115-119 South Market Street

109-115 South Market St. (gone): Origformat: Document/Photocopy
109-115 South Market St. (gone)

Origformat: Document/Photocopy

Name/Title

115-119 South Market Street

Entry/Object ID

MARKET.115-119.1

Tags

Further research

Scope and Content

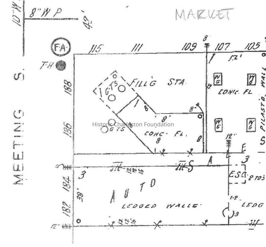
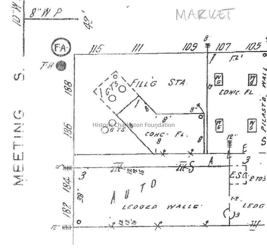
Located on the southeast corner of Meeting Street and Market Street, the building was erected on a portion of an original grant made in 1681 to Sir Peter Colleton. Purchased subsequently by Chief Justice Charles Pickney in 1748. After Pinckney's death the property was divided between his two daughters, both of whom left complicated wills upon their deaths, requiring court intervention to settle the estates. Demolished in the 1930s for the construction of a filling station. No additional building history on file; needs further research. File contains newspaper article (DYKYC, 1/20/1936?) about its demolition; 1902-Apr. 1944 Sanborn Map showing site of filling station. No photos on file. Image in this record is from document in the Property File.

Collection

Historic Charleston Foundation Property Records

Acquisition

Accession

MARKET.115-119.

Source or Donor

115-119 South Market Street (Heins & Lesemann Building)

Acquisition Method

Collected by Staff

Lexicon

LOC Thesaurus for Graphic Materials

Commercial buildings

Search Terms

South Market Street, Demolished buildings, lost buildings, Street corner, Historic buildings--South Carolina--Charleston, Lost architecture

Legacy Lexicon

Object Name

Property File

Archive Details

Archive Size/Extent

1 File Folder

Archive Notes

Finding Aids: Index to Property Files Level of Description: Folder

Location

Location

Shelf

Property File Shelves

Room

Margaretta P. Childs Archives

Building

Missroon House

Category

Permanent

Date

February 7, 2023

Location

Container

PF Box 67

Shelf

Prop File Shelves, Property File Shelves

Room

Margaretta P. Childs Archives

Building

Missroon House

Category

Permanent

General Notes

Note

Tag Date: 2010-05-03 15:39:16 Notes: May also be identified as 188-186 Meeting Street.

Created By

admin@catalogit.app

Create Date

April 28, 2010

Updated By

admin@catalogit.app

Update Date

February 16, 2023