612 Meeting Street

612 Meeting Street (2002): Origformat: Document/Photocopy
612 Meeting Street (2002)

Origformat: Document/Photocopy

Name/Title

612 Meeting Street

Entry/Object ID

MEETING.612.1

Tags

Further research

Scope and Content

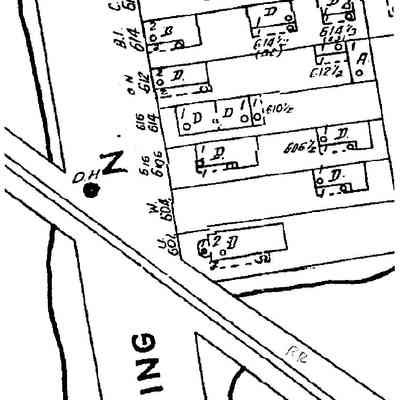
Constructed ca. 1900. Two-story wood frame, wood sided building. Possibly relocated; need to confirm if so and to where. No additional history on file. Needs further research. File contains BAR application for permission to demolish and denial with instruction to relocate the dwelling (Jan. 2002); Rosen and Associates inspection report and photos (Feb. 2002); photocopy of plat; photocopy of 1944 Sanborn Map. No photos on file. Images in this record are from documents in the Property File.

Collection

Historic Charleston Foundation Property Records

Acquisition

Accession

MEETING.612.

Source or Donor

612 Meeting Street

Acquisition Method

Collected by Staff

Lexicon

Search Terms

Meeting Street, Relocated buildings, Historic buildings--South Carolina--Charleston

Legacy Lexicon

Object Name

Property File

Archive Details

Archive Size/Extent

1 File Folder

Archive Notes

Finding Aids: Index to Property Files Level of Description: Folder

Location

Location

Shelf

Property File Shelves

Room

Margaretta P. Childs Archives

Building

Missroon House

Category

Permanent

Date

February 7, 2023

Location

Container

PF Box 75

Shelf

Prop File Shelves, Property File Shelves

Room

Margaretta P. Childs Archives

Building

Missroon House

Category

Permanent

General Notes

Note

Tag Date: 2010-09-21 14:38:15.999000

Created By

admin@catalogit.app

Create Date

September 21, 2010

Updated By

admin@catalogit.app

Update Date

February 17, 2023