Quiet Dell (a/k/a Wise) - Aleppo Township - Greene County - Pennsylvania - WPA Cemetery Plat

Quiet Dell Cemetery: Origformat: Print-Photographic
Quiet Dell Cemetery

Origformat: Print-Photographic

Name/Title

Quiet Dell (a/k/a Wise) - Aleppo Township - Greene County - Pennsylvania - WPA Cemetery Plat

Entry/Object ID

2016.3.9

Scope and Content

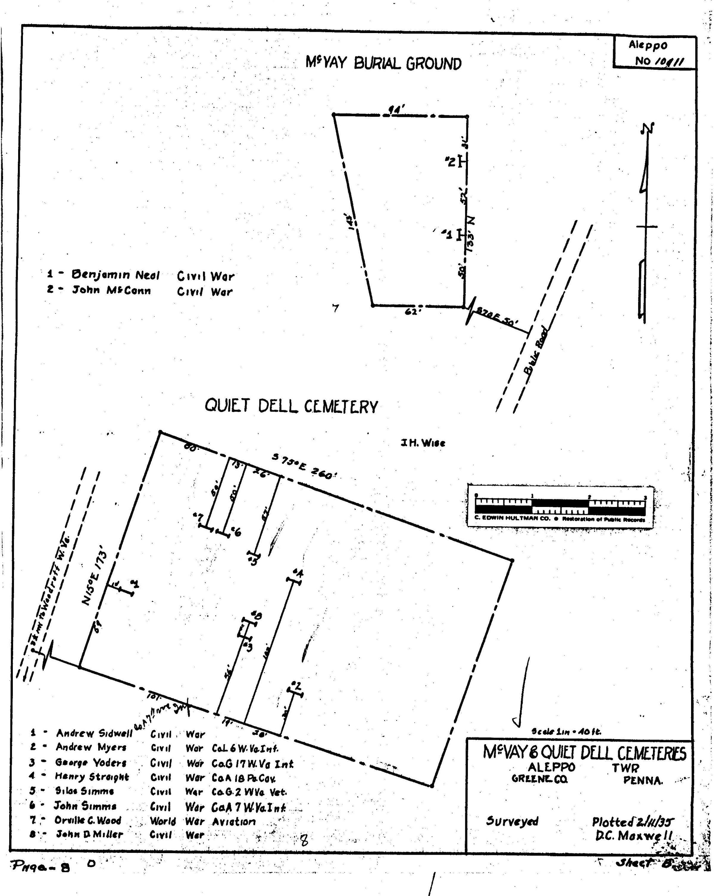
ABOUT THIS CEMETERY: Quiet Dell Cemetery, also known as Wise Cemetery, is located in the southwest corner of Aleppo Township, on the hill, near the church. PROVENANCE OF PLAT MAP: During the 1930s, the Works Progress Administration (renamed in 1939 as the Work Projects Administration) provided jobs by employing individuals to locate and map area cemeteries. As a part of these surveys, workers also listed veterans buried at each cemetery. The Clerk of Courts Office at the Greene County Courthouse in Waynesburg, Pennsylvania, holds one set of the plat maps copied from the originals created during this project. In 2019, these maps were subsequently scanned and researched for the Greene Connections: Greene County, Pennsylvania Archives Project. VETERANS LISTED IN WPA SURVEY: Transcribed by Linda (Widdup) Moon, 2019. 1. Andrew Sidwell - Civil War - Co A 7 W.Va Inf 2. Andrew Myers - Civil War - Co L 6 W.VA Inf. 3. George Yoders - Civil War - Co G 17 W.VA Inf. 4. Henry Straight - Civil War - Co A 18 PA Cav. 5. Silas Simms - Civil War - Co. G 2 W.VA Vet. 6. John Simms - Civil War - Co A 7 W.VA Inf. 7. Orville C. Wood - World War - Aviation 8. John D. Miller - Civil War HENNEN RECORDS CROSS-REFERENCE: Forty years after the WPA, local genealogist Dorothy Hennen personally visited every Greene County, Pennsylvania, cemetery that she could locate. Her 12 volume series, published in the 1970s, is cross-referenced here to provide a resource for further information regarding location descriptions and lists of burials. These books are available at the Cornerstone Genealogical Society in Waynesburg, Pennsylvania. Dorothy T. Hennen, compiler, Cemetery Records of Greene County, Pennsylvania, 12 volumes (Waynesburg, Pennsylvania: Cornerstone Genealogical Society, 1975-1979), 1: 33.

Collection

Cemetery Plat (WPA) Collection

Lexicon

Search Terms

Aleppo (Greene County, Pa. : Township)--Cemeteries--Quiet Dell Cemetery, Aleppo (Greene County, Pa. : Township)--Cemeteries--Wise Cemetery, Cemeteries--Maps

Archive Details

Date(s) of Creation

Feb 11, 1935

Relationships

Related Places

Place

Location

Pennsylvania / Greene County / Aleppo Township / Quiet Dell Cemetery

Provenance

Provenance Detail

Cemetery Plat (WPA) Collection - Aleppo Township

Notes

Source Citation: WPA Cemetery Plat - Pennsylvania - Greene County - Aleppo Township - Quiet Dell Cemetery (1935), item no. 2016.3.9, Cemetery Plat (WPA) Collection, surveyed by Works Projects Administration, copy on file at the Clerk of Courts Office, Greene County Courthouse, Greene Connections Archives Project (www.GreeneConnections.com).