Lot Map of Oaks Grove

Name/Title

Lot Map of Oaks Grove

Entry/Object ID

2022.4.44

Description

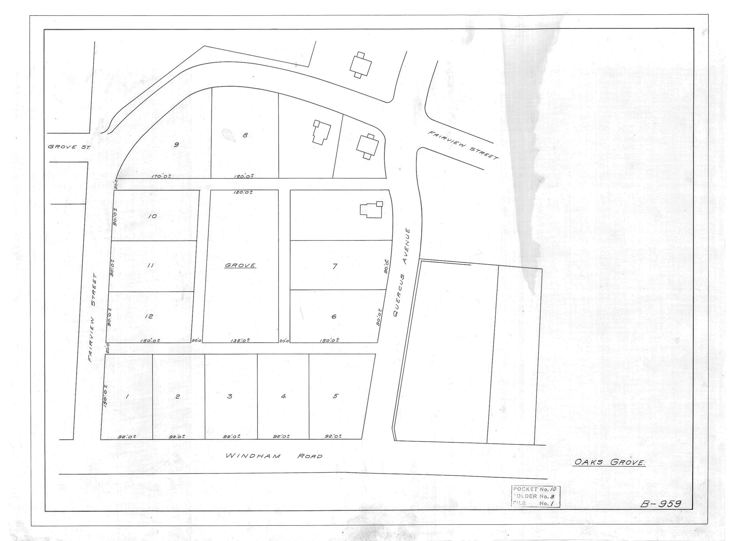
Lot map of Oaks Grove, showing parts of Windham Road, Fairview Street, Grove Street, and Quercus Avenue. A middle lot, not bordering any street, is labeled "Grove." Scale not given. This property was developed by the Willimantic Linen Company c. 1880 into a neighborhood of worker cottages, called the Oaks.

Collection

American Thread Company Collection

Lexicon

Nomenclature 4.0

Nomenclature Tertiary Object Term

Plan, Site

Nomenclature Secondary Object Term

Plan

Nomenclature Primary Object Term

Projection

Nomenclature Sub-Class

Graphic Documents

Nomenclature Class

Documentary Objects

Nomenclature Category

Category 08: Communication Objects

Publication Details

Publication Type

Ephemera

Author

American Thread Company

Publication Language

English

Other Names and Numbers

Other Number

B-959

Location

Location

Cabinet

Map Cases

Room

Dunham Hall Library Reading Room

* Untyped Location

Main Museum Building

Date

July 20, 2022

Provenance

Provenance Detail

American Thread Company, Engineering Department

Copyright

Copyright Holder

Public Domain

Created By

Eves, J.

Create Date

July 20, 2022

Updated By

Eves, J.

Update Date

August 11, 2022