Porter's Court (General)

Porters Court - 1902 Sanborn Map: Origformat: Digital Image
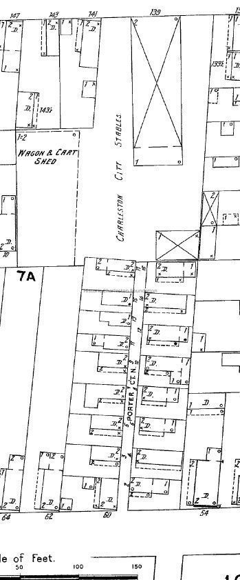
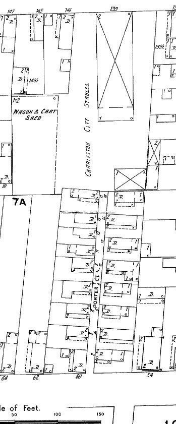
Porters Court - 1902 Sanborn Map

Origformat: Digital Image

Name/Title

Porter's Court (General)

Entry/Object ID

PORTERS.GEN.1

Scope and Content

Around 1900, Porter's Court -- a narrow, dead-end alley between Line and Bogard Streets -- was built to house middle-class working families. File contains report "Porters Court: Chain of Title, Social History, Division of Elliott Land" (HCF, 1996); newspaper article (2000); table showing property information for several Porter's Court properties (2 through 17 Porter's Court); document with property information on 2, 4, 14, and 16 Porter's Court; correspondence to HCF authorizing the purchase of 6, 8, and 12 Porter's Court; Memorandum of Understanding Between the Episcopal Diocese of South Carolina and HCF; "Resolution" setting forth the rules, regulations, provisions, and directions for the Episcopal Community Housing Development Organization Board; "Protective Covenants" outlining the conditions, restrictions, and limitations on any property purchased from HCF; site plan annotated to indicate status of dwellings and rehabilitation needs (unattributed, 5/4/1992). Digital image only.

Collection

Historic Charleston Foundation Property Records

Acquisition

Accession

PORTERS.GEN.

Source or Donor

Porter's Court (General)

Acquisition Method

Collected by Staff

Lexicon

Search Terms

Porters Court, Neighborhood Impact Initiative, Elliottborough, Historic buildings--South Carolina--Charleston

Legacy Lexicon

Object Name

Property File

Archive Details

Archive Size/Extent

1 File Folder

Archive Notes

Finding Aids: Index to Property Files Level of Description: Folder

Location

Location

Shelf

Property File Shelves

Room

Margaretta P. Childs Archives

Building

Missroon House

Category

Permanent

Date

February 7, 2023

Location

Container

PF Box 84

Shelf

Prop File Shelves, Property File Shelves

Room

Margaretta P. Childs Archives

Building

Missroon House

Category

Permanent

Relationships

Related Entries

Notes

PORTERS.GEN.2 Related Units of Description: Easement Manager's working files. Neighborhood Impact Initiative documentation.

Created By

admin@catalogit.app

Create Date

May 19, 2011

Updated By

admin@catalogit.app

Update Date

February 17, 2023