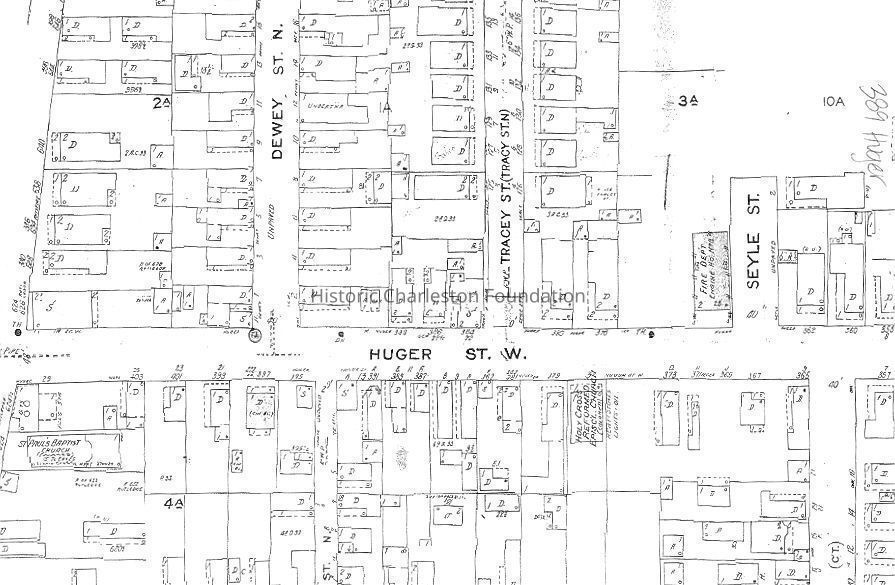
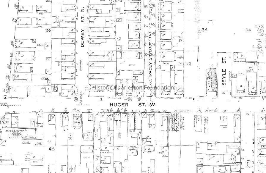
268-399 Huger Street

389 Huger St., Front Elevation: Origformat: Document/Photocopy; Resolution: 75 dpi
389 Huger St., Front Elevation

Origformat: Document/Photocopy; Resolution: 75 dpi

Name/Title

268-399 Huger Street

Entry/Object ID

HUGER.268-399.1

Tags

Further research

Scope and Content

No building/street history on file. Needs further research. File contains plat of 387 Huger Street (2002); preliminary plans (elevations) for 389 Huger Street (2005); City of Charleston parcel map of 370-403 Huger Street; Sanborn Map (presumably 1902-Apr. 1944 map) showing 357-403 Huger Street; occupancy history of 268-399 Huger Street from Old Codgers' Charleston Address Book. Needs further research. No photos on file. Images in this record are from documents in the Property File.

Collection

Historic Charleston Foundation Property Records

Acquisition

Accession

HUGER.268-399.

Source or Donor

268-399 Huger Street

Acquisition Method

Collected by Staff

Lexicon

Search Terms

Huger Street, Freedman's cottage, Historic buildings--South Carolina--Charleston, Streets--South Carolina--Charleston

Legacy Lexicon

Object Name

Property File

Archive Details

Archive Size/Extent

1 File Folder

Archive Notes

Finding Aids: Index to Property Files Level of Description: Folder

Location

Location

Shelf

Property File Shelves

Room

Margaretta P. Childs Archives

Building

Missroon House

Category

Permanent

Date

February 7, 2023

Location

Container

PF Box 47

Shelf

Prop File Shelves, Property File Shelves

Room

Margaretta P. Childs Archives

Building

Missroon House

Category

Permanent

General Notes

Note

Tag Date: 2008-09-15 13:32:52.999000

Created By

admin@catalogit.app

Create Date

September 15, 2008

Updated By

admin@catalogit.app

Update Date

February 16, 2023