South Tenmile - Center Township - Greene County - Pennsylvania - WPA Cemetery Plat

South Tenmile - Center Township - Greene County - Pennsylvania - WPA Cemetery Plat: See WEB LINKS to DOWNLOAD high-resolution image.
South Tenmile - Center Township - Greene County - Pennsylvania - WPA Cemetery Plat

See WEB LINKS to DOWNLOAD high-resolution image.

Name/Title

South Tenmile - Center Township - Greene County - Pennsylvania - WPA Cemetery Plat

Entry/Object ID

2016.3.42

Scope and Content

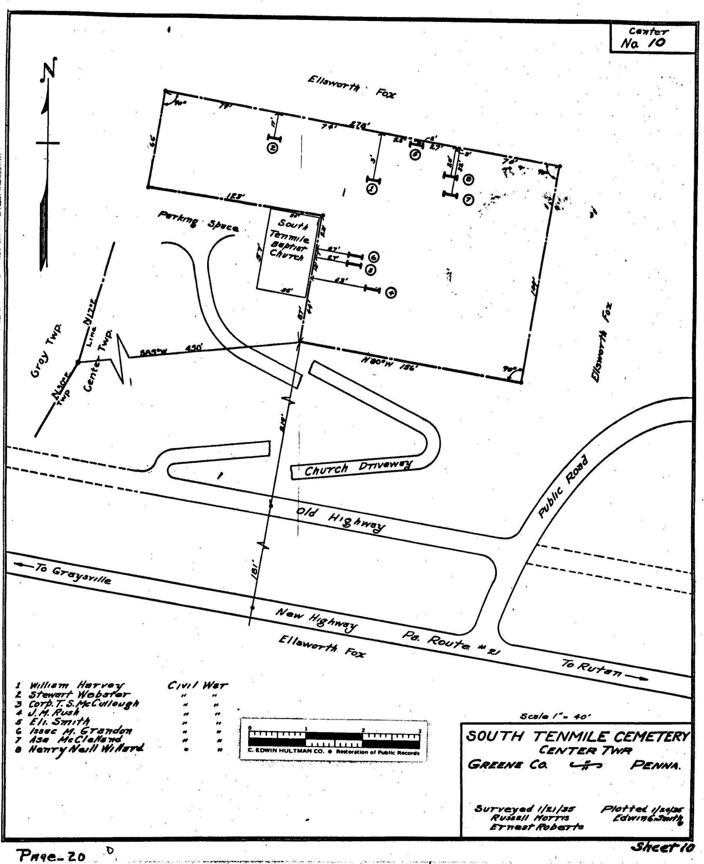
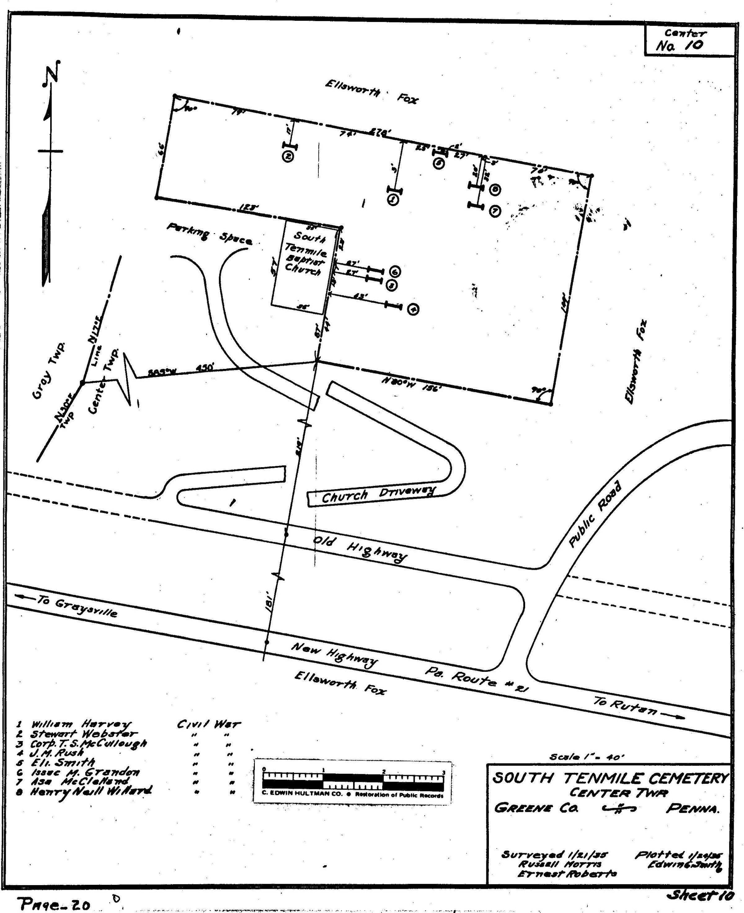
ABOUT THIS CEMETERY: South Tenmile Cemetery is located at the South Tenmile Baptist Church on Route 21, about 1/2 mile east of Graysville, in Center Township, Greene County, Pennsylvania. PROVENANCE OF PLAT MAP: During the 1930s, the Works Progress Administration (renamed in 1939 as the Work Projects Administration) provided jobs by employing individuals to locate and map area cemeteries. As a part of these surveys, workers also listed veterans buried at each cemetery. The Clerk of Courts Office at the Greene County Courthouse in Waynesburg, Pennsylvania, holds one set of the plat maps copied from the originals created during this project. In 2019, these maps were subsequently scanned and researched for the Greene Connections: Greene County, Pennsylvania Archives Project. VETERANS LISTED IN WPA SURVEY: 1. William Harvey - Civil War 2. Stewart Webster - Civil War 3. Corp. T. S. McCullough - Civil War 4. J. M. Rush - Civil War 5. Eli Smith - Civil War 6. Isaac M. Grandon - Civil War 7. Asa McClelland - Civil War 8. Henry Neill Willard - Civil War HENNEN RECORDS CROSS-REFERENCE: Forty years after the WPA, local genealogist Dorothy Hennen personally visited every Greene County, Pennsylvania, cemetery that she could locate. Her 12 volume series, published in the 1970s, is cross-referenced here to provide a resource for further information regarding location descriptions and lists of burials. These books are available at the Cornerstone Genealogical Society in Waynesburg, Pennsylvania. Dorothy T. Hennen, compiler, Cemetery Records of Greene County, Pennsylvania, 12 volumes (Waynesburg, Pennsylvania: Cornerstone Genealogical Society, 1975-1979), 2: 112.

Collection

Cemetery Plat (WPA) Collection

Lexicon

Search Terms

Cemeteries--Maps, Center (Greene County, Pa. : Township)--Cemeteries--South Tenmile Cemetery, Grandon family, Harvey family, McClelland family, McCullough family, Rush family, Smith family, Webster family, Willard family

Archive Details

Date(s) of Creation

Jan 21, 1935

Relationships

Related Person or Organization

Person or Organization

Harvey, William Cook [1847-1864]

Related Places

Place

* Untyped Place

Pennsylvania / Greene County / Center Township / South Tenmile Baptist Church Cemetery

Provenance

Provenance Detail

Cemetery Plat (WPA) Collection - Center Township

Notes

Source Citation: WPA Cemetery Plat - Pennsylvania - Greene County - Center Township - South Tenmile Cemetery (1935), item no. 2016.3.42, Cemetery Plat (WPA) Collection, surveyed by Works Projects Administration, copy on file at the Clerk of Courts Office, Greene County Courthouse, Greene Connections Archives Project (www.GreeneConnections.com).