MATERIALS AND MAPS RELATED TO CAMDEN SETTLEMENT

Materials Related To Settlement-page-001

Materials Related To Settlement-page-001

Name/Title

MATERIALS AND MAPS RELATED TO CAMDEN SETTLEMENT

Entry/Object ID

WHC 2018.43

Scope and Content

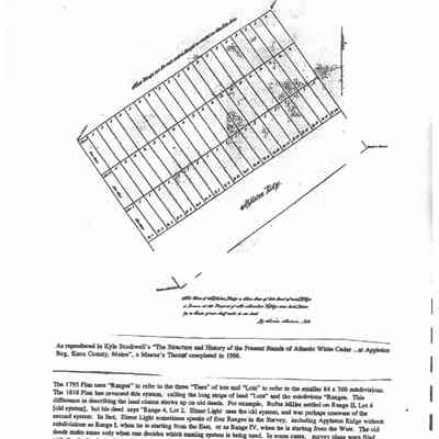
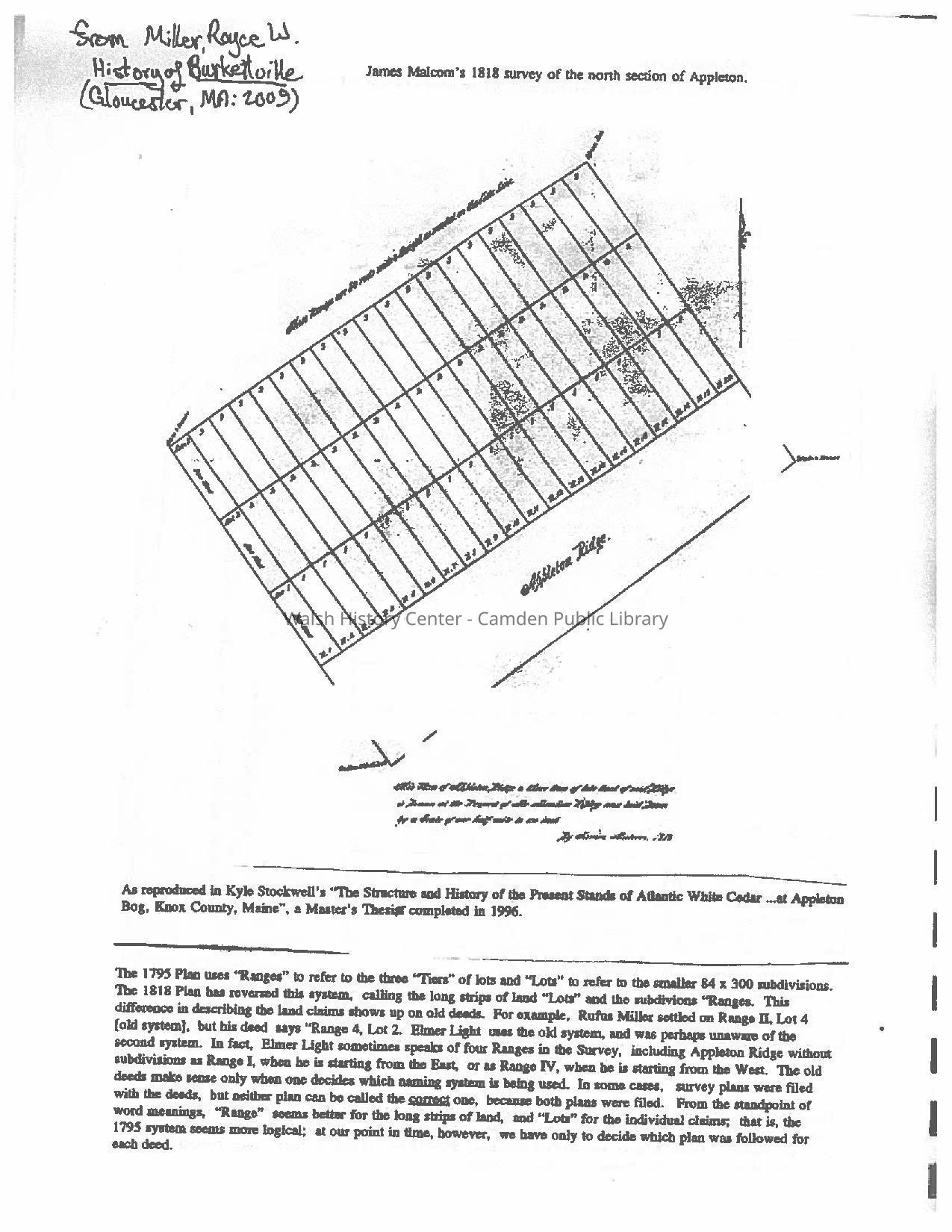
COLLECTION OF PHOTOCOPIES OF MATERIALS AND MAPS 50 RELATED TO SETTLEMENT OF CAMDEN AND SURROUNDING AREA. Gift of Donovan A. R. Bowley, 21 March 2012. 1. John Oulton's share of 20 Associates' Land (No. 17), to be sold at public auction 17 January 1769; with announcement of 'Settlement of a Town- ship called Cambden" 120 Ace Lots to be given away." Boston News- letter and New England Chronicle,29 December 1768; issue 340; page 2. 2. A Plan of the Town of Cambden in the County of Lincoln in the Common- wealth of Massachusetts. May 1795. MA State Archives No. 1350. [Attributed to John Harkness, Camden Surveyor, on the basis of his handwriting.] 3. James Malcom's survey of the north section of Appleton, from Royce Miller, History of Burkettville (Gloucester, MA: 2005) referencing Kyle Stockwell's Master's Thesis, "The Structure and History of the Present stands of White Cedar…at Appleton Bog, Knox Co, Maine," 1996. 4. Appleton, Maine. "This Plan of Appleton Ridge & three tiers back of Said Ridge is Drawn at the Request of Mr. Aaron Ripley and laid Down by a Scale of one half mile to an inch. By James Malcom, 1818." Massachusetts Archives No. 1760, from "Senate Papers" 1818. There are two copies of this map: a.) Malcom's original map, from micro- film at Massachusetts State Archives ; and b) the copy drafted for the newly formed State of Maine by a different draftsman. 5. Hope, Maine. "A Plan of the Plantation known by the name of Barrettston in the County of Lincoln, taken from a late Survey by James Malcom. Scale 200 Rods to an inch. April 12th, 1797. There are two copies of this map: a.) Massachusetts State Archives No. 2593; MA State Archives Microfilm of Senate Document 2235 from Maps and Plans, Third Series, vol. 40; and a copy of that map by a different draftsman for the newly- formed State of Maine. 6. Union, Maine. "This is a plan of the Town of Union on St. Georges and Muscongus Rivers in the County of Lincoln." …by Ebenezer Jennison, Sworn Surveyor of Lands, Union, May 13th, 1795. Massachusetts State Archives No. 1384.This is possibly the earliest known map of Union, showing the town before the land west of the "Muscongus" (now Medomac) River was transferred to the new town of Putnam (now Washington) . The map is distinctive for its unusual orientation - North is toward the bottom of the page) and the drawings of trees which cover its surface. This a draftsman's copy of the original map made for the newly-formed State of Maine. 7. Thomaston, Maine. "Án Accurate Plan of Thomaston," by James Malcom. Massachusetts State Archives No. 1376. This map shows the water features of the town, as well as the County Road from Warren to Camden. It includes the areas now set off for Rockland, Owls Head, and South Thomaston. This is a copy drafted for the newly formed State of Maine. 8. Bristol, Maine. Survey by Thos. Bryant, Land Surveyor. Outline map of Bristol in 1795, before other towns were set off from it. Massachusetts State Archives No. 1349, copied from the original draft for the newly formed State of Maine. 9. Bristol, Maine. Copy of a map taken from the 1855 map of Lincoln County, showing water features, roads, villages, and names of inhabitants. 10. Falmouth, Maine. Copy of "A True Plan of the Town of Falmouth," by Joseph Noyes, Surveyor, prepared for the newly formed State of Maine. Certified December 30, 1893 by Wm. M. Oliver, Secretary of State. 11. Hope, Maine. Photocopy composite. Orthotophoto image of Hope showing Parcel boundaries from Tax Map (white lines) overlaid by the black and white copy of a September 1799 parcel map of the original town of Hope. Through this composite image, the original parcel boundaries may be compared with the current parcels.( Please note that this black and white 1799 map overlay is a different draft than the 1799 map of Hope at the New England Historic Genealogical Society Archives.) 