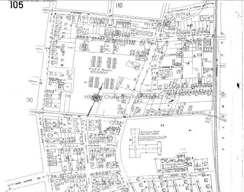
159 Romney Street

159 Romney Before Restoration: Origformat: Digital Image
159 Romney Before Restoration

Origformat: Digital Image

Name/Title

159 Romney Street

Entry/Object ID

ROMNEY.159.1

Scope and Content

Freedman's cottage constructed ca. 1919, on land that had been owned by R.R. Payne. Rehabilitated in 2011-2012 through HCF's Neighborhood Impact Initiative (Revolving Fund) in partnership with Habitat for Humanity and the City of Charleston. Covenant file contains Deed of Conservation Easement; mortgage document. History/Miscellaneous file contains historical research report and materials including chain-of-title, photocopies of deeds, Sanborn maps, plat, etc. (Brittany Lavelle, HCF intern, 2011); brief research (photos, maps, title research), "A Study of 159 Romney Street"; City of Charleston Housing and Community Development recommendations (2010); newspaper article about restoration (2012); Dedication Ceremony program (12/19/2012). Files will eventually contain correspondence and other documentation related to the sale and management of the property; documentation related to HCF's purchase of the property; documentation related to HCF's rehabilitation of the property; annual inspection reports; requests for alterations; etc.

Collection

Historic Charleston Foundation Property Records

Acquisition

Accession

ROMNEY.159.

Source or Donor

159 Romney Street

Acquisition Method

Collected by Staff

Lexicon

Search Terms

Easement Property, Romney Street, Freedman's cottage, Upper Peninsula, Neighborhood Revitalization Initiative, Dwellings--South Carolina--Charleston

Legacy Lexicon

Object Name

Property File

Archive Details

Archive Size/Extent

1 Easement Folder 1 Management Folder 1 History/Miscellaneous Folder

Archive Notes

Finding Aids: Index to Property Files. Level of Description: Folder

Location

Location

Shelf

Property File Shelves

Room

Margaretta P. Childs Archives

Building

Missroon House

Category

Permanent

Date

February 7, 2023

Location

Container

PF Box 86

Shelf

Prop File Shelves, Property File Shelves

Room

Margaretta P. Childs Archives

Building

Missroon House

Category

Permanent

Relationships

Related Entries

Notes

Related Units of Description: Easement Manager's working files

Created By

admin@catalogit.app

Create Date

December 20, 2012

Updated By

admin@catalogit.app

Update Date

February 17, 2023