.3.290, Cemetery Plat (WPA) Collection, surveyed by Works Projects Administration, copy on file at the Clerk of Courts Office, Greene County Courthouse; Greene Connections Archives Project (GreeneConnections.com).