12. Map of the 20 Associates land - surveyed in 1795 for General Knox and The 20 Associates of the Lincolnshire Company by James Malcom and John Harkness. The purpose of this map was to define and mark the boundaries of The land of the 20 Associates in relation to the land of General Knox. Bounds of Camden were well established at that time, but the rest of the 20 Associates' parcel were not yet as firmly known. 13. Transcription Of James Malcom Letter Regarding Twenty Associates Survey. "I James Malcom of lawful age doth testify & say, that in the fore part of the summer or in the spring of the year seventeen hundred & ninety five that I together with John Harkness agreed with Henry Knox Esq. to survey & lay out a track of land for the Twenty Associates of the Lincolnshire Company according to an agreement made between the said Henry Knox & the said Company & that we begun the said survey at the westerly corner of the Town of Cambden sometime in the summer of the same year & run the line to the westerly line of the Waldo Patent so called as run by Stone & Titcomb, but finding that the Plymouth Company's lines were not run to which lines we were obliged to conform the said Survey. We postponed the said business untill [sic] the said Plymouth lines were run, & that after the said lines were run that we went on & finished the surveying of the said Twenty Associates land according to the plans dated November the twelfth Seventeen Hundred & Nintety five which we have returned to the said parties [viz?], the said Henry Knox Esq. & the said Twenty Associates & further saith not, James Malcom. - Commonwealth of Massachusetts, Lincoln SS. Town of Pownalborough this third day of October in the year of our Lord 1801, personally appeared before us the subscribers two Justices of the Peace in & for the said County of Lincoln Quorum Unus the aforesaid [Deponent?] & after being carefully examined & duly cautioned to testify the whole truth & nothing but the truth made oath that the foregoing Deposition by him subscribed is true taken at the request of the Twenty Associates of the Lincolnshire Company to be preserved in perpetual remembrance of the thing, & we not knowing any persons living within twenty miles of said place of Caption interested in the Property whereto the aforesaid Deposition relates did not notify any persons to attend. Deponents fees, [unintelligible] Orchard Cook Justice fees, Caption - - 40 Josiah Stebbins Writing, Caption - - 12 52 Certified by Josiah Stebbins Rec July 29 1806 & entered & examined by [Warren?] Rice Reg." 14. Appleton, Maine. Composite map of Appleton, combining the 20 Associates lot map of Appleton as originally established, together with the 1799 John Harkness lot map of that portion of Hope which was added to Appleton by the Maine Legislature in 1843. It includes three different surveys: Harkness in 1799 (portion formerly of Hope); Harkness (Appleton Ridge) and James Malcom (Appleton Ranges 1-3). 15. Correspondence of Donovan Bowley with Thomas Hardy; 10 March 2012, re: the earliest known Lot maps of Camden and Hope. 16. Correspondence of Donovan Bowley with Heather Bilodeau [Moran] re: Fales Map, notice of availability of lands in Camden (15 December 1768), and Camden 's mountain lands acquired from Canaan Plantation. 17.Correspondence of Donovan Bowley with Heather Bilodeau [Moran], 20 February 2012, re: the earliest Camden water system. 18. Hope, Maine. Composite map of Hope 2012 Road map overlaid by the black and white 1799 John Harkness map of Barrettstown Plantation [Hope] for purpose of comparing present roads with original roads. 19. Hope, Maine. Black and white map of Hope by John Harkness, 1799. This map was drafted for the Twenty Associates and is a different drafting with some different names than the one at New England Historic Genealogical Society. 20. Correspondence from David Fales, Surveyor, to the Committee of the Twenty Associates of the Lincolnshire Company; Thomaston [Maine] July 3,1798. This letter is certification by Fales of the alteration of certain lots (No. 27-32] from the position of his first survey, to now front on the harbour, at the direction of the 20 Associates.

