109 Rutledge Avenue (McMakin-Bicaise House)

109 Rutledge Avenue, 2008: Origformat: Digital Image
109 Rutledge Avenue, 2008

Origformat: Digital Image

Name/Title

109 Rutledge Avenue (McMakin-Bicaise House)

Entry/Object ID

RUTLEDGE.109.1

Scope and Content

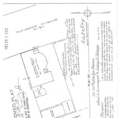
Constructed ca. 1852. Three-story, gable-roof, stuccoed brick single house with an enclosed three-story piazza on the south facade. Three files contain documentation of the easement on the property including related correspondence and Confirmation of Understanding; Part I certification (National Register); annual inspection reports; narrative history of the property (source of Part I certification application; historical research notes (HCF staff); plat (1979); Ward Book pages (1852-1881); photocopies of photos of carriage house and garage; Hurricane Hugo Damage Assessment. Files may eventually contain requests for alterations and correspondence related to the management of the property; additional correspondence and other documentation related to the easement on and sale of the property; etc. See Easement Documentation Photo Files for easement donation photographs (Exh. B to Deed of Conservation Easement). No inspection photographs on file (see Easement Manager for digital photos). Easement donation and inspection photos only.

Collection

Historic Charleston Foundation Property Records

Acquisition

Accession

RUTLEDGE.109.

Source or Donor

109 Rutledge Avenue (McMakin-Bicaise House)

Acquisition Method

Collected by Staff

Lexicon

Search Terms

Rutledge Avenue, Harleston Village, Easement Property, Historic buildings--South Carolina--Charleston

Legacy Lexicon

Object Name

Property File

Archive Details

Archive Size/Extent

1 Gift Folder 1 Management Folder 1 History/Miscellaneous Folder

Archive Notes

Finding Aids: Index to Property Files. Level of Description: Folder

Location

Location

Shelf

Property File Shelves

Room

Margaretta P. Childs Archives

Building

Missroon House

Category

Permanent

Date

February 7, 2023

Location

Container

PF Box 88

Shelf

Prop File Shelves, Property File Shelves

Room

Margaretta P. Childs Archives

Building

Missroon House

Category

Permanent

Relationships

Related Entries

Notes

Related Units of Description: Easement Manager's working files.

General Notes

Note

Notes: Photo from inspection 2008 folder. No 1886 Earthquake damage assessment record.

Created By

admin@catalogit.app

Create Date

October 13, 2011

Updated By

admin@catalogit.app

Update Date

February 17, 2023