Lot Map of E. S. Boss House

Name/Title

Lot Map of E. S. Boss House

Entry/Object ID

2022.4.45

Description

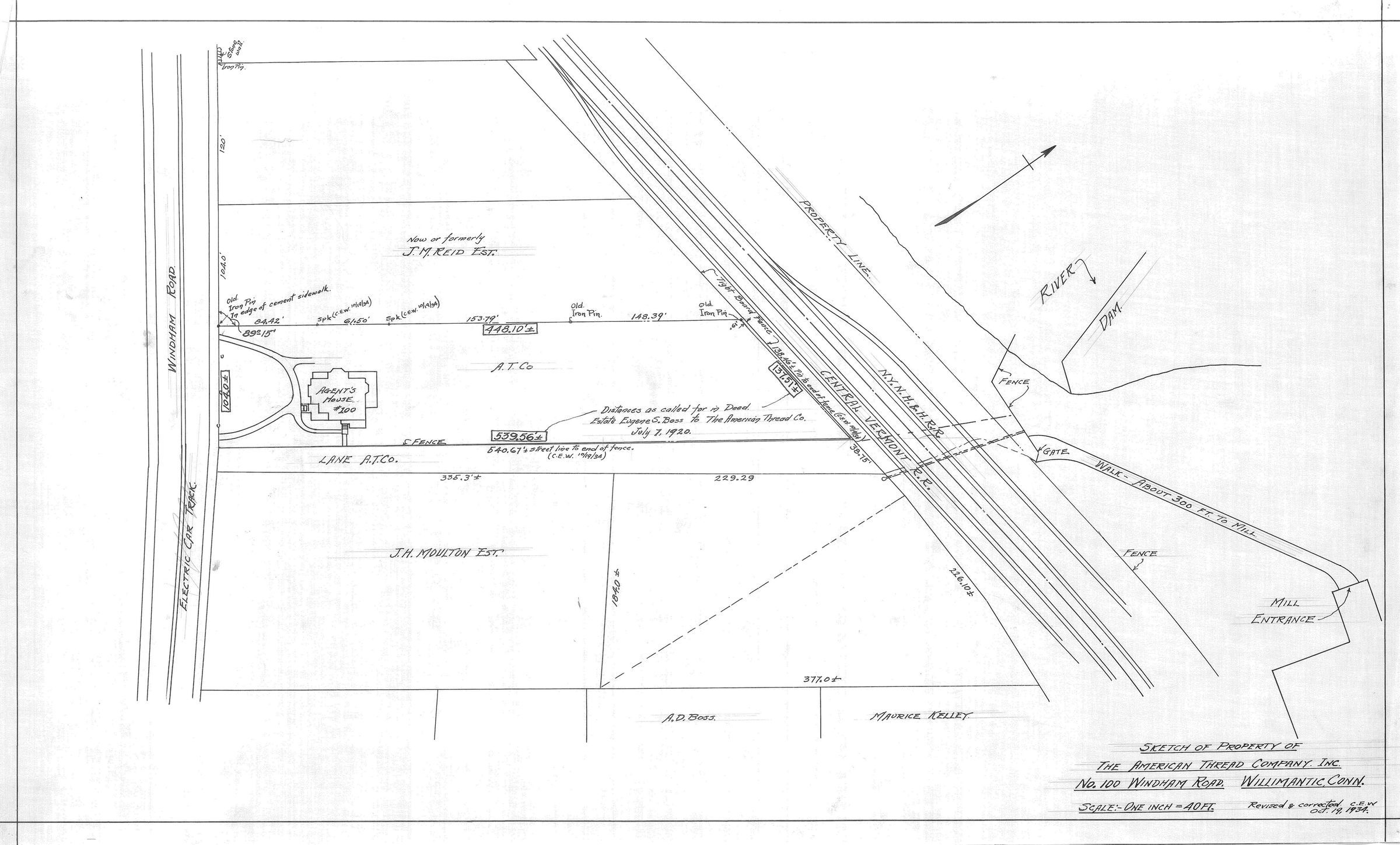
Lot map of property of the American Thread Company, No. 100 Windham Road, Willimantic, CT. House is labelled "Agent's house." Shows neighboring lots belonging to est. of John Reid and est. of Maurice Kelley; "Lane A.T.Co." (later known as Boss Lane); an outline of the house; lines of the N.Y.N.H.&H. R.R. and the Central Vermont R.R.; and "walk" leading to Mill No. 4. Scale: 1 in. = 40 ft.

Collection

American Thread Company Collection

Lexicon

Nomenclature 4.0

Nomenclature Tertiary Object Term

Plan, Site

Nomenclature Secondary Object Term

Plan

Nomenclature Primary Object Term

Projection

Nomenclature Sub-Class

Graphic Documents

Nomenclature Class

Documentary Objects

Nomenclature Category

Category 08: Communication Objects

Publication Details

Author

American Thread Company

Illustrator

C.E.W.

Date Published

Oct 19, 1934

Publication Language

English

Location

Location

Cabinet

Map Cases

Room

Dunham Hall Library Reading Room

* Untyped Location

Main Museum Building

Date

July 20, 2022

Provenance

Provenance Detail

American Thread Company, Engineering Department

Copyright

Copyright Holder

Public Domain

Created By

Eves, J.

Create Date

July 20, 2022

Updated By

Eves, J.

Update Date

August 11, 2022