107 East Bay Street (John Blake Building)

107 East Bay Street: Origsize: 4x6; Origformat: Print-Photographic; Resolution: 100 dpi
107 East Bay Street

Origsize: 4x6; Origformat: Print-Photographic; Resolution: 100 dpi

Name/Title

107 East Bay Street (John Blake Building)

Entry/Object ID

EBAY.107.1

Scope and Content

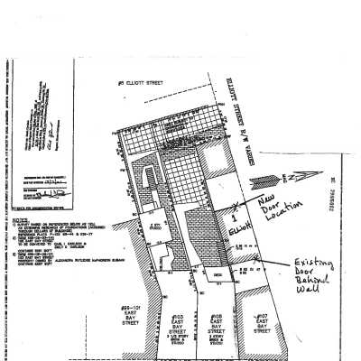
Constructed ca. 1792; present facade ca. 1887-90. In the pre-Revolutionary period this was the site of George Flagg's paint shop, which stocked pigment and oils for the painting of Charleston's houses. After the structure was destroyed in the fire of 1778, Flagg sold the empty lot in 1791 to John Blake. The present structure began as three stories with a hip roof. Sometime after the earthquake of 1886 a gable roof with a double window was added, the window openings were enlarged, and eight-over-eight sashes were installed. The structure retains evidence of its Victorian-period cast-iron facade. A two-story brick kitchen building at 1 Elliott Street, probably built by an early-19th century owner serves as a separate residence. (Poston, Buildings of Charleston.) File contains historical maps (Sanborns and Birds-Eye View); architectural drawings and photos (copies), presumably submitted in support of BAR submission. See Media link for 1886 Earthquake Damage Assessment.

Collection

Historic Charleston Foundation Property Records

Acquisition

Accession

EBAY.107.

Source or Donor

107 East Bay Street (John Blake Building)

Acquisition Method

Collected by Staff

Lexicon

Search Terms

East Bay Street, Rainbow Row, Historic buildings--South Carolina--Charleston, Historic buildings--South Carolina--Charleston--Designs and plans

Legacy Lexicon

Object Name

Property File

Archive Details

Archive Size/Extent

1 File Folder

Archive Notes

Finding Aids: Index to Property Files Level of Description: Folder

Location

Location

Shelf

Property File Shelves

Room

Margaretta P. Childs Archives

Building

Missroon House

Category

Permanent

Date

February 7, 2023

Location

Container

PF Box 35

Shelf

Prop File Shelves, Property File Shelves

Room

Margaretta P. Childs Archives

Building

Missroon House

Category

Permanent

Relationships

Related Entries

Notes

EBAY.107.2 Related Units of Description: Preservation Consultants files (89-107 East Bay) (Part I and/or Part II applications and/or photos and/or miscellaneous documentation), 2011.022.1

Related Publications

Notes

Buildings of Charleston (see Abstract), p. 107

Created By

admin@catalogit.app

Create Date

October 30, 2007

Updated By

admin@catalogit.app

Update Date

February 17, 2023