HUB
Collections
Classifications
About
App
Map
Archive
-
Island County Historical Society
Name/Title
Map
Entry/Object ID
2015.005.096d
Scope and Content
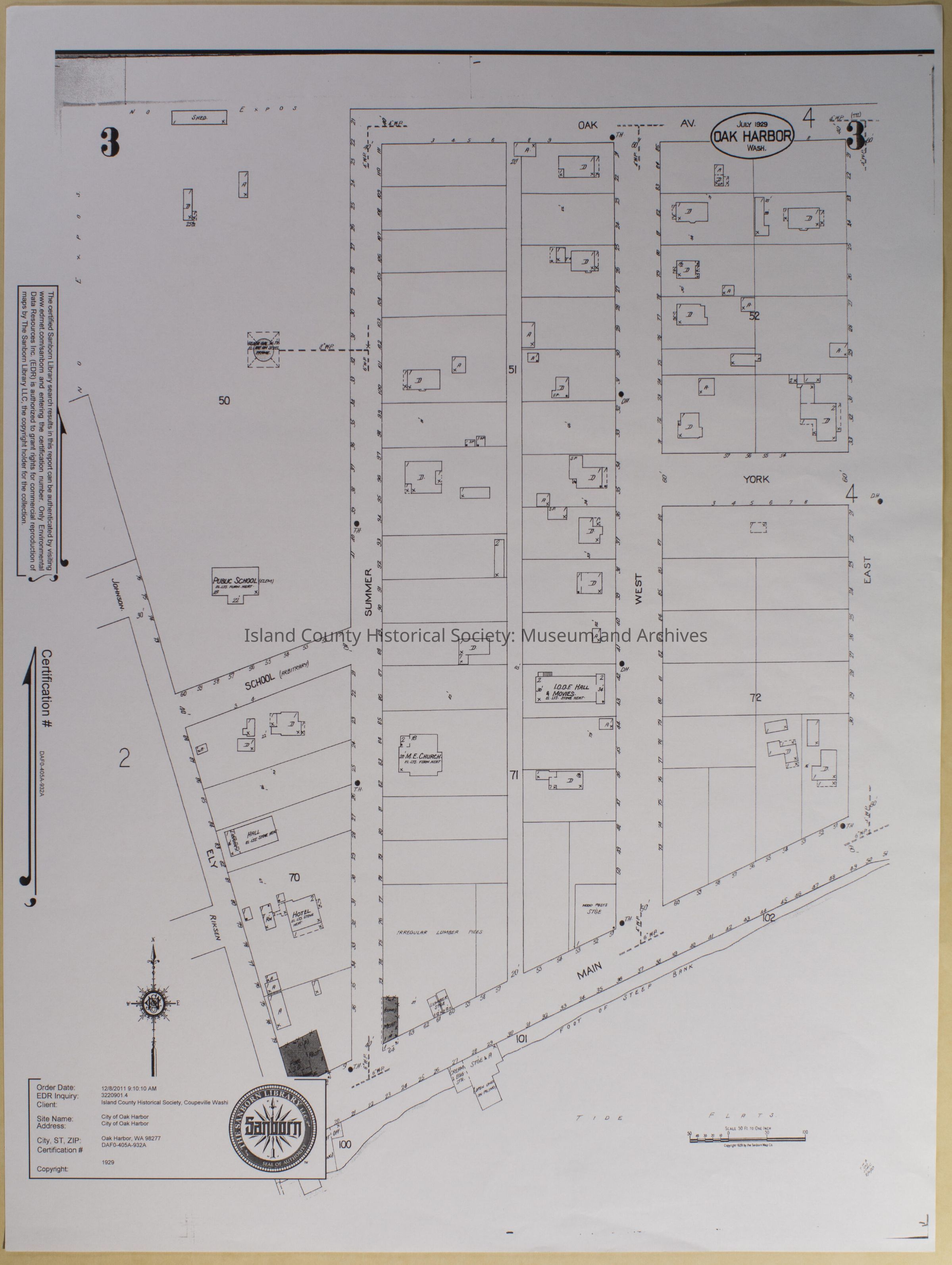
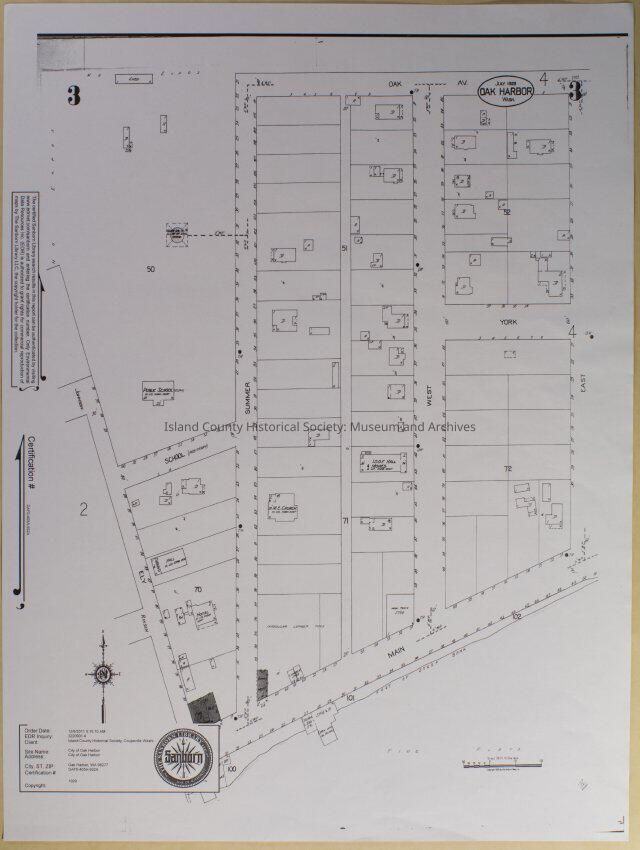
Sanborn City of Oak Harbor maps. Certified Sanborn Map. Copyright July 1929
Lexicon
Nomenclature 4.0
Nomenclature Secondary Object Term
Map
Nomenclature Primary Object Term
Cartograph
Nomenclature Sub-Class
Graphic Documents
Nomenclature Class
Documentary Objects
Nomenclature Category
Category 08: Communication Objects
Archive Details
Date(s) of Creation
Jul 1929
Relationships
Related Entries
Notes
2015.005.096a, 2015.005.096b, 2015.005.096c, 2015.005.096e