Collection

Camden Public Library Map Collection

Cataloged By

Wyatt Berry

Acquisition

Accession

WHC 2018.43

Source or Donor

CPL Map Collection

Acquisition Method

Found in Collection

Lexicon

Nomenclature 4.0

Nomenclature Secondary Object Term

Map

Nomenclature Primary Object Term

Cartograph

Nomenclature Sub-Class

Graphic Documents

Nomenclature Class

Documentary Objects

Nomenclature Category

Category 08: Communication Objects

LOC Thesaurus for Graphic Materials

Maps, Settlements

Search Terms

Camden, Maps, Settlement, Surveys, Hope, Early Plans, Commonwealth of Massachusetts

Archive Details

Date(s) of Creation

1768 - 2012

Archive Size/Extent

8 1/2" X 11" Photocopies

Location

Location

Cabinet

Map Case

Building

Walsh History Center

Category

Permanent

Date

October 21, 2025

Category

Permanent

Moved By

Wyatt Berry

Date

September 21, 2018

Inventory

Inventoried By

Wyatt Berry

Inventoried Date

Sep 21, 2018

Relationships

Related Person or Organization

Person or Organization

John Oulton

Person or Organization

John Harkness

Person or Organization

James Malcom

Person or Organization

Aaron Ripley

Person or Organization

Ebenezer Jennison

Person or Organization

Thomas Bryant

Person or Organization

Joseph Noyes

Person or Organization

David Fales

Person or Organization

Donovan Bowley

General Notes

Note

Status: OK Status By: Wyatt Berry Status Date: 2018-09-21

Created By

admin@catalogit.app

Create Date

September 17, 2018

Updated By

admin@catalogit.app

Update Date

October 27, 2025