HUB
Collections
Classifications
About
App
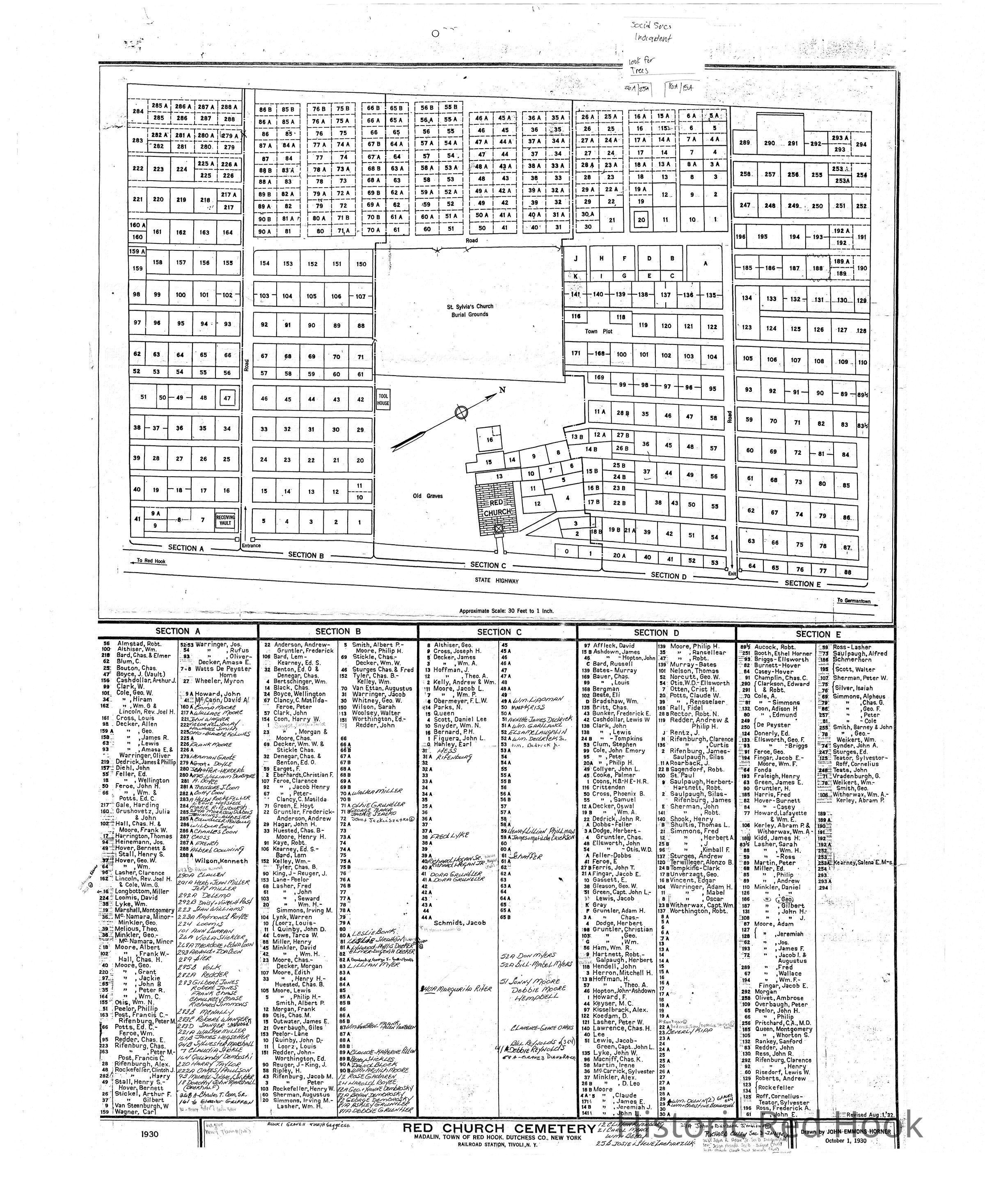
Red Church Cemetery Map 1
Archive
-
Historic Red Hook
Name/Title
Red Church Cemetery Map 1
Entry/Object ID
1300.1.1
Relationships
Related Places
Place
Property
5217 Route 9G
Village
Tivoli