Sugar Grove - Aleppo Township - Greene County - Pennsylvania - WPA Cemetery Plat

Sugar Grove Cemetery: Origformat: Print-Photographic
Sugar Grove Cemetery

Origformat: Print-Photographic

Name/Title

Sugar Grove - Aleppo Township - Greene County - Pennsylvania - WPA Cemetery Plat

Entry/Object ID

2016.3.14

Scope and Content

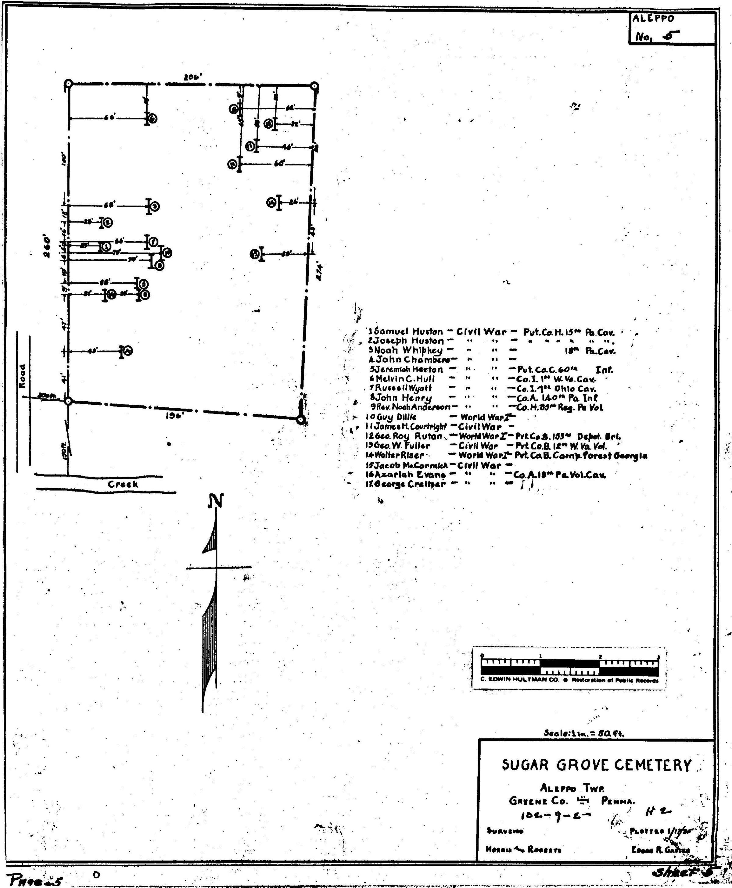
ABOUT THIS CEMETERY: Sugar Grove Cemetery is located near Sugar Grove Union Church, in the area known as McCracken. PROVENANCE OF PLAT MAP: During the 1930s, the Works Progress Administration (renamed in 1939 as the Work Projects Administration) provided jobs by employing individuals to locate and map area cemeteries. As a part of these surveys, workers also listed veterans buried at each cemetery. The Clerk of Courts Office at the Greene County Courthouse in Waynesburg, Pennsylvania, holds one set of the plat maps copied from the originals created during this project. In 2019, these maps were subsequently scanned and researched for the Greene Connections: Greene County, Pennsylvania Archives Project. VETERANS LISTED IN WPA SURVEY: Transcribed by virtual volunteers through the Greene Connections Archives crowdsourcing project, 2020. 1. Samuel Huston - Civil War - Pvt. Co. H. 15th Pa. Cav. 2. Joseph Huston - Civil War - Pvt. Co. H. 15th Pa. Cav. 3. Noah Whipkey - Civil War - Pvt. Co. H. 18th Pa. Cav. 4. John Chambers - Civil War - Pvt. Co. H. 15th Pa. Cav. 5. Jeremiah Huston - Civil War - Pvt. Co. C. 60th Inf. 6. Melvin C. Hull - Civil War - Co. I. 1st W. Va. Cav. 7. Russell Wyatt - Civil War - Co. I. 7th Ohio Cav. 8. John Henry - Civil War - Co. A. 140th Pa. Inf. 9. Rev Noah Anderson - Civil War - Co. H. 85th Reg. Pa. Vol. 10. Guy Dillie - World War I 11. James H. Courtright - Civil War 12. Geo. Roy Rutan - World War I - Pvt. Co. B. 153rd Depot Bri. 13. Geo W. Fuller - Civil War - Pvt. Co. B. 12th W. Va. Vol. 14. Walter Riser - World War I - Pvt. Co. B. Camp Forest Georgia 15. Jacob McCormick - Civil War 16. Azariah Evans - Civil War - Co. A. 18th Pa. Vol. Cav. 17. George Creitser - Civil War HENNEN RECORDS CROSS-REFERENCE: Forty years after the WPA, local genealogist Dorothy Hennen personally visited every Greene County, Pennsylvania, cemetery that she could locate. Her 12 volume series, published in the 1970s, is cross-referenced here to provide a resource for further information regarding location descriptions and lists of burials. These books are available at the Cornerstone Genealogical Society in Waynesburg, Pennsylvania. Dorothy T. Hennen, compiler, Cemetery Records of Greene County, Pennsylvania, 12 volumes (Waynesburg, Pennsylvania: Cornerstone Genealogical Society, 1975-1979), 1: 42, Sugar Grove Cemetery.

Collection

Cemetery Plat (WPA) Collection

Lexicon

Search Terms

Aleppo (Greene County, Pa. : Township)--Cemeteries--Sugar Grove Cemetery, Cemeteries--Maps

Archive Details

Date(s) of Creation

Jan 17, 1935

Relationships

Related Person or Organization

Person or Organization

Risor, Walter [1891-1918]

Person or Organization

Whipkey, Noah [1839-1925]

Related Places

Place

* Untyped Place

Pennsylvania / Greene County / Aleppo Township / Sugar Grove Cemetery

Provenance

Provenance Detail

Cemetery Plat (WPA) Collection - Aleppo Township

Notes

Source Citation: WPA Cemetery Plat - Pennsylvania - Greene County - Aleppo Township - Sugar Grove Cemetery (1935), item no. 2016.3.14, Cemetery Plat (WPA) Collection, surveyed by Works Projects Administration, copy on file at the Clerk of Courts Office, Greene County Courthouse, Greene Connections Archives Project (www.GreeneConnections.com).