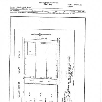
76-80 East Bay Street (Vanderhorst Row)

76-80 East Bay: Origsize: 4x6; Origformat: Print-Photographic; Resolution: 100 dpi
76-80 East Bay

Origsize: 4x6; Origformat: Print-Photographic; Resolution: 100 dpi

Name/Title

76-80 East Bay Street (Vanderhorst Row)

Entry/Object ID

EBAY.076-80.1

Scope and Content

Constructed 1798-1800; restored 1930s. Built in 1800 by Gov. Arnoldus Vanderhorst, this triple tenement served as the southernmost of two similar rental complexes, each divided into three 3-story townhouse dwellings. Only the primary building of the southern grouping survives; the northern group was demolished by the end of the 19th century, and a parking lot occupies the site. Both rows originally included a complex series of service structures behind each unit and accessed various storehouses and wharves. All of this has disappeared, but several plats and early photographs portray the thriving maritime activity that once characterized this relatively quiet commercial area. The facade of Vanderhorst Row is an excellent example of Neoclassical design with its central pedimented pavilion constructed with splendid Flemish-bonded brickwork and marble detailing; it bears a strong resemblance to London's terrace architecture of the same period. Vanderhorst, a descendant of a family who immigrated to Carolina in the 17th century, lived in a house across the street that was demolished many years ago. He served successively as intendant (mayor), South Carolina governor, and a general in the War of 1812. The Vanderhorst Plantation comprised most of Kiawah Island, and his house there has been recently restored. (Poston, Buildings of Charleston.) File contains copy of 1906(?) McCrady plat; narrative histories, including one for 76 East Bay Street and excerpt from Vernacular Architecture of Charleston and Architectural Guide to Charleston; FOH House History for 76 East Bay Street (undated); FOH House History (2001) for 78 East Bay Street; FOH House History (2000) and Garden History (2003) for 80 East Bay Street; copy of 1884 Sanborn Map; architectural drawings for 80 East Bay Street presumably submitted in support of BAR application for modifications (approval status unknown); roof framing schedule (see EBAY.076-80.2 drawings).

Collection

Historic Charleston Foundation Property Records

Acquisition

Accession

EBAY.076-80.

Source or Donor

76-80 East Bay Street (Vanderhorst Row)

Acquisition Method

Collected by Staff

Lexicon

Search Terms

East Bay Street, Historic buildings--South Carolina--Charleston

Legacy Lexicon

Object Name

Property File

Archive Details

Archive Size/Extent

1 File Folder

Archive Notes

Finding Aids: Index to Property Files Level of Description: Folder

Location

Location

Shelf

Property File Shelves

Room

Margaretta P. Childs Archives

Building

Missroon House

Category

Permanent

Date

February 7, 2023

Location

Container

PF Box 34

Shelf

Prop File Shelves, Property File Shelves

Room

Margaretta P. Childs Archives

Building

Missroon House

Category

Permanent

Relationships

Related Entries

Notes

2006.010.126-129, 2011.015.21a-b, EBAY.076-80.2, EBAY.076-80.3a-c, EBAY.076-80.4, EBAY.076-80.5a-b, EBAY.076-80.6a-k, EBAY.076.1 Related Units of Description: See EASTBAY.076.1 for information on the easement on 76 East Bay Street.

Related Publications

Notes

Buildings of Charleston (see Abstract), pg. 98

Created By

admin@catalogit.app

Create Date

October 29, 2007

Updated By

admin@catalogit.app

Update Date

February 17, 2023