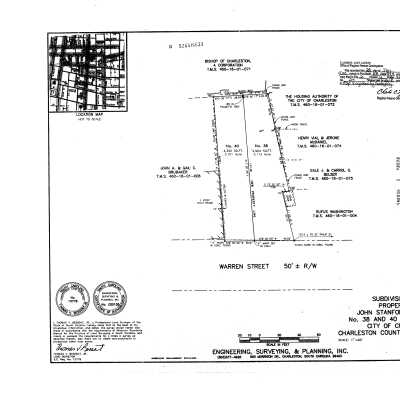
36-30 Warren Street

40 Warren Street (ca. 1990?): Origsize: 4x6; Origformat: Print-Photographic; Resolution: 75 dpi
40 Warren Street (ca. 1990?)

Origsize: 4x6; Origformat: Print-Photographic; Resolution: 75 dpi

Name/Title

36-30 Warren Street

Entry/Object ID

WARREN.036-40.1

Scope and Content

Original house on the property was probably built in the second quarter of the 19th century. HCF purchased the property in 1981 and at one point, considered moving a house at 497 Meeting to the site. The property was later subdivided and newly constructed houses were built at 36-38 and at 40 Warren. No additional house or property history on file. Needs further research. Files contain documentation of the covenant on the property, including correspondence and other documentation related to the sale and management of the property; subdivision plat (38 and 40 Warren); documentation pertaining to a covenant violation (40 Warren); documentation related to HCF's purchase of the property; annual inspection reports; requests for alterations; legal documentation of the enforcement of covenant restrictions; historical/chain-of-title research information (in letter of 10/13/1980); archaeology report; copy of HCF easement information card (TMS number, year of construction, significant resident(s), deed research, deed restrictions, measurements, and tax information). See Covenant/Easement Inspection Photo Files for inspection photography.

Collection

Historic Charleston Foundation Property Records

Acquisition

Accession

WARREN.036-40.

Source or Donor

36-40 Warren Street

Acquisition Method

Collected by Staff

Lexicon

Search Terms

Warren Street, Covenant Property, Historic buildings--South Carolina--Charleston

Legacy Lexicon

Object Name

Property File

Archive Details

Archive Size/Extent

2 Covenant/Management Folders 1 History/Miscellaneous Folder

Archive Notes

Finding Aids: Index to Property Files. Level of Description: Folder

Location

Location

Shelf

Property File Shelves

Room

Margaretta P. Childs Archives

Building

Missroon House

Category

Permanent

Date

February 7, 2023

Location

Container

PF Box 107

Shelf

Prop File Shelves, Property File Shelves

Room

Margaretta P. Childs Archives

Building

Missroon House

Category

Permanent

Relationships

Related Entries

Notes

WARREN.036-40.2, WARREN.036-40.3, WARREN.036-40.4, WARREN.036-40.5 Related Units of Description: Easement Manager's working files

Created By

admin@catalogit.app

Create Date

August 30, 2012

Updated By

admin@catalogit.app

Update Date

February 17, 2023