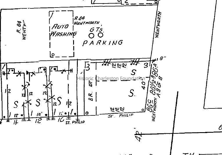
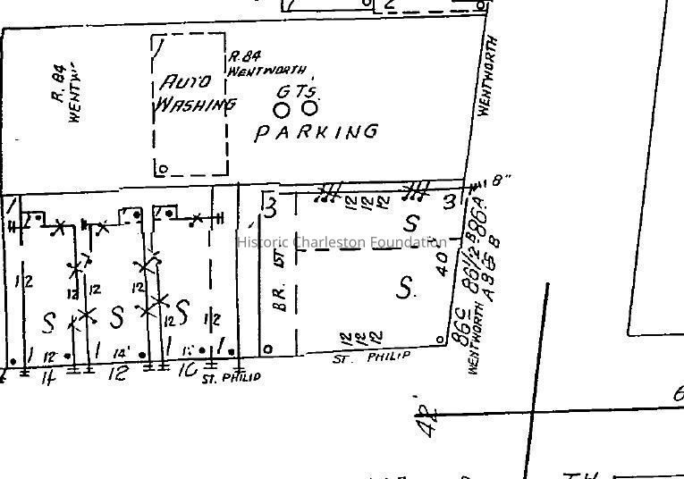
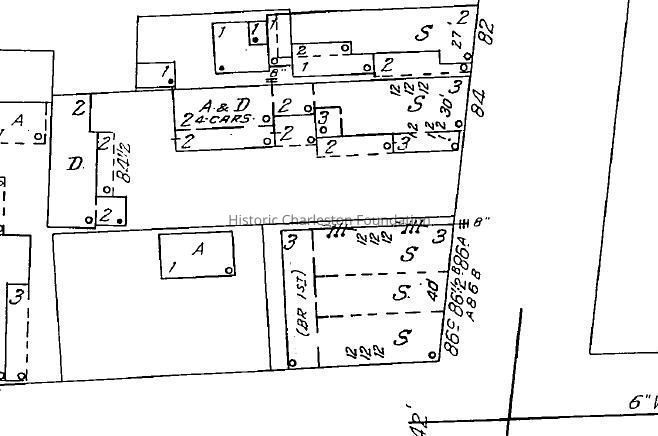
84 Wentworth Street (Harold's Cabin)

86 Wentworth Street, ca. 1970s: Copyright: CofC, Special Collections (?); Origformat: Digital Image
86 Wentworth Street, ca. 1970s

Copyright: CofC, Special Collections (?); Origformat: Digital Image

Name/Title

84 Wentworth Street (Harold's Cabin)

Entry/Object ID

WENTWORTH.084.1

Scope and Content

Built ca. 1953 and demolished half a century later, the two-story brick building that once stood at 84 Wentworth Street was the original home of the cast iron railing now displayed in the Market Shop of Historic Charleston Foundation. The structure was built by well-known architect Augustus Constantine (1898-1976) for Albert Sottile and was home to Harold's Cabin, a neighborhood grocery store known for its luncheon balcony and specialty foods, including more than 200 cheeses and one of Charleston's first frozen food selections. Featured on post cards and in national magazines, Harold's Cabin became a principle stop on most historic tours throughout the city and a landmark of local cuisine. The structure was demolished around 2003. File contains historical research (Brittany Lavelle, 2011); newspaper article about the CofC School of Education complex constructed on the site ca. 2007; photocopy of excerpt of magazine(?) article with photograph of the interior. Digital images only.

Collection

Historic Charleston Foundation Property Records

Acquisition

Accession

WENTWORTH.084.

Source or Donor

84 Wentworth Street

Acquisition Method

Collected by Staff

Lexicon

Search Terms

Wentworth Street, Demolished buildings, lost buildings, Historic buildings--South Carolina--Charleston, Lost architecture--South Carolina--Charleston, Grocery stores--South Carolina--Charleston, Commercial buildings--South Carolina--Charleston

Legacy Lexicon

Object Name

Property File

Archive Details

Archive Size/Extent

1 File Folder

Archive Notes

Finding Aids: Index to Property Files. Level of Description: Folder

Location

Location

Shelf

Property File Shelves

Room

Margaretta P. Childs Archives

Building

Missroon House

Category

Permanent

Date

February 7, 2023

Location

Container

PF Box 111

Shelf

Prop File Shelves, Property File Shelves

Room

Margaretta P. Childs Archives

Building

Missroon House

Category

Permanent

Relationships

Related Person or Organization

Person or Organization

Constantine, Augustus E.

Related Entries

Notes

2011.014.1 Related Units of Description: See architectural drawings in 86 Wentworth Street property file (WENTWORTH.086.1)

General Notes

Note

Notes: Images in this record obtained by researcher Brittany Lavelle; sources for nos. 1-3 and 8-10 not indicated (possibly CofC Special Collections, Jewish Heritage Collection, Harold Jacobs Papers).

Created By

admin@catalogit.app

Create Date

February 5, 2014

Updated By

admin@catalogit.app

Update Date

February 17, 2023