2nd Avenue

Name/Title

2nd Avenue

Scope and Content

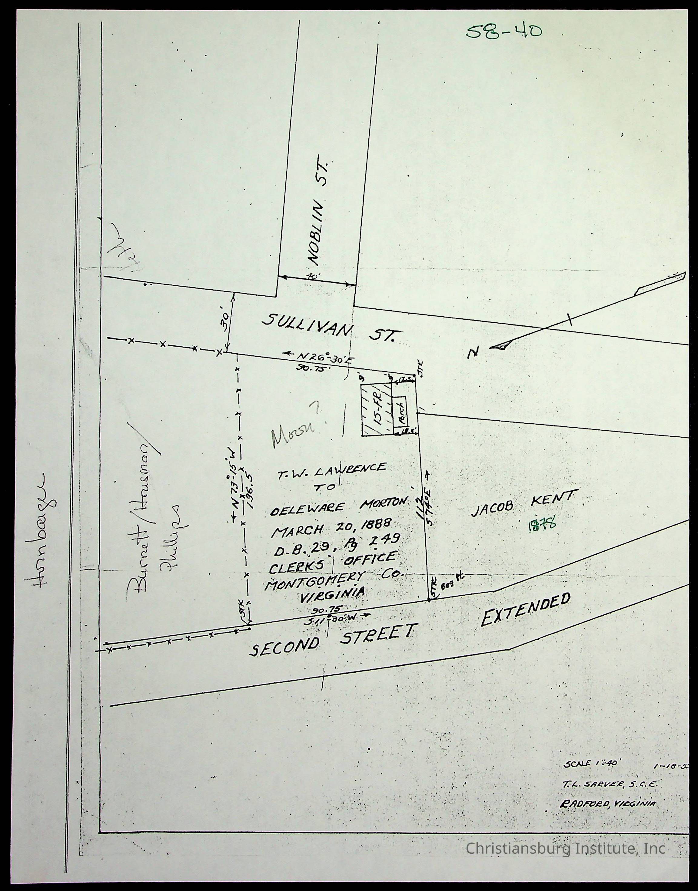
A folder of research materials collected by Radford University professor, Dr. Linda Killen. This folder is titled '2nd Avenue' and includes various research conducted in Radford, Virginia. This folder includes genealogy records, Dr Killen's notes, and plat maps.

Collection

Linda Killen Collection [1840-2003]

Category

Research Materials

Acquisition

Accession

2003.01

Archive Details

Creator

Killen, Linda

Date(s) of Creation

1840 - 2003

Date(s) Material Assembled

1990

Archive Size/Extent

4 Boxes

Restrictions

Collection is open and available for use.

Primary Language

English

Archive Notes

MS2020-08

Archive Items Details

Title

2nd Avenue

Description

A folder of research materials collected by Radford University professor, Dr. Linda Killen. This folder is titled '2nd Avenue' and includes various research conducted in Radford, Virginia. This folder includes genealogy records, Dr Killen's notes, and plat maps.

Creator

Killen, Linda

Subjects

Research

Relationships

Related Person or Organization

Person or Organization

Killen, Linda, Radford University

Related Places

Place

City

Radford, Virginia

Continent

North America

Related Publications

Publication

Farm Land, Boom Town, Village: A History of Belspring, Virginia, 1750-1940, The Reports of Charles S. Schaeffer from the Virginia counties of Montgomery and Pulaski, with additional information on the counties of Floyd, Giles, Craig, Wythe, and Roanoke., Ingles Ferry Ledgers (1840s-1880s), These people lived in a pleasant valley, Making their mark: Black Families of New River Depot, 1870-1940., Whartons’ Town New River Depot, 1870-1940., Radford’s Early Black Residents, 1880-1925

Copyright

Copyright Details

Copyright has been assigned to Christiansburg Institute Museum & Archives by the Killen Family. For permission to publish materials created by the donor, contact CIMA@christiansburginstitute.com. Materials not created by Dr. Linda Killen may still be under copyright.