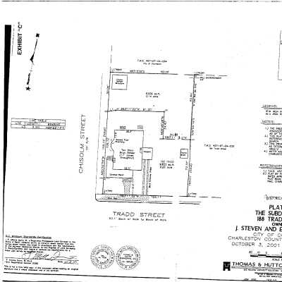
188 Tradd Street

188 Tradd Street, 2009: Origformat: Digital Image
188 Tradd Street, 2009

Origformat: Digital Image

Name/Title

188 Tradd Street

Entry/Object ID

TRADD.188.1

Tags

Further research

Scope and Content

HCF has open space easement on this property. No history on file. Needs further research. Three files contain documentation of the easement on the property including related correspondence and Confirmation of Understanding; annual inspection reports; FOHG house history (2006) and garden history (2006); chain-of-title research information (scant, 1922-2002). No easement donation photographs (Exh. B to Deed of Conservation Easement) on file. No print inspection photographs on file (see Easement Manager's digital photo files). No printed images on file. See Easement Manager's digital inspection photos.

Collection

Historic Charleston Foundation Property Records

Acquisition

Accession

TRADD.188.

Source or Donor

188 Tradd Street

Acquisition Method

Collected by Staff

Lexicon

Search Terms

Tradd Street, Easement Property, Historic buildings--South Carolina--Charleston

Legacy Lexicon

Object Name

Property File

Archive Details

Archive Size/Extent

1 Gift Folder 1 Management Folder 1 History/Miscellaneous Folder

Archive Notes

Finding Aids: Index to Property Files. Level of Description: Folder

Location

Location

Shelf

Property File Shelves

Room

Margaretta P. Childs Archives

Building

Missroon House

Category

Permanent

Date

February 7, 2023

Location

Container

PF Box 106

Shelf

Prop File Shelves, Property File Shelves

Room

Margaretta P. Childs Archives

Building

Missroon House

Category

Permanent

Relationships

Related Entries

Notes

Related Units of Description: Easement Manager's working files

General Notes

Note

Tag Date: 2012-07-05 14:38:54.999000

Created By

admin@catalogit.app

Create Date

July 5, 2012

Updated By

admin@catalogit.app

Update Date

February 17, 2023