163 Tradd Street (Richard J. Morris House)

163 Tradd St. (2 Council St. Elev), 2009: Origformat: Digital Image
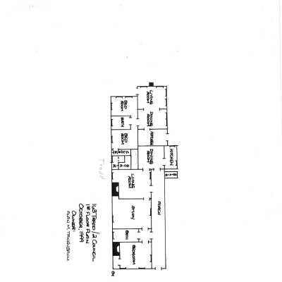
163 Tradd St. (2 Council St. Elev), 2009

Origformat: Digital Image

Name/Title

163 Tradd Street (Richard J. Morris House)

Entry/Object ID

TRADD.163.1

Scope and Content

Constructed ca. 1880. A two-story, wood frame, gable-roof Charleston single house with a two-story piazza on the south side, supported on a continuous stuccoed and scored brick foundation and sheathed entirely in horizontal weatherboards. Three files contain documentation of the easement on the property including related correspondence and Confirmation of Understanding; Part I certification (National Register); annual inspection reports, requests for alterations, and correspondence related to the management of the property; narrative history (Part 1 narrative); historical/chain-of-title research notes including photocopies from Ward Books and maps; first- and second-floor plans (Albee). See Easement Documentation Photo Files for easement donation photographs (Exh. B to Deed of Conservation Easement) and Covenant/Easement Inspection Photo Files for inspection photography. Easement donation and inspection photos only.

Collection

Historic Charleston Foundation Property Records

Acquisition

Accession

TRADD.163.

Source or Donor

163 Tradd Street (Richard J. Morris House)

Acquisition Method

Collected by Staff

Lexicon

Search Terms

Tradd Street, Historic buildings--South Carolina--Charleston

Legacy Lexicon

Object Name

Property File

Archive Details

Archive Size/Extent

1 Gift Folder 1 Management Folder 1 History/Miscellaneous Folder

Archive Notes

Finding Aids: Index to Property Files. Level of Description: Folder

Location

Location

Shelf

Property File Shelves

Room

Margaretta P. Childs Archives

Building

Missroon House

Category

Permanent

Date

February 7, 2023

Location

Container

PF Box 106

Shelf

Prop File Shelves, Property File Shelves

Room

Margaretta P. Childs Archives

Building

Missroon House

Category

Permanent

Relationships

Related Entries

Notes

Related Units of Description: Easement Manager's working files

General Notes

Note

Notes: Also known as 2 Council Street.

Created By

admin@catalogit.app

Create Date

July 2, 2012

Updated By

admin@catalogit.app

Update Date

February 17, 2023