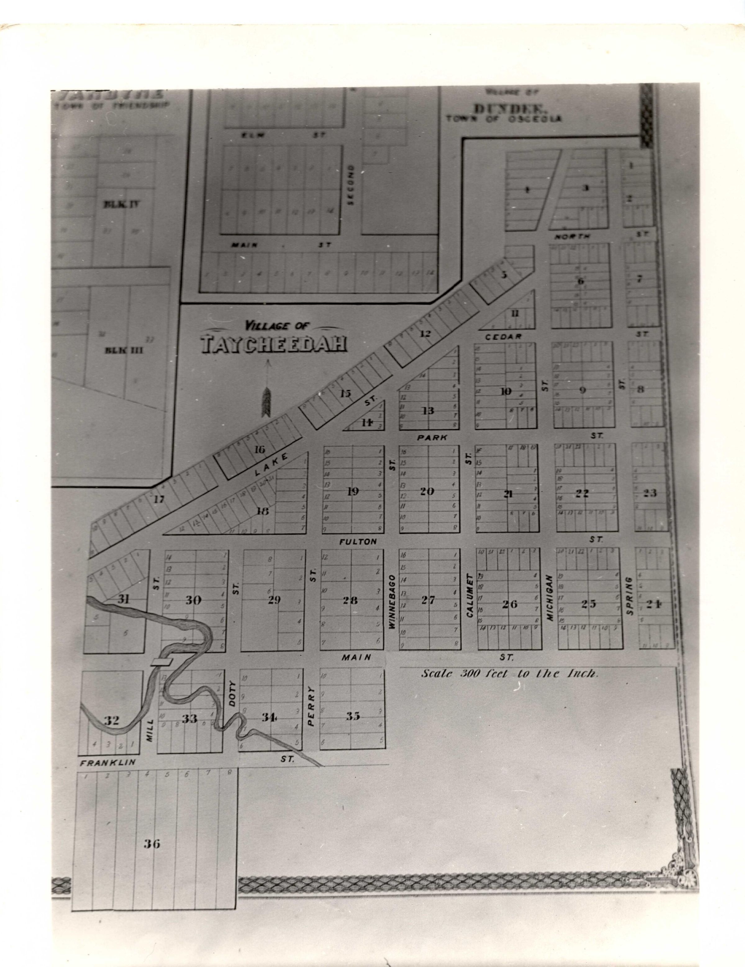
Plat Map of the Village of Taycheedah

BC.2010.022.219

BC.2010.022.219

Name/Title

Plat Map of the Village of Taycheedah

Entry/Object ID

BC.2010.022.219

Tags

Copyright Restriction

Description

Black and white photograph of a plat map for the Village of Taycheedah, Wis. According to the back of the photograph it is from the 1874 survey of the village.

Collection

Brothertown Collection

Cataloged By

Schmit, Aurora

Category

Photograph

Location

Location

* Untyped Location

Digital Only

Date

July 21, 2023

Relationships

Related Places

Place

City

Taycheedah

State/Province

Wisconsin

Continent

North America

Reproductions

Notes

Brothertown Indian Nation holds physical copies and copyright; contact Brothertown for reproductions and publishing

Created By

cgerzet1@oneidanation.org

Create Date

July 21, 2023

Updated By

cgerzet1@oneidanation.org

Update Date

July 21, 2023