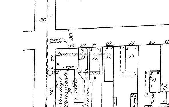
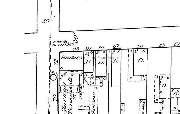
72 King Street

72 King Street Bakery (1888 Sanborn): Origformat: Digital Image
72 King Street Bakery (1888 Sanborn)

Origformat: Digital Image

Name/Title

72 King Street

Entry/Object ID

KING.072.1

Tags

Further research

Scope and Content

Located at the southeast corner of Tradd and King Streets, the building is constructed entirely of brick. By 1931, for the first time in more than 100 years, the structure no longer functioned as a bakery. File contains newspaper article (1931). No additional history on file. Needs further research.

Collection

Historic Charleston Foundation Property Records

Acquisition

Accession

KING.072.

Source or Donor

72 King Street

Acquisition Method

Collected by Staff

Lexicon

LOC Thesaurus for Graphic Materials

Bakeries

Search Terms

King Street, Eighteenth-Century Expansion, Historic buildings--South Carolina--Charleston

Legacy Lexicon

Object Name

Property File

Archive Details

Archive Size/Extent

1 File Folder

Archive Notes

Finding Aids: Index to Property Files Level of Description: Folder

Location

Location

Shelf

Property File Shelves

Room

Margaretta P. Childs Archives

Building

Missroon House

Category

Permanent

Date

February 7, 2023

Location

Container

PF Box

Shelf

Prop File Shelves, Property File Shelves

Room

Margaretta P. Childs Archives

Building

Missroon House

Category

Permanent

Location

Container

PF Box 50

Shelf

Prop File Shelves, Property File Shelves

Room

Margaretta P. Childs Archives

Building

Missroon House

Category

Permanent

General Notes

Note

Tag Date: 2008-10-14 12:47:11

Created By

admin@catalogit.app

Create Date

October 14, 2008

Updated By

admin@catalogit.app

Update Date

February 17, 2023