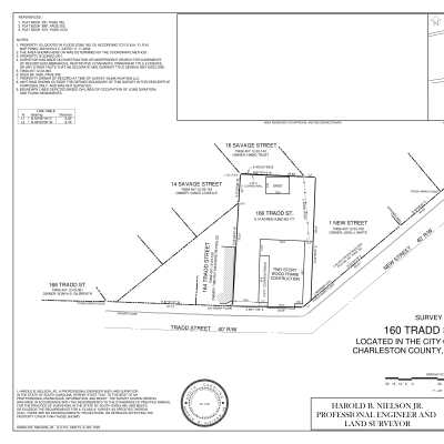
160 Tradd Street

160 Tradd Street (2006): Origformat: Digital Image
160 Tradd Street (2006)

Origformat: Digital Image

Name/Title

160 Tradd Street

Entry/Object ID

TRADD.160.1

Scope and Content

Constructed ca. 1880; alterations ca. 1921. Two-story rectangular frame structure with clapboard siding and a low stuccoed masonry foundation. Built as a single family residence, converted for use as a grocery store by the Great A&P Tea Company in 1921. Subsequent uses have included a restaurant and a laundry on the first floor, with apartments above. Three files contain documentation of the easement on the property including related correspondence and Confirmation of Understanding; Part I certification (National Register); letter regarding easement appraisal; annual inspection reports, requests for alterations, and correspondence related to the management of the property; 2017 survey (plat); photocopies of 1902, 1944, 1951 Sanborn Maps. See Easement Documentation Photo Files for easement donation photographs (Exh. B to Deed of Conservation Easement) and Covenant/Easement Inspection Photo Files for inspection photography. Easement donation and inspection photos only. Duplex with two mailing addresses: 160 Tradd and 162 Tradd.

Collection

Historic Charleston Foundation Property Records

Acquisition

Accession

TRADD.160.

Source or Donor

160 Tradd Street

Acquisition Method

Collected by Staff

Lexicon

Search Terms

Tradd Street, Easement Property, Historic buildings--South Carolina--Charleston

Legacy Lexicon

Object Name

Property File

Archive Details

Archive Size/Extent

1 Gift Folder 1 Management Folder 1 History/Miscellaneous Folder

Archive Notes

Finding Aids: Index to Property Files. Level of Description: Folder

Location

Location

Shelf

Property File Shelves

Room

Margaretta P. Childs Archives

Building

Missroon House

Category

Permanent

Date

February 7, 2023

Location

Container

PF Box 105

Shelf

Prop File Shelves, Property File Shelves

Room

Margaretta P. Childs Archives

Building

Missroon House

Category

Permanent

Relationships

Related Entries

Notes

Related Units of Description: Easement Manager's working files Preservation Consultants files (Part I and/or Part II applications and/or photos and/or miscellaneous documentation), 2011.022.1

General Notes

Note

Notes: Also referred to as 160-162 Tradd Street. Photo in this record from Easement Manager's digital photo files.

Created By

admin@catalogit.app

Create Date

June 28, 2012

Updated By

admin@catalogit.app

Update Date

February 17, 2023